direct naar inhoud van Toelichting
Plan: Herinrichting N324 - gedeelte gemeente Landerd
Status: ontwerp
Plantype: bestemmingsplan
IMRO-idn: NL.IMRO.1685.bpbgbN324-OW01

Toelichting

Hoofdstuk 1 Inleiding

1.1 Aanleiding en doel

De provincie Noord-Brabant is bezig met de voorbereiding van de herinrichting van de N324 tussen Oss en Grave, ook wel Bosschebaan genoemd. Doel van de herinrichting is de weg veiliger te maken. De herinrichting bestaat met name uit het vervangen van gevaarlijke kruisingen door rotondes en het plaatsen van verkeersregelinstallaties. De herinrichting past niet overal binnen de ter plaatsende geldende bestemmingsplannen. Daarom zijn een viertal bestemmingsplannen opgesteld:

  • één bestemmingsplan voor de locaties waar het ontwerp niet past binnen het geldende bestemmingsplan voor de locaties binnen de gemeente Landerd;
  • één bestemmingsplan dat de realisatie van een rotonde ter hoogte van de kruising N324 - Palmstraat mogelijk maakt;
  • één bestemmingsplan voor de locaties waar het ontwerp niet past binnen de geldende bestemmingsplannen in de gemeente Grave;
  • één bestemmingsplan dat de verplaatsing van een tankstation binnen de gemeente Grave (Tango Tolschestraat) en de herinrichting bij de Tolschestraat mogelijk maakt. Het tankstation dient te worden verplaatst vanwege de herinrichting;

Onderhavig bestemmingsplan geldt alleen voor het deel binnen de gemeente Landerd, exclusief de kruising N324 - Palmstraat. Deze kruising is gezien de gevoeligheid van de precieze locatie van de aan te leggen rotonde buiten dit bestemmingsplan gehouden. De gemeente Landerd brengt alleen een ontwerpbestemmingsplan in procedure. De gemeente Grave heeft ervoor gekozen ook een voorontwerpbestemmingsplan ter inzage te leggen. De ontwerpbestemmingsplannen van beide gemeenten, evenals het bestemmingsplan voor de Palmstraat, worden vrijwel parallel ter inzage gelegd. Het bestemmingsplan voor de verplaatsing van het tankstation zal later in procedure worden gebracht.

1.2 Ligging en begrenzing plangebied

Het tracé van de herinrichting N324 loopt tussen de aansluiting A50 (bij knooppunt Paalgraven) aan de westzijde en de provinciegrens met Gelderland (Maasbrug in Grave) aan de oostzijde. De weg doorsnijdt drie gemeenten: Oss, Landerd en Grave. Voor het gedeelte in de gemeente Oss is geen bestemmingsplanaanpassing nodig. De afbeelding hierna laat het totale tracé waar de herinrichting plaatsvindt zien.

afbeelding "i_NL.IMRO.1685.bpbgbN324-OW01_0001.jpg"

Afbeelding 1: totaaloverzich tracé herinrichting N324

De weg bestaat uit 1 rijstrook in beide rijrichtingen, met grotendeels vrijliggende fietspaden en op delen van het tracé een parallelstructuur. Het herinrichten van de N324 zorgt voor verbeterde verkeersveiligheid, zowel voor motorvoeruigen op de weg als voor kruisend verkeer (waaronder fietsers en voetgangers). De herinrichting van de N324 bestaat op hoofdlijnen uit:

  • het reconstrueren van de belangrijkste kruispunten; aanleggen rotondes en plaatsen VRI’s (verkeersregelinstallaties);
  • het verminderen en veiliger maken van het aantal aansluitingen en fietsoversteken;
  • onderhoud van de hoofdrijbaan (toepassen stil asfalt, met uitzondering van de rotondes);
  • groeninrichting op basis van de Groenvisie Herinrichting N324 (hierna: de Groenvisie);
  • bijkomende werkzaamheden in het kader van de waterhuishouding, verleggen kabels en leidingen, openbare verlichting, wegmeubilair, bewegwijzering, geluidwerende voorzieningen, etc;
  • verplaatsen benzinepompstation Tango.

Naast aanpassingen en onderhoud aan de bestaande weg betreffen de grootste herinrichtingsmaatregelen voor de gemeente Landerd:

  • Het verminderen en veiliger maken van het aantal aansluitingen en fietsoversteken;
  • Uitbreiding parallelstructuur om aangrenzende woningen te ontsluiten en om verbinding vanaf Oss en Bernheze tot aan Palmstraat mogelijk te maken;
  • Optimalisatie verkeerslichtenregeling N324 - Zeelandsedreef - Schutsboomstraat;
  • Aanpassing kruising Scheisestraat;
  • Nieuwe rotonde Palmstraat (separaat bestemmingsplan).

Dit bestemmingsplan betreft alleen die locaties, waar de herinrichting van de N324 niet mogelijk is binnen het ter plaatse geldende bestemmingsplan van de gemeente Landerd. In totaal gaat het om acht (kleine) locaties waar dit aan de orde is. Het betreft met name kleine snippers waar maatregelen noodzakelijk zijn. Op één locatie gaat het om een langere, smalle strook, parallel aan de bestaande N324. In hoofdlijnen zijn de volgende clusters met plangebieden te onderscheiden.

  • 1. Ter hoogte van tracé tussen Munstraat en Bernstraat ruimte voor optimalisatie en aantakken er hoogte van Munstraat en ervoor te zorgen dat geldende bestemmingsplannen daadwerkelijk op elkaar aansluiten;
  • 2. Een snipper ten noorden van de N324 ter hoogte van de Willevenstraat en Hoekstraat (Schaijk);
  • 3. Een viertal snippers ter hoogte van het kruispunt N324 - Scheisestraat;
  • 4. Een snipper ten noorden van de N324, ten oosten van de Verbindingsweg .

In onderstaande overzichtskaart zijn de locaties van de snippers opgenomen, waarbij de nummers verwijzen naar de bladen van de verbeelding in de analoge versie:

afbeelding "i_NL.IMRO.1685.bpbgbN324-OW01_0002.jpg"

Afbeelding 2: overzichtskaart locaties van snippers (verwijzing naar bladen verbeelding)

Blad 1. tracé nabij Munstraat - Bernestraat;

Blad 2. nabij Willevenstraat - Hoekstraat;

Blad 3. nabij Scheisestraat;

Blad 4. nabij Verbindingsweg.

1.3 Geldende bestemmingsplannen

Ter plaatse van het plangebied van dit bestemmingsplan gelden de volgende bestemmingsplannen:

  • 1. Bestemmingsplan Buitengebied (vastgesteld door de gemeenteraad van Landerd op 13 mei 2013 en onherroepelijk per 12 november 2014);
  • 2. Bestemmingsplan Buitengebied, herziening 1 (vastgesteld door de gemeenteraad van Landerd op 1 oktober 2015);
  • 3. Bestemmingsplan Robuuste EVZ Mun (onherroepelijk per 7 juli 2011);
  • 4. Bestemmingsplan Kom Schaijk (vastgesteld door de gemeenteraad van Landerd op 3 juli 2014).

Ad 2. Dit bestemmingsplan bevat het eerder opgestelde bestemmingsplan Buitengebied (1), waarbinnen een aantal locaties een nieuwe / andere bestemming heeft gekregen.

Ad 3. Dit bestemmingsplan geldt ter hoogte van het meest westelijke deel van de strook, tevens het meest westelijke deel van het hele plangebied.

Ad 4. Dit bestemmingsplan geldt ter hoogte van de snipper ten noorden van de N324 ter hoogte van de Willevenstraat en Hoekstraat (Schaijk).

1.4 Leeswijzer

Het hoofdstuk hierna gaat in op nut en noodzaak van de aanpassingen aan de N324. Ook wordt per deelplangebied aangegeven wat de huidige situatie ter plaatse is en hoe de toekomstige situatie zal zijn. In hoofdstuk 3 is het beleidskader van dit bestemmingsplan opgenomen, waarna in hoofdstuk 4 de verantwoording van het bestemmingsplan vanuit milieu- en omgevingsaspecten is opgenomen. De juridische planopzet, de beschrijving van de regels en bestemmingen, staat in hoofdstuk 5. Het laatste hoofdstuk behandelt de uitvoerbaarheid, zowel maatschappelijk als financieel van het plan.

Hoofdstuk 2 Planbeschrijving

2.1 Inleiding

Hierna wordt eerst in gegaan op nut en noodzaak van het iniatief dat onder andere in dit bestemmingsplan wordt mogelijk gemaakt. Daarna wordt op hoofdlijnen aangegeven wat de aanpassingen aan de gehele N324 inhouden, zonder al te ver in te zoomen op specifieke locaties. Vervolgens worden per deellocatie van dit bestemmingsplan de huidige en toekomstige situatie omschreven. Hierbij wordt telkens een onderscheid gemaakt tussen de verkeerskundige en de ruimtelijke situatie. Zo is het voor de lezer en gebruiker direct inzichtelijk wat de aanpassingen zijn die in dit bestemmingsplan zijn geregeld.

2.2 Nut en noodzaak

De N324 (Paalgraven (Oss)) - Maasbrug (Grave)) is aan groot onderhoud toe. Voor de provincie was dit de aanleiding om enkele jaren geleden al te starten met een zogenaamde planstudie. Met de planstudie is beoogd om tegelijk met de groot-onderhoudsmaatregelen ook alle overige problemen en wensen voor deze weg aan te pakken. Het belangrijkste doel daarbij is een nieuwe N324 die voldoet aan de richtlijnen van het landelijke concept “Duurzaam Veilig”. Deze planstudie was gereed in 2011. Als gevolg van noodzakelijke bezuinigingen is een versoberingsslag toegepast op het oorspronkelijke herinrichtingsvoorstel om daarmee de financiële consequenties van de herinrichting van de N324 te verminderen. Ondanks de versobering levert de planstudie een substantiële verbetering op met betrekking tot de veiligheid. Het aantal ongevallen is de laatste jaren afgenomen, maar het aantal slachtofferongevallen is de laatste jaren wat toegenomen. De maatregelen, zoals hiervoor genoemd, zijn bedoeld om het aantal ongevallen en slachtoffers terug te dringen. Directe aansluitingen van het onderliggende wegennet zijn zoveel mogelijk komen te vervallen. De snelheid in de kern Grave is aangepast van 80 km/uur naar 50 km/uur. Een aantal situaties wordt zo aangepast dat er rotondes komen en er komt op een aantal locaties een verkeersregelinstallatie, waar deze er nu niet is.

2.3 Toekomstige situatie

Hierna is puntsgewijs de toekomstige situatie van het hele tracé van de N324 Paalgraven - Grave aangegeven om een beeld te schetsen van het totaal:

  • De ligging en het aantal rijstroken van de hoofdrijbaan van de N324 worden niet aangepast;
  • Inritten van woningen, percelen, koude oversteken en aansluitende zijwegen worden verminderd;
  • Over het hele tracé wordt stil asfalt aangebracht en worden Essentiële Herkenbaarheids Kenmerken (EHK) toegepast. Essentiële herkenbaarheidskenmerken (EHK) zijn kenmerken voor Duurzaam Veilige wegen die bijdragen aan het herkenbaarder maken van de wegcategorie. Denk aan kantmarkering en asstreep;
  • Langs het hele tracé worden passeerstroken voor agrarisch/langzaam verkeer gerealiseerd;
  • Parallelstructuren en fietspaden worden behouden en waar mogelijk/ noodzakelijk geoptimaliseerd, onder andere om woningen en percelen bereikbaar te houden;
  • Op basis van de Groenvisie wordt wegbegeleidende beplanting behouden en versterkt. Dit gebeurt ook in de obstakelvrije zone;
  • Om de barrièrewerking te verminderen, blijven faunapassages en wildrasters waar nodig in tact en waar nodig worden deze aangelegd;
  • Bijdragen aan de beleefbaarheid van de omringende landschappen (bos- en heidegebied, kleinschalig rivierenlandschap, riviervesting Grave) door de gebruiker van de weg. De karakteristieke laanbeplanting met eiken wordt behouden en versterkt. De laanstructuur wordt ofwel afgezet als transparant lijnelement tegen een achtergrond van bos op de Peelhorst/Maashorst, ofwel neergezet als beeldbepalende dubbele lijn in een open rivierenlandschap;

Zie ook paragraaf 3.4.6 van deze toelichting.

Verkeer

De aanpassingen aan de N324 zijn ingegeven door veiligheid en leefbaarheid.

Door het verwijderen van een aantal directe aansluitingen en het aanpassen van een aantal kruispunten neemt de veiligheid toe. Door onder andere het toepassen van een geluidreducerend wegdek, het toepassen van het snelheidsregime van 50 km/uur in de bebouwde kom van Grave wordt een bijdrage geleverd aan de leefbaarheid in de directe omgeving van de N324.

De aanpassingen leiden niet tot een grotere verkeersaantrekkende werking of een substantieel betere verkeersafwikkeling op de N324. In de huidige situatie is de verkeersafwikkeling reeds goed, zodat deze ook niet de aanleiding vormt voor het aanpassen / optimaliseren van de N324.

Het is zelfs eerder zo dat door de maatregelen die worden getroffen, zoals het toepassen van rotondes in plaats van met verkeerslichten gereguleerde kruispunten, auto's eerder over de parallel gelegen A50 gaan rijden. Dit blijkt uit het verkeersmodel dat is geanalyseerd. Daarom wordt er ook geen slechtere doorstroming van het verkeer op de N324 verwacht.

2.4 Nabij Munstraat - Bernestraat

2.4.1 Huidige situatie

De N324 ligt hier buiten de bebouwde kom, ter hoogte van 't Mun. Dit is een enclave met bebouwing. De gronden van dit deel van het plangebied liggen in de huidige situatie naast de bestaande N324 aan de zuidzijde. Deze gronden zijn overwegend in gebruik als berm met opgaand groen.

afbeelding "i_NL.IMRO.1685.bpbgbN324-OW01_0003.png"

Afbeelding 3: huidige situatie ter hoogte van deelplangebied Munstraat - Bernestraat

In de huidige situatie sluit de Munstraat met een bocht aan op de N324 en doorsnijdt het zogenaamd gekoppeld bouwvlak, met zowel aan de oost- als de westzijde van de Munstraat een bouwvlak, beide grenzend aan de N324.

Een deel van het plangebied ligt dwars op de N324. Hier sluiten de grenzen van de nu geldende bestemmingsplannen niet goed op elkaar aan. Zie afbeelding hierna.

afbeelding "i_NL.IMRO.1685.bpbgbN324-OW01_0004.jpg"

Afbeelding 4: bestemmingsplannen sluiten niet op elkaar aan (bron: www.ruimtelijkeplannen.nl)

2.4.2 Toekomstige situatie

De afbeelding hierna laat de toekomstige situatie ter hoogte van de Munstraat zien. Hieruit blijkt ook het principe, voor het verdere langgerekte deel van het deelplangebied: een parallelstructuur ten zuiden van de N324 en een dubbelzijdig fietspad ter hoogte van de Munstraat aan de noordzijde van de N324. De directe aansluiting van de Munstraat op de N324 komt te vervallen, zodat het aantal directe aansluitingen afneemt en de veiligheid op de N324 en aantakkende wegen toeneemt. De nieuwe bomen staan in de berm van de N324, tussen fietspad en N324 én parallelweg en N324. Deze bomen vullen de dubbele rij laanbomen aan beide zijden van de weg aan. Aan de noordzijde van de N324 blijft sprake van openheid, zoals ook voorzien in de 'Groenvisie'.

afbeelding "i_NL.IMRO.1685.bpbgbN324-OW01_0005.jpg"

Abeelding 5: deelplangebied ter hoogte van Munstraat

De Munstraat wordt in de toekomstige situatie in een rechte lijn richting parallelweg voorzien, ter plaatse van het erf van het oostelijk gelegen agrarische bouvvlak van het agrarische bedrijf.

Daar waar de grenzen van de nu geldende bestemmingsplannen niet goed op elkaar aansluiten wordt de bestemming 'Verkeer' toegekend zodat de gehele N324 voorzien is van een verkeersbestemming. Zie afbeelding hierna voor de verbeelding ter hoogte van de Munstraat - Bernestraat.

afbeelding "i_NL.IMRO.1685.bpbgbN324-OW01_0006.jpg"

Afbeelding 6: verbeelding ter hoogte van Munstraat - Bernestraat

2.5 Nabij Willevenstraat - Hoekstraat

2.5.1 Huidige situatie

De N324 voert ter hoogte van de Willevenstraat en Hoekstraat langs de bebouwde kom van Schaijk. Ter hoogte van het deelplangebied is sprake van een watergang begeleid door bomen en opgaande beplanting. Deze bomen en opgaande beplanting schermen de woningen aan de Hoekstraat en Willevenstraat af richting N324.

afbeelding "i_NL.IMRO.1685.bpbgbN324-OW01_0007.jpg"

Abeelding 7: deelplangebied nabij Willevenstraat - Hoekstraat (bron: www.bing.com/maps)

2.5.2 Toekomstige situatie

Aan de noordzijde van de N324 voorziet het ontwerp een vrijliggend fietspad. Naast het fietspad is een obstakelvrije ruimte voorzien. Deze obstakelvrije ruimte, ten dienste van de verkeersbestemming past niet in het ter plaatse geldende bestemmingsplan. De bestemming 'verkeer' is hier te smal. Daarom voorziet dit bestemmingsplan in een 'verkeersbestemming' voor deze obstakelvrije ruimte. Qua landschappelijke inpassing wijzigt er ter plaatse nauwelijks iets of niets. Op één plek wordt de laanstructuur, zoals voorzien in de Groenvisie, aangevuld door een boom aan te planten. De afbeelding hierna laat de toekomstige situatie zien. De afbeelding daarna laat de snipper zien, die nu de bestemming 'verkeer' krijgt.

afbeelding "i_NL.IMRO.1685.bpbgbN324-OW01_0008.jpg"

Afbeelding 8: toekomstige situatie ter hoogte van de Hoekstraat

afbeelding "i_NL.IMRO.1685.bpbgbN324-OW01_0009.jpg"

Afbeelding 9: ligging deelplangebied / snipper ter hoogte van Willevenstraat - Hoekstraat

2.6 Nabij Scheisestraat

2.6.1 Huidige situatie

De snippers ter hoogte van de Scheisestraat vallen samen met de berm van de N324 en de randen van het ter plaatse aanwezige bos. Deze snippers zijn in het geldende bestemmingsplan voorzien van de bestemming 'bos' en een dubbelbestemming om de ter plaatse aanwezige archeologische waarden te beschermen. Het kruispunt N324 - Scheisestraat is in de huidige situatie een ongeregeld kruispunt.

afbeelding "i_NL.IMRO.1685.bpbgbN324-OW01_0010.jpg"

Afbeelding 10: nabij Scheisestraat (bron: www.bing.com/maps)

2.6.2 Toekomstige situatie

Het kruispunt N324 - Scheisestraat wordt voorzien van een verkeersregelinstallatie om zo een veiligere situatie te creëren. De inrichting van het kruispunt wijzigt dus om te voldoen aan de verschillende eisen en randvoorwaarden waardoor er ook in beperkte mate meer ruimte nodig is. De extra ruimte die in dit bestemmingsplan wordt voorzien van een passende verkeersbestemming, wordt in de toekomstige situatie ingericht als berm, fietspad of weg. De toekomstige situatie doet geen of nauwelijks afbreuk aan de bestaande landschappelijke situatie. In de huidige situatie wordt de N324 reeds begeleid door een bomenlaan aan weerszijden. Dit is in lijn met de groenvisie die voor de N324 is opgesteld. Zie ook de afbeeldingen hierna.

afbeelding "i_NL.IMRO.1685.bpbgbN324-OW01_0011.jpg"

Afbeelding 11: uitsnede concept VO (nog aan wijzigingen onderhevig)

afbeelding "i_NL.IMRO.1685.bpbgbN324-OW01_0012.jpg"

Afbeelding 12: verbeelding bij dit bestemmingsplan nabij Scheisestraat

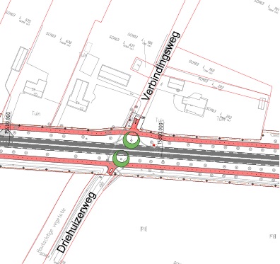
2.7 Nabij Verbindingsweg

2.7.1 Huidige situatie

In de huidige situatie is er ter hoogte van deze snipper sprake van een tuin bij een woning, met daarin opgaande beplanting. Ter plaatse geldt de bestemming 'wonen'. De woning op het perceel staat op enige afstand, ten oosten van de snipper die deel uitmaakt van voorliggend bestemmingsplan.

afbeelding "i_NL.IMRO.1685.bpbgbN324-OW01_0013.jpg"

Afbeelding 13: huidige situatie nabij Verbindingsweg

2.7.2 Toekomstige situatie

In de toekomstige situatie is de Verbindingsweg niet meer direct aangesloten op de N324. De Verbindingsweg wordt ontsloten via een fietspad dat in twee richtingen bereden kan worden. Om deze goed op elkaar aan te laten sluiten is wat extra ruimte nodig, ter hoogte van de tuin van de woning ten noorden van de N324, in de oksel N324 - Verbindingsweg. Het gaat slechts om enkele vierkante meters van de tuin van de woning aan de oostzijde van de Verbindingsweg. De afbeeldingen hierna maken dit inzichtelijk. Daar waar de aansluiting op de N324 komt te vervallen, worden bomen geplant, om zo de laanstructuur aan te vullen en compleet te maken. Dit sluit geheel aan bij de groenvisie die destijds is opgesteld.

 afbeelding "i_NL.IMRO.1685.bpbgbN324-OW01_0014.jpg"

Afbeelding 14: toekomstige situatie nabij Verbindingsweg

afbeelding "i_NL.IMRO.1685.bpbgbN324-OW01_0015.jpg"

Afbeelding 15: verbeelding voorliggend bestemmingsplan nabij Verbindingsweg

Hoofdstuk 3 Beleidskader

3.1 Inleiding

In de paragrafen hierna komt het voor het initiatief relevante ruimtelijke ordeningsbeleid aan de orde. De paragraaf hierna omschrijft dit beleid op Rijksniveau, waarna in de volgende paragrafen het beleid op provinciaal, regionaal en gemeentelijk niveau aan de orde komt.

Per beleidsstuk is een korte samenvatting opgenomen, gevolgd door een alinea waarin wordt aangegeven wat de relevantie van het beleidsstuk voor het plan is.

Beleid, wet- en regelgeving met betrekking tot bijvoorbeeld water, natuur, etc. komen aan de orde in het hoofdstuk hierna.

3.2 Rijk

3.2.1 Structuurvisie Infrastructuur en Ruimte

De Structuurvisie Infrastructuur en Ruimte (SVIR) is vastgesteld op 13 maart 2012 en vormt het kader dat de (nieuwe) ruimtelijke en mobiliteitsopgaven voor Nederland richting 2040 benoemt en de focus bepaalt voor de mobiliteitsinvesteringen. Het Rijk gaat gericht investeren in projecten die bijdragen aan een betere bereikbaarheid van de gebieden met de grootste economische verdiencapaciteit voor Nederland. En door weg, spoor, regionaal OV en vaarwegen in samenhang met ruimtelijke ontwikkeling te bekijken, gaan bereikbaarheid, leefbaarheid en duurzaamheid hand in hand.

De SVIR is de eerste stap naar meer ruimte voor ontwikkeling, het terugbrengen van de bestuurlijke drukte en het schrappen van regelgeving. De tweede stap wordt de Omgevingswet. Deze integreert alle relevante wetten voor de ruimtelijke inrichting. Meer ruimte betekent ook minder en eenvoudigere regels en procedures.

Het Rijk formuleert drie hoofddoelen om Nederland concurrerend, bereikbaar, leefbaar en veilig te houden voor de middellange termijn (2028):

  • Het vergroten van de concurrentiekracht van Nederland door het versterken van de ruimtelijk-economische structuur van Nederland.
  • Het verbeteren, in standhouden en ruimtelijk zekerstellen van de bereikbaarheid waarbij de gebruiker voorop staat.
  • Het waarborgen van een leefbare en veilige omgeving waarin unieke natuurlijke en cultuurhistorische waarden behouden zijn.


Meerjarenprogramma Infrastructuur, Ruimte en Transport

De MIRT (Meerjarenprogramma Infrastructuur, Ruimte en Transport)-regio Brabant en Limburg omvat de provincies Noord-Brabant en Limburg met daarin de Brainport Zuidoost Nederland. Opgaven van nationaal belang in dit gebied zijn:

  • Het verbeteren van het vestigingsklimaat van de Brainport Zuidoost Nederland (waaronder Brainport Avenue) en Greenport Venlo door het optimaal benutten en waar nodig verbeteren van de (internationale) bereikbaarheid van deze gebieden via weg, water, spoor en lucht (o.a. verdere ontwikkeling Eindhoven Airport);
  • Het borgen van de waterveiligheid en -kwaliteit en zoetwatervoorziening voor de korte termijn (zoals Maaswerken en uitvoering hoogwaterbeschermingsprogramma) en de lange termijn. Binnen het Deltaprogramma wordt deze opgave opgepakt;
  • Het tot stand brengen en beschermen van de (herijkte) EHS, inclusief de Natura 2000 gebieden;
  • Het ruimtelijk mogelijk maken van het (internationaal) buisleidingnetwerk vanuit Rotterdam en Antwerpen naar Chemelot en het Roergebied;
  • Het robuust en compleet maken van het hoofdenergienetwerk (380 kV) over de grens;
  • Het aanwijzen van voorkeursgebieden voor grootschalige windenergie in het westelijk deel van Noord-Brabant.

In de nota wordt de ambitie uitgesproken om een betrouwbare en acceptabele reistijd te verzorgen. Een betere bereikbaarheid van de economische kerngebieden in Nederland is van groot belang voor de versterking van de economie. Daarnaast is het van belang om niet alleen het hoofdwegennet te verbeteren, maar ook te werken aan de robuustheid van het onderliggende netwerk. Als er goede alternatieve routes beschikbaar zijn, is het wegennet minder gevoelig voor verstoringen.

Het is de ambitie om, daar waar mogelijk, verkeersstromen te scheiden. Het hoofdwegennet is beschikbaar voor zowel regionaal verkeer als doorgaand verkeer. Het kan kosteneffectief zijn om alternatieven te bieden aan het regionaal verkeer, bijvoorbeeld door het onderliggende wegennet op te waarderen.

Tot slot wordt er gekeken naar gebiedsgerichte aanpakken. Vanuit het besef dat het hoofdwegennet en onderliggend wegennet een samenhangend netwerk vormen, werken de overheden samen bij de aanpak van knelpunten. Het rijk neemt het initiatief bij knelpunten op het hoofdwegennet. In stedelijke netwerken ligt het voortouw bij de decentrale overheden, in dit geval de provincie Noord-Brabant.


Relatie met voorliggend bestemmingsplan

De herinrichting van de N324 geeft invulling aan de Structuurvisie Infrastructuur en Ruimte. Hiermee wordt het hoofdwegennet in de provincie verbeterd. Verkeersstromen worden zoveel mogelijk gescheiden, mede door de voorzieningen voor doorgaand en bestemmingsverkeer en fietsverkeer. De Structuurvisie staat de herinrichting van de N324 niet in de weg.

In het plangebied worden geen nieuwe ontwikkelingen mogelijk gemaakt die in strijd zijn met een van de nationale belangen. Het voorgenomen initiatief is in lijn met de structuurvisie, aangezien verder geen nationale belangen in het geding zijn.

3.2.2 Ladder voor duurzame verstedelijking

Ingevolgde artikel 3.1.6 lid 2 Bro (Ladder voor duurzame verstedelijking) dient de toelichting bij een bestemmingsplan, waarin een nieuwe stedelijke ontwikkeling mogelijk wordt maakt, te voldoen aan een drietal voorwaarden, ook wel 'treden' genoemd. De definitie van 'stedelijke ontwikkeling' is: 'ruimtelijke ontwikkeling van een bedrijventerrein of zeehaventerrein, of van kantoren, detailhandel, woningbouwlocaties of andere stedelijke voorzieningen'.


Dit plan beoogt de herinrichting van de N324 en aanliggende wegen om zo de doorstroming te verbeteren en de veiligheid te vergroten. Ter voldoening aan de verantwoordingsplicht van artikel 3.1.6 lid 2 Bro moeten nieuw te realiseren stedelijke ontwikkelingen standaard worden gemotiveerd met behulp van een drietal opeenvolgende stappen.

Onderdeel a (Trede 1) verplicht overheden om nieuwe stedelijke ontwikkelingen af te stemmen op de geconstateerde actuele behoefte en de wijze waarop in die behoefte wordt voorzien ook regionaal af te stemmen. Op deze wijze wordt over- en ondercapaciteit zoveel mogelijk voorkomen.

Onderdeel b (Trede 2) vraagt om te beoordelen of de beoogde ontwikkeling binnen het bestaand stedelijk gebied in de betreffende regio kan worden gerealiseerd. Dit betekent dat wordt bezien of binnen bestaand stedelijk gebied in de behoefte kan worden voorzien door middel van herstructurering, transformatie of anderszins. Onderdeel hiervan is dat wordt bekeken of leegstaande verstedelijkingsruimte door het treffen van kwalitatieve maatregelen in de behoefte kan voorzien.

Onderdeel c (Trede 3) bepaalt dat moet worden beoordeeld in hoeverre de ontwikkeling mogelijk is op locaties die al ontsloten zijn of ontsloten worden door verschillende modaliteiten op een schaal die passend is bij de beoogde ontwikkeling.


Relatie met voorliggend bestemmingsplan

Met onderhavige ontwikkeling wordt aangesloten op de Ladder voor duurzame verstedelijking. Nut en noodzaak voor de ontwikkeling wordt gemotiveerd in paragraaf 2.2. Het grootste deel van de onderhavige ontwikkeling wordt gerealiseerd ter plaatse van een reeds bestaande weg deels buiten bestaand stedelijk gebied en deels ook binnen bestaand stedelijk gebied. Het overgrote deel van het plangebied heeft al een verkeersfunctie. Trede drie is bij deze ontwikkeling niet aan de orde. Op basis hiervan kan worden gesteld dat de voorgenomen wijziging van bestemming past binnen artikel 3.1.6 lid 2 Bro.

3.3 Provincie en regio

3.3.1 Structuurvisie ruimtelijke ordening

Op 19 maart 2014 is de Structuurvisie ruimtelijke ordening 2014 in werking getreden. Deze structuurvisie is een actualisatie van de visie die in 2010 werd vastgesteld. Belangrijke beleidswijzigingen hebben betrekking op de realisatie van natuur en de transitie naar zorgvuldige veehouderij in Brabant. Dé grote uitdaging voor Noord-Brabant is om het (hoog)stedelijk gebied verder te ontwikkelen tot een krachtig netwerk en tegelijkertijd de groene en blauwe waarden van Noord-Brabant te versterken.

Ten aanzien van het aspect mobiliteit wordt in de Structuurvisie uitgegaan van een groei met 40% in de periode tot 2030. De automobiliteit in Noord-Brabant is in de afgelopen 10 jaar met zo'n 25% gegroeid. In de komende jaren zal deze groei zich voortzetten.


De ligging van de stedelijke concentratiegebieden aan internationale assen en de verbinding tussen de verschillende stedelijke concentratiegebieden (door regionale assen) zijn cruciaal voor het economisch functioneren van Brabant. Het creëren van een betere verknoping van infrastructuur en ruimtelijke ontwikkeling en bevordering van de bereikbaarheid zijn essentieel. Het landschap dient meer aandacht te krijgen bij de uitbreiding en aanleg van infrastructuur, omdat een goede afstemming van de vormgeving van wegen met de omgeving bijdraagt aan de kwaliteit van Brabant. De bereikbaarheid tussen steden, en tussen steden en omliggende regio's dient te worden verbeterd. Daarbij wordt bestaande weginfrastructuur optimaal benut en infrastructuur uitgebouwd als dat noodzakelijk is. Nieuwe doorsnijdingen van het buitengebied door infrastructuur worden zoveel mogelijk voorkomen.

Relatie met voorliggend bestemmingsplan

De herinrichting van de N324 geeft invulling aan het provinciale beleid.

Verordening ruimte

De provincie geeft in de Structuurvisie Ruimtelijke Ordening de hoofdlijnen van het ruimtelijk beleid tot 2025 (met een doorkijk naar 2040). De visie is bindend voor het ruimtelijk handelen van de provincie. Het is de basis voor de wijze waarop de provincie de instrumenten inzet die de Wet ruimtelijke ordening biedt. Zaken uit de structuurvisie die van provinciaal belang zijn, zijn vastgelegd in de Verordening ruimte. De Verordening Ruimte 2014 bevat regels, waaraan de in de verordening vermelde gemeentelijke planologische besluiten moeten voldoen.

Hierna is een overzicht opgenomen van de artikelen die van toepassing zijn ter hoogte van het plangebied van dit bestemmingsplan. De Verordening gaat ook in op natuur. Deze onderdelen van de Verordening en hoe hier invulling aan is gegeven komen aan de orde in paragraaf 4.3 van deze toelichting en het natuuronderzoek.


In onderstaande tabel zijn de voor dit plan van toepassing zijnde artikelen uit de Verordening Ruimte 2014 opgesomd. Daarnaast is aangegeven hoe in het bestemmingsplan invulling is gegeven aan deze artikelen.

afbeelding "i_NL.IMRO.1685.bpbgbN324-OW01_0016.jpg"

afbeelding "i_NL.IMRO.1685.bpbgbN324-OW01_0017.jpg"

afbeelding "i_NL.IMRO.1685.bpbgbN324-OW01_0018.jpg"

afbeelding "i_NL.IMRO.1685.bpbgbN324-OW01_0019.jpg"

afbeelding "i_NL.IMRO.1685.bpbgbN324-OW01_0020.jpg"

3.3.2 Verplaatsen in Brabant, Dynamische beleidsagenda 2012 - 2016

De dynamische beleidsagenda is een uitwerking van het Provinciaal Verkeer- en Vervoersplan. De Dynamische beleidsagenda bevat een gebundeld overzicht van doelen en thema's op tactisch niveau die de provincie Noord-Brabant in de periode 2012-2016 zelfstandig of samen met haar regionale partners wil oppakken.


Relatie met voorliggend bestemmingsplan

De herinrichting van de N324 draagt bij aan de volgende doelen van de provincie Noord-Brabant:

  • T3 Optimaal functioneren van de infrastructuur als robuust multimodaal netwerk.
  • T6 Vergroten fietsgebruik door vergroten van het aantal verplaatsingen voor fiets in de modal split.
  • T7 Waarborgen van een veilig en robuust provinciaal wegennet.
  • T10 Het verminderen van oversteekknelpunten voor langzaam verkeer van het robuuste wegennet.

3.4 Gemeente

3.4.1 Structuurvisie Landerd

In de Structuurvisie Landerd (d.d. 15 december 2014) zijn de ruimtelijke beleidskaders voor de gemeente geformuleerd. Daarbij is er voor gekozen niet te vertrekken vanuit de lopende beleidskaders, maar vanuit de feitelijke regiebehoefte op de ruimtelijke ontwikkelingen die nu en de komende jaren aan de orde zijn.

Onder andere worden ontwikkelingen op het gebied van mobiliteit, verkeer en vervoer onderscheiden, als gevolg van ontwikkelingen op het vlak van wonen, economie, voorzieningen, etc.

De beleidskaders geven de ruimte aan die het gemeentebestuur wil bieden aan ontwikkelingen die binnen vigerende bestemmingsplannen niet kunnen worden gerealiseerd. De gemeente Landerd faciliteert nieuwe ontwikkelingen, passend binnen de structuurvisie.

Wat betreft de verkeersstructuur van de gemeente Landerd geeft de structuurvisie aan dat deze op orde is. Ook is in de structuurvisie opgenomen dat de hoofdstructuur op een aantal plekken nog wel de nodige aandacht nodig heeft: onder andere ter hoogte van de aansluiting N324 met de kern Schaijk. Hiervoor is door de Provincie een plan opgesteld dat aansluit bij de gemeentelijke visie op dit punt. In de Structuurvisie is ook aangegeven dat de N324 binnen enkele jaren door de provincie wordt aangepakt, waarbij er speciale aandacht is voor de aansluitingen bij Schaijk ter hoogte van de Schutsboomstraat, Palmstraat en Scheisestraat. In het plan is ook voorzien in een ongelijkvloerse oversteek (tunnel) voor fietsers bij de Schutsboomstraat.

Relatie met voorliggend bestemmingsplan

Dit bestemmingsplan maakt het aanpakken van de N324 binnen de gemeente Landerd mogelijk. De aansluitingen bij Schaijk ter hoogte van de Schutsboomstraat en Scheisestraat zijn meegenomen in dit bestemmingsplan. Dit bestemmingsplan maakt de hier voorgestane verbeteringen van de situatie mogelijk. De aansluiting ter hoogte van de Palmstraat is, zoals gezegd, buiten dit bestemmingsplan gelaten.

3.4.2 Landschapsbeleidsplan 2013 - 2027

De gemeente Landerd heeft op 8 november 2012 het nieuwe Landschapsbeleidsplan 2013- 2027 vastgesteld voor haar buitengebied. Het betreft een verdieping van het eerder opgestelde gemeentelijke landschapsbeleidsplan 2003.

Het Landschapsbeleidsplan 2013 - 2027 zet in op een algehele landschapsverbetering en is tevens het uitvoeringsprogramma voor de jaren 2013 - 2027. De doelen van het landschapsbeleidsplan zijn als volgt:

  • Realiseren van een groene dooradering en groene randen van de dorpen, waardoor de dorpen nadrukkelijk onderdeel van het landschap zijn.
  • Versterken van de diversiteit en daarmee de identiteit van het landschap.
  • Stimuleren van en richting geven aan particuliere landschapsverbetering, inhoud geven aan het begrip landschapskwaliteit.
  • Versterken en onder de aandacht brengen van de bijzondere gebieden.
  • Projecten benoemen waarmee de gemeente haar landschap verbetert.
  • Verzamelen van alle projecten die in verschillende plannen voor het buitengebied genoemd zijn.
  • Ondersteuning van keuzes in de nieuwe structuurvisie (zie ook hiervoor).

Relatie met voorliggend bestemmingsplan 

Bij de optimalisaties en aanpassingen aan de N324, binnen de gemeente Landerd, is rekening gehouden met landschappelijke kwaliteiten. Waar mogelijk zijn deze kwaliteiten verder versterkt in het ontwerp van de weg (zoals dat nu voor ligt). Zie ook paragraaf 3.4.3 en 3.4.6 van dit bestemmingsplan voor een verdere, meer specifieke uitwerking van het aspect landschap en groen in relatie tot het inititiatief.

Door de Groenvisie aan de regels van dit bestemmingsplan te koppelen en een voorwaardelijke verplichting op te nemen in de regels is de landschappelijke kwaliteitsverbetering geborgd. De voorwaardelijke verplichting in de regels ziet toe op het daadwerkelijk landschappelijk inpassen van de optimalisaties aan de N324. De Groenvisie biedt de kaders voor de partij die uiteindelijk de optimalisaties gaat uitvoeren.

3.4.3 Nota kwaliteitsverbetering

De gemeente Landerd heeft de provinciale eis voor kwaliteitsverbetering uitgewerkt in de Nota kwaliteitsverbetering. Deze nota is door de gemeenteraad van Landerd vastgesteld op 18 april 2013.

In deze nota wordt verwezen naar de Verordening ruimte van de provincie Noord-Brabant waarin zij aangeeft welke maatregelen onder andere kunnen bijdragen aan een kwaliteitsverbetering van het landschap in het gebied waarop de ontwikkeling haar werking heeft. Daarbij is niet van belang of sprake is van landschappelijke inpassing in traditionele zin; juist ook andere zaken die effectief bijdragen aan een kwalitatieve verbetering van het buitengebied zijn mogelijk.

Reguliere regels voor de kwaliteit van bebouwing, bijvoorbeeld gekoppeld aan een beeldkwaliteitsplan of in de vorm van welstandseisen of eisen uit het Bouwbesluit mogen uitdrukkelijk niet worden toegerekend aan het principe van kwaliteitsverbetering; alleen aantoonbare extra investeringen tellen mee.

Het Landschapsbeleidsplan van de gemeente Landerd geeft weer waar het Landerdse landschap aanvullingen en aanpassingen behoeft en op welke manier die gerealiseerd zouden moeten worden.

Door landschappelijke kwaliteitsverbeteringen, zoals die in het Landschapsbeleidsplan zijn weergegeven, onderdeel uit te laten maken van een bepaald initiatief, kan invulling worden gegeven aan de voorwaardelijke kwaliteitsverbetering.

Naast de landschappelijke kwaliteitsverbeteringen hanteert de gemeente Landerd ook maatschappelijke kwaliteitsverbeteringen. Deze worden ook meegewogen bij de beoordeling om al dan niet medewerking te verlenen aan een initiatief in het buitengebied. Het gaat dan bijvoorbeeld om:

  • gebruik van technieken en systemen, waardoor een meer dan wettelijk verplichte reductie van de uitstoot van ammoniak, fijn stof, koolstofdioxide, stikstof of fosfaat, kan worden gerealiseerd, bijvoorbeeld door optimale toepassing van luchtwassers, zonnepanelen, duurzame mestverwerkings – en biomassasystemen, etc.;
  • gebruik van technieken en systemen, waardoor op een meer dan wettelijke verplichte zorgvuldige manier met water wordt omgegaan, bijvoorbeeld door goede waterconservering (retentievijvers), afkoppelen van verharding, inzetten op infiltratie en ‘groene daken’, op maat beregenen, peilgestuurde drainage, efficiënter gebruik van meststoffen, beperken gebruik gewasbeschermings- en ongediertebestrijdingsmiddelen, teeltoptimalisatie, etc.;
  • meer dan wettelijk verplichte maatregelen met betrekking tot de gezondheid van zowel dier als mens, bijvoorbeeld op het gebied van preventie van (de verspreiding van) dierziekten en zoönosen door minimaal gebruik van antibiotica en resistentie te voorkomen en door monitoring van dieren en personeel op het voorkomen van enkele specifieke (nader te bepalen) zoönosen, op het gebied van geur- en geluidhinder, etc.;
  • nastreven van transparantie door educatie en openstelling, bijvoorbeeld door het houden van open dagen, het gebruik van zichtstallen, etc.

De gemeentelijke uitwerking van de kwaliteitsverbeterende maatregelen heeft een hoog dynamisch en modulair karakter en zal voortdurend in ontwikkeling zijn. De maatregelen zullen in eerste instantie op basis van maatwerk voorwaardelijk worden gesteld. Daarbij is het uitgangspunt dat het gebied de ontwikkeling moet kunnen dragen en dat het moet gaan om een aantoonbare verbetering als bedoeld in de Verordening ruimte. Een ambtelijke commissie Kwaliteitsverbetering, beoordeelt elke concrete aanvraag voor wat betreft het aspect ‘kwaliteitsverbetering’ op zijn merites. Deze commissie geeft de behandelend ambtenaar uitsluitsel over of medewerking kan worden verleend.

Relatie met voorliggend bestemmingsplan

De onderhavige ontwikkeling valt in categorie 3 van de Nota Kwaliteitsverbetering van de gemeente Landerd (aanzienlijke impact). Ten aanzien van deze categorie heeft de gemeente in het Regionaal Ruimtelijk Overleg de afspraak gemaakt dat zowel op de projectlocatie als in de omgeving landschappelijke kwaliteitsverbeterende maatregelen (lkm's) moeten worden doorgevoerd. Aanvullend moeten, voor zover redelijkerwijs mogelijk en de betreffende ontwikkeling daar de gelegenheid toe biedt, minimaal twee maatschappelijke kwaliteitsverbeterende maatregelen (mkm's) worden getroffen.

Het doel van het project is het verbeteren van de veiligheid van de N324. Deze veiligheid is een van de mkm's.

Bij de aanleg van het nieuwe wegdek wordt gebruik gemaakt van geluidreducerend asfalt, zodat er richting omgeving van de N324 minder sprake zal zijn van geluidbelasting / geluidoverlast. Ook dit is een van de mkm's.

Daar waar mogelijk, ook buiten de plangrenzen van dit bestemmingsplan, wordt de laanstructuur langs de N324 versterkt, in lijn met de Groenvisie die is opgesteld.

Door de Groenvisie te koppelen aan de regels van dit bestemmingsplan is de aanleg van de weg, in lijn met de Groenvisie, geborgd. Ook de voorwaardelijke verplichting die hiertoe in de regels is opgenomen, ziet hierop toe. Zo wordt voor de zeer kleine deelplangebieden van dit bestemmingsplan de landschappelijke inpassing van de N324 zeker gesteld.

De Kwaliteitscommissie van de gemeente Landerd, zoals hiervoor aangehaald, heeft ingestemd met deze aanpak.

3.4.4 Maashorstmanifest

Het Maashorst Manifest is opgesteld in opdracht van de Stuurgroep de Maashorst. Het manifest geeft de volgende visie op de Maashorst in 2020.

  • 1. In 2020 is De Maashorst een levendig en ondernemend Provinciaal Landschap georganiseerd rond het grootste natuurgebied van Brabant, duurzaam bewerkt en beheerd door boeren, beheerders en ondernemende burgers en omgeven door vitale en leefbare dorpen en steden.
  • 2. In 2020 wordt De Maashorst op afstand herkend als gebied waar het goede leven, gezondheid en goede voeding, zorgzaamheid en spiritualiteit de basiswaarden vormen van haar identiteit en duurzame ontwikkeling.
  • 3. In 2020 staan de poorten van De Maashorst wijd open voor bezoekers die willen genieten van haar gastvrijheid, cultuur, natuur, rust en het rijke scala aan recreatiemogelijkheden in de regio.
  • 4. In 2020 werken boeren, burgers, ondernemers, beheerders en bestuurders al ruim 15 jaar eendrachtig samen aan het duurzaam beheer en de voortdurende ontwikkeling van De Maashorst.

Relatie met voorliggend bestemmingsplan

Dit bestemmingsplan maakt de aanpassingen en optimalisaties aan de N324 mogelijk, zodat de Maashorst goed bereikbaar blijft.

3.4.5 Nota Archeologie gemeente Landerd

In 1992 heeft Nederland als een van de leden van de Raad voor Europa het verdrag van Malta inzake de bescherming van het archeologisch erfgoed ondertekend. Sinds 2007 is in Nederland de Wet op de archeologische monumentenzorg van kracht, geïmplementeerd in de Monumentenwet 1988, die de volledige implementatie van het Verdrag van Malta betekende. Volgens het hoofdstuk “Archeologische monumentenzorg” uit de Monumentenwet 1988 is een gemeente verplicht om bij het opstellen van bestemmingsplannen (buitenplanse omgevingsvergunningen en beheersverordeningen) rekening te houden met in de grond aanwezige dan wel te verwachten archeologische waarden danwel monumenten. Dit betekent dat er bij ruimtelijke ontwikkelingen altijd en overal (middels een bureauonderzoek) aangetoond moet worden dat er geen bodemvondsten te verwachten zijn, conform het principe ‘de verstoorder betaalt’. De enige uitzonderingen die de wet biedt zijn projecten tot maximaal 100 m2. Daarnaast is het gebruikelijk en geaccepteerd dat grondverstoringen tot een diepte van maximaal 30 cm vrijgesteld zijn van onderzoek.


Concreet houdt het bovenstaande in dat in een bestemmingsplan geregeld moet zijn dat er bij ruimtelijke ontwikkelingen danwel bodemingrepen vooraf aan het verlenen van omgevingsvergunning middels een (archeologisch) onderzoek aangetoond is dat er geen archeologische vondsten in de bodem zitten.

De gemeenteraad van Landerd heeft daartoe in zijn vergadering van 24 mei 2012 de ‘Nota Archeologie gemeente Landerd’ en de ‘Archeologische beleidskaart gemeente Landerd’ vastgesteld.

afbeelding "i_NL.IMRO.1685.bpbgbN324-OW01_0021.jpg"

Abeelding 16: Archeologische beleidskaart gemeente Landerd

In deze nota en de bijbehorende ‘Archeologische beleidskaart gemeente Landerd’ wordt onderscheid gemaakt in de volgende categorieën:

  • Categorie 1: monumenten. Onderzoeksplicht niet van toepassing.
  • Categorie 2: gebieden van zeer hoge archeologische waarde en historisch geografische objecten met een archeologische relevantie. Onderzoeksplicht bij een verstoringsdiepte van meer dan 50 cm en een verstoringsoppervlakte van meer dan 50 m².
  • Categorie 3: gebieden van hoge archeologische waarde. Onderzoeksplicht bij een verstoringsdiepte van meer dan 50 cm en een verstoringsoppervlakte van meer dan 100 m².
  • Categorie 4: gebieden met een hoge archeologische verwachting. Onderzoeksplicht bij een verstoringsdiepte van meer dan 50 cm en een verstoringsoppervlakte van meer dan 250 m².
  • Categorie 5: gebieden met een middelhoge archeologische verwachting en na-oorlogse woonwijken en industriegebieden die in een gebied van hoge archeologische verwachting liggen. Onderzoeksplicht bij een verstoringsdiepte van meer dan 50 cm en een verstoringsoppervlakte van meer dan 2500 m².
  • Categorie 6: gebieden met een lage archeologische verwachting. Geen onderzoeksplicht.
  • Categorie 7: gebieden zonder een archeologische verwachting of archeologisch vrijgegeven. Geen onderzoeksplicht.


Relatie met voorliggend bestemmingsplan

De zonering zoals opgenomen op de kaart, die hiervoor is ingevoegd, heeft als basis gediend voor het begrenzen van de dubbelbestemmingen 'Waarde - Archeologie' op de verbeelding van dit bestemmingsplan. De categorieën zoals hiervoor benoemd, zijn verder doorvertaald in de regels van het bestemmingsplan.

3.4.6 Groenvisie herinrichting N324

In het kader van de Planstudie N324 is destijds een herinrichtingsvoorstel opgesteld voor de provinciale weg. In het herinrichtingsvoorstel zijn de verkeerskundige maatregelen op zowel wegvak- als kruispuntniveau uitgewerkt. Uitgangspunt voor het herinrichtingsvoorstel is de landschapsvisie, waarin de belangrijkste kwaliteiten en waarden in het gebied zijn benoemd en beschreven. In het herinrichtingsvoorstel zijn deze waarden zo veel als mogelijk gerespecteerd. De groenvisie is een nadere uitwerking van de landschapsvisie (zie afbeelding hierna) en geeft inzicht in de wensbeelden die bij de uiteindelijke herinrichting van de provinciale weg in overweging genomen zouden moeten worden ten aanzien van het behoud of de versterking van groen- en landschapsstructuren. In het herinrichtingsvoorstel zijn deze maatregelen nog niet meegenomen omdat de exacte uitwerking altijd op basis van een integrale afweging van onder andere inpassing, ruimtelijke kwaliteit en kosten plaatsvindt.

afbeelding "i_NL.IMRO.1685.bpbgbN324-OW01_0022.jpg"

Afbeelding 17: Landschapsvisie


De N324 is een van oorsprong Napoleontische straatweg die gekenmerkt wordt door een sterke monumentaliteit. De monumentaliteit vindt zijn oorsprong in de beeldbepalende, dubbele laanstructuur van eiken met een doorsnede tot 80 cm die tot aan het schootsveld van Grave doorloopt. De cultuurhistorische waardenkaart kent een hoge waardering toe aan de weg, en het is het uitgangspunt dit historisch en monumentaal karakter te versterken.
De laanstructuur wordt op zijn beurt ondersteund door de verschillende landschappen die de N324 doorkruist. Het tracé loopt van het bos- en heidegebied op de Peelhorst (natuurgebied de Maashorst), via het kleinschalige rivierenlandschap en de laanstructuren rond klooster Mariëndaal bij Velp, naar de riviervesting Grave met zijn schootsveld en wallen. De herinrichting van de weg draagt bij aan de beleefbaarheid van deze landschappen door de gebruiker van de weg.

afbeelding "i_NL.IMRO.1685.bpbgbN324-OW01_0023.jpg"

Afbeelding 18: Laanstructuur langs N324


In de groenvisie zijn achtereenvolgens de laanstructuur (zie afbeelding hiervoor) en de passage door de 3 typerende landschappen verder uitgewerkt. Het plangebied van dit bestemmingsplan voert door 2 van de 3 typerende landschappen:

  • Peelhorst (natuurgebied de Maashorst tot aan de Reekse Molen);
  • kleinschalig rivierenlandschap (vanaf Reekse Molen tot aan gemeentegrens / Hoefkensestraat).

Peelhorst

Vanaf knooppunt Paalgraven tot aan de Reekse Molen wordt de versnippering van het bosareaal tegengegaan om de ecologische kwaliteiten van Natuurgebied De Maashorst verder te kunnen ontwikkelen. De gehele zuidzijde van het tracé wordt beplant met eiken-berkenbos. De benodigde percelen dienen hiervoor te worden verworven of ingericht. Vanaf de Schaijkerhoek tot aan de Reekse molen wordt ook een rand bos aan de noordzijde ontwikkeld.

De bestaande en nieuwe bosrand van eiken-berkenbos, worden gestructureerd met ruwe en zachte berk en beperkte aanplant van inheemse lijsterbes en sporkehout. Bestaande dennen, en dan met name de Corsicaanse en zeedennen, worden gerooid.

In verband met de openheid bij ‘t Mun en Hooge Heide richting het kleinschalig rivierenlandschap, blijft het zicht aan de noordzijde vrij. Alleen een dubbele rij laanbomen aan beide zijden van de weg accentueert de overgang van de Peelhorst naar het rivierenlandschap (contrast open/gesloten). Dit faciliteert eveneens het zicht op de interessante reliëfverschillen ten opzichte van de lager gelegen akkers. Deze reliëfverschillen worden benadrukt door de aanplant van hagen en houtkanten op de perceelsgrenzen.

In het hele ontwerp worden maatregelen genomen voor ecologie, met name door middel van faunapassages en wildrasters. De fraaie open ruimte tussen de linten Lage Baan en Hoogheistraat blijft behouden. Het toevoegen van nieuwe singels past in de visie van het Landschapsbeleidsplan van Landerd in relatie tot het versterken van de linten door het toevoegen van onder andere houtsingels.

De berm langs het gehele deeltracé wordt geplagd om de terugkeer van een schrale vegetatie te bevorderen.

De overgang van de Peelhorst naar de lager gelegen Maasvallei, bij de rotonde N324/N277 wordt gemarkeerd en vormgegeven als een ‘poort’. De Reekse Molen wordt losgemaakt van zijn omgeving en fungeert als een baken. Met name het zicht op de molen komende vanaf Schaijk is waardevol. De rotonde zal daarom niet hoger worden dan in de huidige situatie en wordt verlicht vanaf de buitenkant van de rotonde. De inrichting van de poort krijgt een monumentale sfeer. Eveneens zou de overkapping van het benzinestation verplaatst of architectonisch aangepast (transparanter) dienen te worden. De eiken voor het benzinestation worden verwijderd waar deze niet in de laanstructuur passen of niet kunnen worden geïntegreerd in de bosrand. De aansluiting met de Udensedreef wordt verbijzonderd door middel van laanbeplanting om het karakter van deze dreef zichtbaar te maken vanaf de N324.


Kleinschalig rivierenlandschap

Het open, agrarisch landschap wordt versterkt door de lijnvormige landschappelijke elementen te benadrukken en de lange zichtlijnen vrij te laten. De weg wordt beplant met een dubbele laanstructuur die de lange zichtlijnen respecteert. Hagen en houtwallen worden op de perceelsgrens geplaatst, dwars op de richting van de weg.

Relatie met voorliggend bestemmingsplan
De deelplangebieden, snippers van dit bestemmingsplan zijn beperkt van omvang. Bij de inrichting en het toekennen van de bestemmingen in dit bestemmingsplan is rekening gehouden met het invulling kunnen geven aan de groenvisie, zoals hiervoor omschreven.

Door de Groenvisie van de N324 aan de regels van dit bestemmingsplan te koppelen en een voorwaardelijke verplichting op te nemen in de regels is de landschappelijke kwaliteitsverbetering geborgd. Deze Groenvisie biedt de kaders voor de partij die uiteindelijk de optimalisaties gaat uitvoeren.

Hoofdstuk 4 Verantwoording

4.1 Inleiding

In dit hoofdstuk wordt ingegaan op relevante milieugegevens, milieuonderzoeken en de vormvrije m.e.r.-beoordeling die zijn uitgevoerd in het kader van dit bestemmingsplan. Indien onderzoek heeft plaatsgevonden in het kader van dit bestemmingsplan wordt het onderzoekskader van het betreffende milieuthema genoemd. Vervolgens komen het onderzoek zelf en de relevantie voor het plan aan de orde. De onderzoeksrapportages zijn opgenomen als bijlage bij deze toelichting.


Wanneer geen onderzoek heeft plaatsgevonden, specifiek voor dit bestemmingsplan, maar het thema wel relevant is voor dit bestemmingsplan, wordt hier wat korter op ingegaan door aan te geven wat de relevantie van het thema is voor het plan.

4.2 M.e.r. beoordeling

Op basis van het principeplan voor de herinrichting is een vormvrije m.e.r uitgevoerd om te bezien of het project m.e.r. plichtig zou kunnen zijn. Het principeplan is vervolgens uitgewerkt in een VO plus. Dit VO plus is getoetst in de vormvrije m.e.r. en de conclusies zijn niet gewijzigd.

Hierna wordt eerst ingegaan op het onderzoekskader dat ten grondslag ligt aan de m.e.r.-beoordeling, waarna de resultaten worden toegelicht en de relevantie voor het plan aan de orde komt. De vormvrije-m.e.r.-beoordeling is als Bijlage 4 toegevoegd aan deze toelichting. Hier is het totale document te lezen.

Onderzoekskader

Het Besluit milieueffectrapportage (Besluit m.e.r.) wijst activiteiten aan waarvoor (naar gelang de omvang van de activiteit) een MER, een m.e.r.-beoordeling of een vormvrije m.e.r.-beoordeling dient te worden opgesteld:

  • Past een activiteit in de beschrijving van de zogenaamde C-lijst dan dient altijd een MER te worden opgesteld.
  • Past een activiteit in de beschrijving van de zogenaamde D-lijst dient een zogenaamde m.e.r.-beoordeling worden opgesteld. Bij een m.e.r.-beoordeling wordt onderzocht of er al dan niet een MER dient te worden opgesteld.
  • Voor activiteiten die in de D-lijst zijn opgenomen, maar onder de drempelwaarde (betreffende de omvang van de activiteit) vallen, geldt de vergewisplicht. Het bevoegd gezag dient zich er dan van te vergewissen dat de voorgenomen activiteit daadwerkelijk geen aanzienlijke milieugevolgen heeft. Het bevoegd gezag moet haar keuze om geen m.e.r. beoordeling uit te voeren motiveren in de toelichting van het plan/besluit. Hiervoor wordt een zogenaamde vormvrije m.e.r.-beoordeling opgesteld.

De aanleg of wijziging van wegen is in het Besluit m.e.r. zowel in onderdeel C als D opgenomen. Er is geen wettelijke verplichting om voor de herinrichting van de N324 een MER, m.e.r.-beoordeling of vormvrije m.e.r.-beoordeling op te stellen. De provincie Noord-Brabant kiest ervoor om vrijwillig een vormvrije m.e.r.-beoordeling op te stellen. Hierdoor komt op basis van het principeplan relevante milieu-informatie naar boven die kan worden gebruikt bij de verdere de planuitwerking, communicatie met de omgeving en de planprocedure.

Onderzoeksresultaat 

Naar aanleiding van de vormvrije m.e.r. beoordeling kan in zijn algemeenheid worden geconcludeerd dat de herinrichting een gering ruimtebeslag heeft en niet leidt tot grotere emissies. Negatieve effecten zijn daarmee beperkt en lokaal van aard.

De herinrichting van de N324 leidt tot positieve effecten op het gebied van doorstroming, verkeersveiligheid, landschap, cultuurhistorie, natuur en geluid. Er is geen sprake van zeer negatieve effecten.

Potentiële negatieve effecten zijn geconstateerd voor waterberging en waterkwantiteit. Dit heeft te maken met de realisatie van de rotonde bij de Industriestraat, die deels in de Graafsche Raam is geprojecteerd. De watertoetsprocedure (welke in het kader van het bestemmingsplan is doorlopen) borgt dat negatieve effecten worden voorkomen dan wel worden gecompenseerd. Aangezien de bestemmingsplanprocedure hier in voorziet, is er geen aanleiding om een m.e.r.-beoordeling of MER op te stellen.

Om de verkeersveiligheid te verbeteren worden aansluitingen gesaneerd. Op enkele locaties is er sprake van omrijdbewegingen voor aanwonenden, hetgeen negatief is beoordeeld. Dit effect is echter niet te voorkomen en te grote omrijdafstanden worden voorkomen door waar nodig aansluitingen te behouden. De realisatie van een parallelstructuur zou hier als maatregel een oplossing bieden. Echter is deze maatregel in een eerder stadium al afgewogen en afgevallen. Een MER of m.e.r.-beoordeling biedt hier geen meerwaarde.

Mogelijk treden er lokaal negatieve akoestische consequenties op. Bij de voorbereiding van dit bestemmingsplan is dit nader onderzocht op grond van de Wet geluidhinder. Dit onderzoek wordt nader omschreven in paragraaf 4.5 van deze toelichting. Aangezien de bestemmingsplanprocedure hier reeds in voorziet, is er ook ten aanzien van geluid geen aanleiding om een m.e.r.-beoordeling of MER op te stellen.

Op basis van het principeplan en de beschikbare informatie wordt in de onderhavige vormvrije m.e.r.-beoordeling geconcludeerd dat belangrijke nadelige gevolgen voor het milieu vooralsnog uitgesloten zijn. Een herijking van deze conclusie heeft plaatsgevonden op basis van de uitgevoerde onderzoeken voor dit bestemmingsplan. Aan de hand hiervan wordt eveneens geconcludeerd dat belangrijke nadelige gevolgen voor het milieu uitgesloten zijn.


Relevantie voor het plan

Aan de hand van de vormvrije m.e.r.-beoordeling kan worden geconcludeerd dat belangrijke nadelige gevolgen voor het milieu zijn uitgesloten. Het document met de vormvrije m.e.r. beoordeling is als bijlage bij deze toelichting gevoegd.

4.3 Natuurparagraaf

Natura 2000

Het plangebied vormt geen onderdeel van een beschermd gebied in het kader van de Natuurbeschermingswet 1998. De dichtstbijzijnde gebieden bevinden zich op meer dan 5 kilometer. De geplande ingreep is niet van dien aard dat een negatief effect op de voor dit gebied gestelde instandhoudingsdoelstellingen is te verwachten. Vanuit de Programmatische Aanpak Stikstof (PAS) mogen ontwikkelingen ook geen negatief effect op beschermde gebieden hebben vanwege een te hoge stikstofdepositie. In dit geval gaat het om een eenmalige ingreep gaat waarbij geen verkeersaantrekkende werking wordt verwacht. Daarnaast wordt de doorstroming van verkeer bevorderd, waardoor minder zal worden stilgestaan en worden opgetrokken door auto’s. Op basis hiervan is de verwachting dat ook geen sprake zal zijn van negatieve effecten op N2000-gebieden wat betreft stikstofdepositie.

Flora en fauna

In bijlage 2 is het Flora- en faunaonderzoek Herinrichting N324 Oss-Grave opgenomen (het onderzoek is uitgevoerd voor het gehele tracé). Hierna zijn het onderzoekskader, het onderzoeksresultaat en de relevantie voor het plan omschreven. Voor een meer uitgebreide omschrijving dient het onderzoek dat is opgenomen in de bijlagen te worden gelezen.

Onderzoekskader

Wetgeving

De bescherming van soorten en hun leefgebieden is geregeld in de Europese Vogelrichtlijn en Habitatrichtlijn en op nationaal niveau verankerd in de Flora- en faunawet en de Natuurbeschermingswet 1998. De Natuurbeschermingswet richt zich op de bescherming van daartoe aangewezen gebieden. Deze gebieden bestaan uit Natura 2000 gebieden en Beschermde Natuurmonumenten. Natura 2000 gebieden is de overkoepelende naam voor de Vogel- en Habitatrichtlijngebieden. Activiteiten die schade toebrengen aan de beschermde natuur zijn verboden. De Flora- en faunawet (Stb. 1998,402) richt zich op de bescherming en het behoud van in het wild levende planten- en diersoorten binnen en buiten de beschermde natuurgebieden. Het uitgangspunt van de wet is het nee, tenzij principe. Dit betekent dat geen schade mag worden toegebracht, tenzij dit nadrukkelijk is toegestaan. Alle inheemse zoogdieren (uitgezonderd bruine rat, zwarte rat en huismuis), alle inheemse vogelsoorten, alle amfibieën en reptielen, een aantal vissen, plantensoorten en andere diersoorten zijn beschermd. Een uitgebreidere beschrijving van de natuurwetgeving is opgenomen in het eerder aangehaald rapport dat als bijlage is toegevoegd.

Beleid

Door grootschalige ruimtelijke ontwikkelingen zijn in Nederland veel natuurgebieden en verbindingen tussen deze gebieden verloren gegaan. Om deze reden is het Nationaal Natuurwetwerk Nederland (NNN) in werking gesteld om enerzijds bestaande verbindingen te beschermen en anderzijds om nieuwe verbindingen te creëren. Op deze manier wordt een goed functionerend netwerk tussen natuurgebieden gerealiseerd. In deze gebieden zijn geen nieuwe (ruimtelijke) ontwikkelingen toegestaan die een significant negatief effect hebben op de wezenlijke kenmerken en waarden van het gebied tenzij daarmee een groot openbaar belang gediend is en er geen reële alternatieven voorhanden zijn. In dat geval moet de schade zoveel mogelijk beperkt worden door het treffen van mitigerende maatregelen en moet de resterende schade gecompenseerd worden.

Onderzoeksresultaat 

De volgende onderzoeken zijn uitgevoerd:

  • een bronnen- en literatuuronderzoek;
  • een biotooptoets.

Bronnen- en literatuuronderzoek

Het bronnen- en literatuuronderzoek omvat een literatuur- en kaartstudie naar de actuele waarden en betekenis van het plangebied. Hierbij zijn zowel de eigen waarden van het plangebied als ook de waarden in de directe omgeving van het plangebied beschouwd.

Om te onderzoeken of de geplande ontwikkeling effect heeft op eventueel in de omgeving aanwezige beschermde gebieden zijn kaarten geraadpleegd van de ligging van het plangebied ten opzichte van beschermde gebieden in het kader van de Natuurbeschermingswet 1998 en het NNN. Op basis van dit kaartmateriaal, de aard van de geplande ontwikkeling, de grootte van het plangebied en 'expert judgement', is een inschatting gemaakt in hoeverre de geplande ontwikkeling leidt tot een negatief effect op de betreffende beschermde natuurwaarden.

Biotooptoets

Op 24 maart 2016 is een veldbezoek gebracht aan het plangebied door een ecoloog van BTL Advies. Naast directe waarnemingen van beschermde soorten is aan de hand van de aangetroffen biotopen en habitatvoorkeuren van soorten, een indicatie verkregen van het mogelijk voorkomen van deze soorten in het plangebied. Dit is noodzakelijk, omdat sommige seizoensgebonden plant- en/of diersoorten tijdens het veldbezoek mogelijk niet direct zijn waargenomen. Diersoorten zijn bijvoorbeeld alleen nachtactief of in een bepaalde periode van het jaar afwezig. Daarom zijn de eisen die soorten en soortengroepen aan hun leefomgeving stellen met betrekking tot vaste rust- en verblijfplaatsen, voedselgebieden en migratierouten, vergeleken en getoetst met de situatie in het veld. Voor planten geldt voor de meeste soorten dat deze alleen gedurende de bloeiperiode waarneembaar zijn. Om deze reden wordt voor planten voornamelijk gelet op de vegetatiestructuur en abiotische omstandigheden van de standplaats. Op die manier is ook het belang van het plangebied beoordeeld voor flora en fauna die mogelijk in het plangebied voorkomen, maar niet tijdens de biotooptoets zijn waargenomen.

Onderzoeksresultaat / conclusies

Flora en fauna

In de tabel hierna zijn de strikter beschermde (tabel 2 of 3) soorten en/of soortgroepen opgenomen die mogelijk in het plangebied voorkomen en schade ondervinden van de geplande werkzaamheden. Tevens zijn de mogelijke effecten van de voorgenomen ontwikkeling, evenals de eventuele noodzaak voor nader onderzoek en/of een ontheffingsprocedure in het kader van de Flora- en faunawet opgenomen. Of daadwerkelijk nader onderzoek nodig is naar de soortgroepen vleermuizen en vissen, is afhankelijk van de concrete plannen in het kader van de wegreconstructie.

Soort (groep)   Ingreep verstorend   Nader onderzoek   Ontheffing nodig?   Bijzonderheden en/of opmerkingen  
Algemene broedvogels (bijv. houtduif of merel)   Nee   Nee   Nee   Mits bij het rooien van het aanwezige groen wordt gewerkt buiten het indicatieve broedseizoen of tijdens het broedseizoen een inspectie uitgevoerd wordt kort voorafgaand aan de werkzaamheden.  
Jaarrond beschermde nesten   Mogelijk   Nee   Mogelijk   Roeken bevinden zich binnen het plangebied. Indien bomen, die onderdeel vormen van de functionele broedlocatie, worden gekapt is ontheffing noodzakelijk.  
Grondgebonden zoogdieren   Nee   Nee   Nee   Kleinwildtunnels en rasters behouden.  
Vleermuizen   Mogelijk   Ja   Mogelijk   Mogelijke wezenlijk van belang zijnde vliegroutes / foerageergebied. Door kapwerkzaamheden verdwijnen mogelijk verblijfplaatsen.  
Vissen   Nee   Nee   Nee   Geen werkzaamheden aan Graafsche Raam  
Planten   Mogelijk   Ja   Mogelijk   Wegbermen onderzoeken in de periode mei – juli. Ontheffing niet nodig mits er gewerkt wordt met een goedgekeurde gedragscode.  

Tabel 1: Strikter beschermde soorten en/of soortgroepen mogelijk in het plangebied.

Aanvullingen / toelichting

  • Door te werken buiten het indicatieve broedseizoen (15 maart-15 juli) wordt de kans op verstoring/schade aan de meeste broedvogels tot een minimum beperkt.
  • In het kader van de algemene zorgplicht dienen eventueel voorkomende (onbeschermde) vissen en algemene amfibieën onder begeleiding van een ecoloog afgevangen te worden en te worden verplaatst naar alternatief geschikt leefgebied, indien watervoerende sloten/watergangen verlegd of gedempt worden.

NatuurNetwerkNederland (NNN)

Als gevolg van de herinrichting van de N324 treedt ruimtebeslag op in het NNN. In bijlage 3 is de toetsing en tevens compensatieplan NNN opgenomen. Dit ruimtebeslag leidt tot aantasting van de wezenlijke kenmerken en waarden van de aanwezige NNN. Er is, in samenspraak met de Provincie Noord-Brabant, voor de bepaling van het ruimtebeslag en de compensatie alleen uitgegaan van die locaties waar als gevolg van de reconstructie van de N324 in het nieuwe bestemmingsplan sprake is van een wijziging van de bestemming: van bestemming natuur naar bestemming verkeer. Uit de vigerende bestemmingsplannen is namelijk gebleken dat grote delen van het gebied binnen de werkgrens van de N324 al de bestemming verkeer hebben. Daaronder vallen ook bestaande natuurwaarden die deel uitmaken van het NNN zoals vastgelegd in de provinciale Verordening Ruimte. Omdat hier geen sprake is van een bestemmingswijziging is dit voor de bepaling van het ruimtebeslag en de compensatie als gevolg van de reconstructie van de N324 dan ook niet meegenomen.

Het merendeel van het ruimtebeslag zal leiden tot oppervlakteverlies van het natuurbeheertype N16.01 Droog bos met productie, terwijl het oppervlakteverlies van het landschapstype L01.02 Houtwal en houtsingel nihil is (400 cm2). Het oppervlakteverlies in het landschapstype L01.02 betreft feitelijk de overlap met de planbegrenzing. De betreffende houtwal/-singel zal worden ontzien, waardoor er vanuit wordt gegaan dat er geen sprake is van ruimtebeslag.

Er wordt in het compensatieplan vanuit gegaan dat geen sprake is van een toename van geluid in het NNN, eerder sprake van een afname doordat de verkeersintensiteiten afnemen door de herinrichting, er stil asfalt wordt gebruikt en op delen (met name in Grave) de snelheid omlaag gaat. Daarnaast heeft de herinrichting geen verkeersaantrekkende werking tot gevolg. Lokaal kan, als gevolg van het opschuiven van kruispunten en/of de weg richting het NNN, mogelijk wel sprake zijn van een toename. Of hiervan sprake is wordt nog nader verkend. Effecten blijven vooralsnog beperkt tot oppervlakteverlies.

Het effect is aanzienlijk en leidt tot een wezenlijke aantasting van planologisch beschermd gebied. Omdat er sprake is van een wezenlijke aantasting van de NNN is een wijziging van de begrenzing noodzakelijk als gevolg van de ruimtelijke ontwikkeling. Toetsing vindt in dat geval plaats aan artikel 5.3 van de Verordening Ruimte.

Groot openbaar belang

De N324 (Paalgraven (Landerd) - Maasbrug (Grave)) is aan groot onderhoud toe. De toestand van de verharding is dermate slecht, dat een volledige reconstructie noodzakelijk is. Daarnaast hebben de afgelopen jaren diverse ongevallen plaatsgevonden en wordt de verkeersveiligheid op veel kruispunten als onveilig ervaren. Voor de provincie was dit de aanleiding om enkele jaren geleden al te starten met een zogenaamde planstudie. Met de planstudie is beoogd om tegelijk met de grootonderhoudsmaatregelen ook alle overige problemen en wensen voor deze weg aan te pakken. Het belangrijkste doel daarbij is een nieuwe N324 die voldoet aan de richtlijnen van het landelijke concept “Duurzaam Veilig”. Deze planstudie was gereed in 2011. Als gevolg van noodzakelijke bezuinigingen is een versoberingsslag toegepast op het oorspronkelijke herinrichtingsvoorstel om daarmee de financiële consequenties van de herinrichting van de N324 te verminderen. Ondanks de versobering levert de planstudie een substantiële verbetering op met betrekking tot de veiligheid. Directe aansluitingen van het onderliggende wegennet zijn zoveel mogelijk komen te vervallen. De snelheid in de kern Grave is aangepast van 80 km/uur naar 50 km/uur. Een aantal situaties wordt zo aangepast dat er rotondes komen en er komt op een aantal locaties een verkeersregelinstallatie, waar deze er nu niet is. Deze maatregelen worden genomen om zo een betere veiligheid te kunnen garanderen en de doorstroming naar behoren te laten zijn.
De maatregelen, zoals hiervoor genoemd, zijn bedoeld om het aantal ongevallen en slachtoffers terug te dringen. De gehele herinrichting van de N324 draagt bij aan een betere doorstroming, hogere veiligheid en betere leefbaarheid op en nabij de N324.

Alternatieve locaties

De herinrichting betreft een bestaande weg, er zijn dan ook geen alternatieve locaties aanwezig voor het verbeteren van de verkeersveiligheid en leefbaarheid van de N324.


Alternatieve oplossingen

Voor het oplossen van de knelpunten met betrekking tot veiligheid, doorstroming en leefbaarheid is een integrale benadering gekozen, waarbij naast de verkeerskundige problematiek ook is gekeken naar de ruimtelijke inpassing (natuur en landschap). Er zijn verschillende varianten opgesteld voor het oplossen van de diverse problemen op wegvak- en kruispuntniveau. Bij deze varianten zijn de
strijdigheden tussen Duurzaam Veilig, wensen van belanghebbenden, natuur en landschap en
verkeersveiligheid afgewogen en zijn hiervoor maatregelen voorgesteld (zie verder ook de planstudie: ‘Duurzame Veilige inrichting N324.20, planstudie Oss-Grave’, Provincie Noord-Brabant, 2011).

De duurzaam veilige inrichting van de N324 houdt in dat zoveel als mogelijk bestaande (erf)aansluitingen komen te vervallen. Ook worden fietsoversteken opgeheven. Voor erfaansluitingen dient, om de N324 te kunnen bereiken, een alternatieve ontsluiting aanwezig te zijn via onderliggend wegennet. Bestaande

kruisingen die gehandhaafd blijven worden uitgevoerd als rotonde of worden voorzien van een verkeersregelinstallatie. Gezien de hoge intensiteiten op enkele kruispunten N324 dienen deze te worden uitgevoerd als turbo-rotonde of als VRI-kruising met meerdere rijstroken. Dit heeft tot gevolg dat het ruimtegebruik groter is dan op kruispunten waar één rijstrook per rijrichting volstaat.

Op delen van het tracé worden parallelwegen aangelegd of fietspaden verbreed om voldoende ontsluitingsmogelijkheden te creëren voor het verkeer omdat aansluiting en fietsoversteken worden

opgeheven (zie ook hiervoor).

In het ontwerp dient rekening te worden gehouden met een obstakel vrije zone langs de hoofdrijbaan om de veiligheid van de weggebruikers te borgen. Dit betekent dat verbreden van fietspaden en parallelwegen aan de buiten zijde dient te gebeuren.

Bij de duurzaam veilige inrichting van de N324 is voor een aantal principe oplossingen gekozen (zie hiervoor). Deze oplossingen leiden tot ruimtebeslag aan weerszijden van de weg met oppervlakteverlies

binnen het NNN tot gevolg. Daarnaast treedt ruimtebeslag op doordat rekening gehouden dient te worden met een obstakel vrije zone langs de hoofdrijbaan. Andere oplossingen waarbij geen ruimtebeslag in het NNN zou optreden, gaan ten koste van de veiligheid, terwijl het verbeteren van de veiligheid de voornaamste aanleiding voor de herinrichting vormt.

Compensatie

Binnen het bestemmingsplan is geen ruimte voor fysieke compensatie als bedoeld in artikel 5.6.1 lid a, daarom is de omvang van financiële compensatie als bedoeld in artikel 5.6.1 lid b bepaald. Hierbij is ook rekening gehouden met toeslagen (als gevolg van artikel 5.6.2).

Bij financiële compensatie moet worden voldaan aan de voorwaarden die zijn beschreven in artikel 5.8. Hierbij gaat het om de uitgangspunten voor het ramen van de kosten. Dat betekent dat de volgende
kostenelementen onderdeel moeten zijn van de raming voor financiële compensatie:

a. kosten voor de planontwikkeling en planuitvoering;

b. kosten van de aanschaf van vervangende grond;

c. kosten van de basisinrichting;

d. kosten van ontwikkelingsbeheer gedurende de ontwikkelingstijd.

Binnen de provincie Noord-Brabant wordt als eenheidsprijs voor bovengenoemde kostenelementen bij kleinschalige ingrepen €10,- per m² aangehouden.

Mede aan de hand hiervan is de hoogte van de compensatie bepaald. Verder is een aantal zaken van toepassing, waar ook invulling aan wordt gegeven. Zie ook bijlage 3 bij deze toelichting.

Relevantie voor het plan

Het aspect natuur staat de aanpassingen aan de N324 niet in de weg.

Aan de hand van 'nader' onderzoek zal blijken of een ontheffing noodzakelijk is, waarna de aanvraag tot ontheffing kan worden ingediend bij Rijksdienst voor Ondernemend Nederland (RVO). Aan de hand hiervan kan worden aangegeven dat zicht is op ontheffing.

Omdat het ruimtebeslag van het NNN anders wordt, wordt een procedure tot herbegrenzing van het NNN doorlopen. Deze procedure loopt gelijk op met het bestemmingsplan. Bevoegd gezag zijn Gedeputeerde Staten. Naast zienswijzen op dit ontwerpbestemmingsplan kunnen tegelijk ook zienswijzen worden ingediend tegen het voornemen tot herbegrenzing.

4.4 Waterparagraaf

In Bijlage 7 is het achtergrondrapport met betrekking tot water opgenomen. In de subparagrafen hierna wordt de essentie van dit onderzoek weergegeven. Eerst wordt ingegaan op het wettelijk kader van het onderzoek en de regelgeving. Vervolgens komen het onderzoek en de resultaten hiervan aan de orde. Tenslotte wordt aangegeven wat de consequenties van het onderzoek voor voorliggend bestemmingsplan zijn en of er al dan niet specifieke regels zijn opgenomen naar aanleiding van het onderzoek.

4.4.1 Onderzoekskader

Europese Kaderrichtlijn Water
De Europese Kaderrichtlijn Water (KRW) stelt eisen aan de chemische kwaliteit van het grond- en oppervlaktewater en de ecologische kwaliteit van oppervlaktewater. In het gebied Oost Brabant is onder regie van Waterschap Aa en Maas bepaald wat de knelpunten en de KRW-doelen zijn. Vervolgens zijn de maatregelen bepaald om die kwaliteitsdoelen te bereiken. Van elke RWSR-gebied (Regionale WaterSysteem Rapportage) in het waterschap wordt een rapport gemaakt waarin de KRW-maatregelen vastgelegd zijn. Waterschap en gemeenten leggen de KRW-maatregelen in bestuurlijke besluiten vast. Na de besluitvorming zijn de maatregelen in 2009 opgenomen in de "deelstroomgebiedsbeheersplannen" voor de Maas en de Schelde. De KRW is al in 2005 geïmplementeerd in de Nederlandse wetgeving en al vanaf 2000 in Europa van kracht. Van belang is dat bij initiatieven tenminste voldaan wordt aan het stand-still principe. Dit houdt in dat een ingreep (uitvoering van het ruimtelijk plan) de toestand van het watersysteem niet mag verslechteren, tenzij beargumenteerd kan worden dat dit wegens 'een hoger doel' niet anders kan.


Nationaal Bestuursakkoord Water

In het kader van het Nationaal Bestuursakkoord Water dient in de toekomst de wateropgave (zowel in het stedelijk als ook in het landelijk gebied) te worden uitgewerkt. Hierbij zijn de genoemde werknormen, die afhankelijk zijn van het grondgebruik, maatgevend. Ten behoeve van deze wateropgave kan ruimte voor waterberging benodigd zijn binnen de bestemmingsplangrenzen. Op basis van de thans beschikbare informatie is echter hiervoor nog geen ruimtelijke reservering voorzien. In voorkomende gevallen zal de gemeente deze mogelijke functieveranderingen (bijvoorbeeld dubbelbestemming) door middel van een 'partiële herziening' of een 'afwijking' wijzigen. De watertoets zal dan worden doorlopen, het betreffende 'plangebied' zal worden besproken in het waterpanel en er zal een waterparagraaf worden opgesteld. Op deze wijze is het aspect water ook in de toekomst op een zorgvuldige wijze ingebed in het bestemmingsplan.

Indien sprake is van nieuw verhard oppervlak, wordt op basis van de werknormen in het 'NationaalBestuursakkoord Water' voor het stedelijk gebied T=100 geëist. Het is het meest voor de hand liggend (vaak eenvoudig mogelijk door toestaan van peilstijging tot aan het maaiveld) dat deze wordt meegenomen in de aan te leggen infiltratie/retentievoorziening. Het is alleen toegestaan om deze retentie te realiseren in groenstroken en op straat, als er geen afwenteling plaatsvindt op andere gebieden en geen wateroverlast optreedt in woningen en bedrijven.


Provinciaal Waterplan 'Water water werkt en leeft'

Het Provinciaal Waterplan 'Waar water werkt en leeft' beschrijft het provinciale waterbeleid voor de periode 2010 tot en met 2015. Het waterplan bestaat uit een strategisch deel en een operationeel deel. Het Provinciaal Waterplan vertaalt de beleidskaders op Europees en Rijksniveau naar het waterbeleid van de provincie. Op provinciaal niveau geven de Structuurvisie en Verordening Ruimte (2015) de kaders voor het ruimtelijke beleid, zoals bijvoorbeeld voor het Natuurnetwerk Nederland (voorheen ecologische hoofdstructuur) en de groenblauwe mantel.
Voor dit onderzoek gelden het huidige provinciaal Waterplan en provinciaal Milieuplan (2010 - 2015). Gedeputeerde Staten hebben besloten om de herziening van beide plannen samen te voegen en te komen tot een gezamenlijk plan, het 'Provinciaal Milieu- en Waterplan 2016 - 2021 sámen naar een duurzaam gezonde en veilige leefomgeving in Brabant' (PMWP).


Waterbeheersplan 2010 - 2015
Waterschap Aa en Maas is belast met zowel de kwantitatieve als kwalitatieve aspecten van het beheer en onderhoud van het oppervlaktewatersysteem binnen de grenzen van haar beheergebied. Dit geldt voor zowel watergangen in het landelijk als het stedelijk gebied.


Watertoets

Bij ruimtelijke ontwikkelingen, waaronder ver- en nieuwbouwplannen, hanteert het waterschap een aantal uitgangspunten ten aanzien van het duurzaam omgaan met water, die van belang zijn als vertrekpunt van het overleg tussen initiatiefnemer en waterbeheerder.

Hieronder is aangegeven hoe daar bij de N324 invulling aan wordt gegeven.


Wateroverlastvrij bestemmen

Bij de locatiekeuze voor nieuwe ruimtelijke ontwikkelingen dient rekening te worden gehouden met de norm uit het Nationaal Bestuursakkoord Water (NBW). De aanpassingen en optimalisaties aan de N324 hebben geen invloed op het beschermingsniveau tegen wateroverlast.


Gescheiden houden van vuil water en schoon hemelwater

Het streefbeeld is het afvoeren van het vuile water via de riolering en het binnen het plangebied verwerken van het schone hemelwater. Het wordt in algemene zin niet langer als gewenst beschouwd om dit via de riolering af te voeren.


Doorlopen van de afwegingsstappen: “hergebruik - infiltratie - buffering -afvoer”

In aansluiting op het landelijke beleid (NW4, WB21) hanteert het waterschap het beleid dat bij nieuwe plannen altijd onderzocht dient te worden hoe omgegaan kan worden met het schone hemelwater. Hierbij worden de afwegingsstappen “hergebruik - infiltratie - buffering - afvoer” doorlopen. Bij de aanpassingen aan de N324 wordt het water gebufferd waarna wordt gezorgd voor een gedoseerde afvoer.


Hydrologisch neutraal ontwikkelen

Nieuwe ontwikkelingen dienen te voldoen aan het principe van hydrologisch neutraal ontwikkelen, waarbij de hydrologische situatie minimaal gelijk moet blijven aan de uitgangssituatie. Of aan het beleid “hydrologisch neutraal ontwikkelen” wordt voldaan, wordt getoetst met de bijbehorende HNO-tool. Dit resulteert in voorwaarden voor de bergingscapaciteit van de waterlopen.


Water als kans

”Water” wordt volgens het waterschap door stedenbouwkundigen bij inrichtingsvraagstukken vaak benaderd als een probleem. De aanpassingen / optimalisaties aan de N324 bieden weinig tot geen aanknopingspunten op dit vlak, gezien de relatief zeer beperkte omvang van de wijzigingen.


Meervoudig ruimtegebruik

Door bij de inrichting van een plangebied ruimte voor twee of meer doeleinden te gebruiken, is de beschikbare ruimte optimaal te benutten. Op dit moment zijn er in het kader van de aanpassingen / optimalisatie van de N324 geen concrete voorbeelden van meervoudig ruimtegebruik met water.


Voorkomen van vervuiling

Bij de inrichting, het bouwen en het beheer van gebieden wordt het milieu belast. Vanuit zijn wettelijke taak ten aanzien van het waterkwaliteitsbeheer streeft het waterschap ernaar om nieuwe bronnen van verontreiniging zoveel mogelijk te voorkomen. Door het water dat van de N324 afstroomt te zuiveren, wordt milieubelasting beperkt.


Waterschapsbelangen

Er zijn ‘waterschapsbelangen’ met een ruimtelijke component. Indien deze belangen een rol spelen moeten deze in de toelichting, de regels en de verbeelding aandacht krijgen. In het bestemmingsplan krijgen waterpartijen, watergangen en bergende voorzieningen de (mede)bestemming water. Ook dient een aanduiding opgenomen te worden dat de onderhoudszones de (mede)bestemming onderhoud krijgen.


Keur

Voor waterhuishoudkundige ingrepen is de ‘Keur’ van waterschap Aa en Maas van toepassing. De keur is een waterschapsverordening die gebods- en verbodsbepalingen bevat voor ingrepen die consequenties hebben voor de waterhuishouding en het waterbeheer. Zo is het onder andere verboden om handelingen te verrichten waardoor het onderhoud, de aanvoer, afvoer en/of berging van water kan worden belemmerd, en zijn handelingen binnen 5 meter uit de insteek van leggerwateren alleen toegestaan na een ontheffing van het waterschap. Ook met betrekking tot het dempen van oppervlaktewater dat binnen het peilbesluit valt zijn in de Keur regels opgenomen.


Rekenregels ten behoeve van de waterbergingsopgave en landbouwkundige afvoer zijn toegelicht in het 'Hydrologisch achtergronddocument versnelde afvoer' van de Keur. Samengevat betekent dit voor het plan dat een waterbergingsopgave van 60 mm een landbouwkundige afvoer van 2 l/s/ha. Ten behoeve van stuwconstructies is de minimale maat 4 cm. In het vergunningentraject zal waar nodig rekening worden gehouden met dit achtergronddocument.

Onderzoeksresultaat 

Het nieuwe wegontwerp voor de verbinding N324 Oss-Grave (het hele trace, ook het gedeelte Landerd) zorgt voor een toename van het verhard oppervlak van 8.350 m2. Volgens de keur van Waterschap Aa en Maas moet bij een toename van verhard oppervlak tussen de 2.000 m2 en 10.0000 m2 compenserende maatregelen worden getroffen om versnelde afvoer van hemelwater tegen te gaan. In Bijlage 7 zijn per wegvak de compenserende maatregelen aangegeven. Tevens is beschreven welke watergangen moeten worden verplaatst, waarvan de waterberging volledig moet worden gecompenseerd in een nieuw te graven watergang.

Bij de dimensionering van de nieuwe watergangen is uitgegaan van minimaal 20 cm waakhoogte, zodat ook bij extreme neerslagomstandigheden de neerslag kan worden geborgen.

Bij de dimensionering van nieuwe watergangen (ten behoeve van compenseren toename verhard oppervlak) is rekening gehouden met een bodemhoogte van minimaal 15 cm boven de GHG. Op deze manier kan water infiltreren naar het grondwater.

Bij wegvak 7 en 15 bevinden de nieuwe watergangen zich dichtbij bebouwd gebied. In overleg met het waterschap zou het water kunnen worden afgekoppeld, zodat bij extreme neerslagomstandigheden geen wateroverlast ontstaat. Omdat het om bestaande watergangen gaat en relatief kleine bergingsvolumes, wordt de kans op wateroverlast minimaal geacht en is afkoppeling hoogstwaarschijnlijk niet nodig.


Er hoeven geen aanpassingen te worden verricht aan duikers die watergangen aan beide zijden van het wegtracé met elkaar verbinden.

Relevantie voor het plan

Alle compenserende maatregelen zijn meegenomen in het ruimtebeslag van dit bestemmingsplan en hebben de bestemming Verkeer gekregen.

4.5 Milieuparagraaf

4.5.1 Lucht

Onderzoekskader

Afhankelijk van de concentraties luchtverontreinigende stoffen waaraan een persoon blootgesteld wordt, kunnen er acute en chronische gezondheidseffecten optreden. Acute gezondheidsproblemen, zoals keel- en neusirritatie en astmatische klachten, treden met name op bij sterk verhoogde concentraties van luchtverontreiniging. Chronische effecten treden op na langere tijd van blootstelling aan te hoge concentraties luchtverontreinigende stoffen. Om de gezondheidseffecten zoveel mogelijk te beperken zijn er in de Wet milieubeheer voor een aantal luchtverontreinigende stoffen normen gesteld. Op 15 november 2007 is de Wet milieubeheer (luchtkwaliteitseisen) in werking getreden (Deze wet implementeert de EU-kaderrichtlijn luchtkwaliteit en de daarbij behorende 1e en 2e EU-dochterrichtlijn3 in de Nederlandse wetgeving). Bijlage 2 bij de Wet milieubeheer, behorende bij Titel 5.2 Luchtkwaliteitseisen van de Wet milieubeheer, geeft grenswaarden voor de luchtverontreinigende stoffen stikstofdioxide (NO2), zwevende deeltjes (PM2,5 en PM10 of “fijn stof”), zwaveldioxide (SO2), lood (Pb), benzeen (C6H6) en koolmonoxide (CO).

De luchtverontreiniging is in het algemeen het hoogste in de buurt van een bron (boerderij, bedrijf, verkeer) en neemt af naarmate men verder van de bron komt. Verder van de bron neemt de invloed af en bepaalt de achtergrondconcentratie in grote(re) mate de luchtkwaliteit. Op plaatsen nabij bronnen, bijvoorbeeld op of direct (binnen 25 meter) langs de weg, is de grootste kans op blootstelling aan te hoge concentraties luchtverontreiniging. Locaties nabij de bronnen zijn dus maatgevend voor de toetsing van de luchtkwaliteit.

Onderzoeksresultaat 

Het initiatief tot aanpassen en opwaarderen van de N324 heeft geen verkeersaantrekkende werking. De opwaardering en aanpassingen aan de N324 leiden per saldo zelfs tot een geringe afname van de verkeersbewegingen op de N324. Motorvoertuigen gaan door de aanpassingen aan de N324 meer over de snelweg A50 rijden. Aan de hand hiervan kan worden geconcludeerd dat de luchtkwaliteit niet zal verslechteren ten gevolge van de aanpassingen en optimalisaties.

Relevantie voor het plan

Het aspect luchtkwaliteit, staat gezien het feit dat de N324 niet leidt tot een toename van het aantal verkeersbewegingen en zelfs tot een afname van het aantal verkeersbewegingen op de N324 het plan tot optimaliseren van de N324 niet in de weg.

4.5.2 Geluid

Onderzoekskader

De geluidswetgeving vanwege wegverkeerslawaai is uitgewerkt in de Wet geluidhinder (Wgh) en het Besluit geluidhinder. De geluidwetgeving is van toepassing op de aanleg van een nieuwe weg, de wijziging van een bestaande weg of de realisatie van nieuwe geluidsgevoelige bestemmingen in de zone van een weg. Het onderzoek dat wordt uitgevoerd heeft betrekking op de situatie 'wijziging van een bestaande weg' en 'aanleg van een nieuwe weg'.

Tijdens de fase van het voorontwerpbestemmingsplan wordt een geluidonderzoek zoals hieronder beschreven uitgevoerd. De resultaten zullen worden opgenomen in het ontwerpbestemmingsplan.


Correctie ex artikel 110g Wgh

Het beleid van de Nederlandse overheid en de Europese Unie is erop gericht om de geluidsemissie van het verkeer te verminderen. Dit wordt bereikt door steeds strengere eisen te stellen aan de geluidsemissies van voertuigen en banden en door onderzoek naar stillere wegdekverhardingen te stimuleren. In de Wet geluidhinder is in artikel 110g de mogelijkheid geboden om hierop te anticiperen in het geluidsonderzoek, aangezien in het geluidsonderzoek de toekomstige geluidsbelastingen maatgevend zijn. In artikel 110g van de Wgh is bepaald dat op het reken- of meetresultaat een aftrek wordt toegepast in verband met het stiller worden van het autoverkeer. De hoogte van deze aftrek is geregeld in artikel 3.4 van het Reken- en meetvoorschrift geluid 2012 (RMG 2012).
Hierdoor bedraagt tot 1 juli 2018 de aftrek voor wegen met een representatief te achten snelheid voor lichte motorvoertuigen van 70 km/h of meer:

  • 3 dB indien de geluidsbelasting vanwege de weg zonder toepassing van artikel 110g Wgh 56 dB is;
  • 4 dB indien de geluidsbelasting vanwege de weg zonder toepassing van artikel 110g Wgh 57 dB is;
  • 2 dB voor alle andere geluidsbelastingen;
  • 2 dB bij het bepalen van een verschil in geluidsbelasting, tenzij een hogere waarde is vastgesteld waarbij de hierboven genoemde aftrek van 3 of 4 dB is gehanteerd, dan geldt dezelfde aftrek.

Met ingang van 1 juli 2018 vervalt de verruiming van de aftrek en is de aftrek voor wegen waarvoor de representatief te achten snelheid van lichte motorvoertuigen 70 km/h of meer bedraagt altijd 2 dB. Voor wegen waarvoor de representatief te achten snelheid van lichte motorvoertuigen minder bedraagt dan 70 km/h, is de aftrek 5 dB. Bij het bepalen van de geluidswering van de gevels is de aftrek 0 dB.


Grenswaarden bij wijziging van een bestaande weg

Voor alle geluidsgevoelige bestemmingen binnen de geluidszone van een te wijzigen weg moet bij een wijziging van de weg onderzocht worden of er sprake is van reconstructie zoals dat is gedefinieerd in de Wgh. Er is sprake van een reconstructie indien de geluidsbelasting vanwege de weg in het toekomstige maatgevende jaar zonder maatregelen, met 2 dB of meer wordt verhoogd ten opzichte van de hoogst toelaatbare geluidsbelasting. Het toekomstig maatgevende jaar is meestal het tiende jaar na de wijziging.

De hoogst toelaatbare geluidsbelasting is bepaald in artikel 100 van de Wet geluidhinder en artikel 3.3 van het Besluit geluidhinder. In deze artikelen wordt onderscheid gemaakt tussen bestemmingen waarvoor reeds een hogere waarde is vastgesteld en bestemmingen waarvoor geen hogere waarde is vastgesteld. Daarnaast is voor het bepalen van de hoogst toelaatbare geluidsbelasting van belang of de weg en/of de geluidsgevoelige bestemming aanwezig of geprojecteerd waren op 1 januari 2007.

De hoogst toelaatbare geluidsbelasting is 48 dB, tenzij er een hogere waarde is vastgesteld of de weg reeds aanwezig of geprojecteerd was op 1 januari 2007.

Indien reeds een hogere waarde is vastgesteld en de heersende waarde is hoger dan 48 dB, geldt als de hoogst toelaatbare geluidsbelasting de laagste waarde van:

  • de heersende waarde (1 jaar voor de wijziging aan de weg);
  • de eerder vastgestelde waarde.

Indien geen hogere waarde is vastgesteld en de weg reeds aanwezig of geprojecteerd was op 1 januari 2007 en de heersende waarde hoger is dan 48 dB, dan is de heersende geluidsbelasting de hoogst toelaatbare geluidsbelasting voor geluidsgevoelige bestemmingen die op 1 januari 2007 aanwezig of geprojecteerd waren.

Het doel van het akoestisch onderzoek dat als bijlage 9 is toegevoegd aan deze toelichting, is het toetsen of ten gevolge van de fysiek te wijzigen wegvakken (N324 en aan te passen aansluitende wegvakken) sprake is van een reconstructie in de zin van de Wet geluidhinder. Indien sprake is van een reconstructie moeten maatregelen onderzocht worden. Het doel daarbij is om de toekomstige geluidsbelasting zo veel mogelijk terug te brengen tot de hoogst toelaatbare waarde. Indien maatregelen niet voldoende zijn of op bezwaren stuiten van stedenbouwkundige, verkeerskundige, landschappelijke of financiële aard, dan kan een hogere waarde worden vastgesteld. De toename van de geluidsbelasting mag niet meer dan 5 dB bedragen, tenzij de geluidsbelasting van een gelijk aantal woningen elders, met een tenminste gelijke waarde vermindert.

Voor de te wijzigen bestaande wegen is het verschil in de geluidsbelasting berekend tussen de heersende waarde 2017 (één jaar voor de fysieke wijziging) en 2030 (tien jaar na fysieke wijziging). Er is sprake van een reconstructie in de zin van de Wet geluidhinder indien de geluidsbelasting afgerond toeneemt met 2 dB of meer.

Uit het onderzoek blijkt dat vanwege de herinrichting van de N324 er ter hoogte van de kruisingen met de Palmstraat (Schaijk) en de Tolschestraat (Velp) sprake is van een reconstructie in de zin van de Wet geluidhinder (toename van 2 of meer dB). Bij deze kruisingen, die buiten het plangebied van dit bestemmingsplan vallen, zijn tevens twee saneringswoningen gesitueerd waarvoor tevens sprake is van een reconstructiesituatie (toename van 2 dB of meer). De woning aan de Palmstraat en de woningen bij de Tolschestraat zijn geen onderdeel van dit bestemmingsplan en worden in de geluidparagrafen van de betreffende bestemmingsplannen (bestemmingsplan herinrichting N324 - Rotonde Palmstraat (gemeente Landerd) en bestemmingsplan herinrichting N324 - rotonde Tolschestraat en verplaatsing tango (gemeente Grave) opgenomen.

Relevantie voor het plan

Voor het vaststellen van dit bestemmingsplan is het niet nodig maatregelen te treffen vanwege geluid of het vaststellen van een hogere grenswaarde. Het aspect geluid staat het doorvoeren van de optimalisaties aan de N324, die mogelijk worden gemaakt middels dit bestemmingsplan, niet in de weg.

4.5.3 Externe veiligheid

In de subparagrafen hierna wordt ingegaan op het onderzoekskader wat betreft externe veiligheid en het aspect externe veiligheid in relatie tot de voorgenomen ontwikkeling. Tenslotte wordt aangegeven wat de consequenties van het onderzoek voor voorliggend bestemmingsplan zijn en of er al dan niet specifieke regels zijn opgenomen naar aanleiding van het onderzoek.


Onderzoekskader

Bij externe veiligheid wordt onderscheid gemaakt in de richtlijnen voor stationaire bronnen en transportassen. De richtlijnen voor de analyse van de externe veiligheidsrisico's voor aanpassing van transportroutes zijn vastgelegd in de Wet vervoer gevaarlijke stoffen. In de wet wordt verwezen naar het Besluit externe veiligheid transportroutes waarin norm- en richtwaarden weergegeven zijn voor twee verschillende typen risico's, het plaatsgebonden risico en het groepsrisico.


Plaatsgebonden risico

Het plaatsgebonden risico (PR) is de frequentie per jaar dat een persoon die permanent en onbeschermd zou verblijven in de directe omgeving van een transportroute overlijdt als gevolg van een ongeval met gevaarlijke stoffen op die route. De omvang van het PR is geheel afhankelijk van de aard en omvang van het transport van gevaarlijke stoffen en de ongevalsfrequentie van het transportmiddel op de route. Voor een individu geeft het PR een kwantitatieve indicatie van het risico dat hij loopt wanneer hij zich onbeschermd in de omgeving van een inrichting of transportroute bevindt.


Groepsrisico

Het groepsrisico (GR) is de cumulatieve frequentie per jaar per kilometer transportroute dat tien of meer personen in het invloedsgebied van een transportroute overlijden als rechtstreeks gevolg van een ongewoon voorval op die transportroute waarbij een gevaarlijke stof vrijkomt. Het GR is een indicatie van de mogelijke maatschappelijke impact van een ongeval. Het is dus niet bedoeld als indicatie voor individueel gevaar op een bepaalde locatie. De omvang van het GR is afhankelijk van de aard en omvang van het transport van gevaarlijke stoffen, de ongevalsfrequentie van het transportmiddel op de route én de omvang en locatie van de bevolking naast en boven de route.

Voor het groepsrisico geldt geen grens- of richtwaarde, maar een oriëntatiewaarde. Deze oriëntatiewaarde wordt gevormd door de rechte lijn die in een fN-curve van het punt 10 doden, frequentie 10-4 per jaar per kilometer door het punt 100 doden, frequentie 10-6 per jaar per kilometer gaat.

Bij de vaststelling van een bestemmingsplan (als bedoeld in artikel 8, eerste lid, van het Bevt) dat betrekking heeft op gronden in de omgeving van een basisnetroute, vindt de berekening van het groepsrisico plaats door toepassing van de rekenmethodiek transportrisico's.


Verantwoording groepsrisico

Het groepsrisico dient verantwoord te worden indien het groepsrisico:

  • is gelegen tussen 0,1 en één maal de oriëntatiewaarde en tussen de autonome en toekomstige situatie met meer dan tien procent toeneemt, of
  • hoger is dan één maal de oriëntatie waarde én tussen de autonome en toekomstige situatie toeneemt.

In de GR verantwoording wordt ingegaan op de maatregelen die genomen (kunnen) worden om het risico te verlagen, de expliciete en transparante bestuurlijke afweging van de maatschappelijke aanvaardbaarheid van de restrisico's, de zelfredzaamheid van aanwezigen en de rampenbestrijding. In de Handreiking verantwoordingsplicht groepsrisico zijn nadere handvatten gegeven voor de GR verantwoording. Als onderdeel van de GR verantwoording moet verplicht gebruik gemaakt worden van de adviesbevoegdheid van de veiligheidsregio.


Onderzoeksresultaat

Door de aanpassingen aan de N324 is er zelfs sprake van een afname van het aantal verkeersbewegingen. Het groepsrisico neemt hierdoor niet toe.

Het is niet noodzakelijk om onderzoek te doen naar het plaatsgebonden risico vanwege de aanpassingen van de N324. Het initiatief leidt immers niet tot een toename van het aantal verkeersbewegingen. Het initiatief heeft geen verkeersaantrekkende werking, waardoor plaatsgebonden en groepsrisico niet wijzigen ten opzichte van de huidige situatie.

Relevantie voor het plan

Er zijn bij dit aspect geen consequenties voor het bestemmingsplan. Het aspect externe veiligheid staat de realisatie van voorliggend plan niet in de weg.

4.5.4 Milieuzonering

In de huidige situatie ondervinden de bedrijven in de directe omgeving van het plangebied en de bestaande weg over en weer geen hinder van elkaar in milieukundig opzicht. Er is geen sprake van contouren of belemmeringen die verwoord dienen te worden in voorliggend bestemmingsplan vanwege de bedrijvigheid in de directe omgeving van de N324.


Het initiatief tot aanpassen van de N324 kan wat betreft dit thema gewoon doorgang vinden.

4.5.5 Bodem

In de paragrafen hierna wordt ingegaan op het onderzoekskader, onderzoeksresultaat en de relevantie hiervan voor het plan, wat betreft het aspect bodem. Door Envita is een vooronderzoek uitgevoerd: Vooronderzoek NEN 5725 Provinciale weg N324, traject Oss-Grave (d.d. 10 maart 2016). Dit vooronderzoek is als bijlage 1 bij deze toelichting gevoegd. Hier zijn het onderzoek en de resultaten uitvoerig in omschreven.

Onderzoekskader

Ten aanzien van de bodemkwaliteit geldt de Wet bodembescherming (Wbb) en het (bijbehorende) Besluit bodemkwaliteit. Gestreefd wordt naar een duurzaam gebruik van de bodem. Bij een ruimtelijk plan moet de bodemkwaliteit van het betreffende gebied inzichtelijk worden gemaakt. Hierbij is van belang te weten of er bodemverontreiniging is die de functiedoelen kan frustreren, of er gezondheidsrisico's of ecologische risico's zijn en wat de mogelijkheden zijn om er tijdig iets aan te doen. Hiervoor is wettelijk verplichte informatie over de bodemkwaliteit nodig. Het uitgangspunt wat betreft de bodem in het plangebied is, dat de kwaliteit ervan zodanig dient te zijn dat er geen risico's zijn voor de volksgezondheid bij het gebruik van het plangebied voor de voorgenomen functie(s).

Onderzoeksresultaat  

Op basis van de (topografische) historische kaarten blijkt dat het grootste deel van de weg al in 1815 aanwezig was. Dit met uitzondering van het meest oostelijke deel van de weg (ter hoogte van Grave). Dit gedeelte is aangelegd in 1927/1928 en liep dwars door de vestingwerken en het grachtenstelsel heen. Ten behoeve van de aanleg van de weg zijn de grachten destijds (plaatselijk) gedempt. Het traject waar de dempingen hebben plaatsgevonden bevindt zich globaal tussen de Industriestraat en de St. Elisabethstraat, buiten het plangebied van dit bestemmingsplan.

Op basis van de resultaten uit de beschikbare onderzoeksrapporten zijn een aantal verdachte locaties naar voren gekomen, waarbij met de uitvoering van het onderzoek specifiek aandacht dient te worden besteed. Voor een uitgebreide omschrijving van de onderzoeksresultaten van deze locaties wordt verwezen naar het bodemonderzoek zelf, dat als bijlage bij deze toelichting is gevoegd.

Voor dit bestemmingsplan gaat het om 3 locaties waarvoor nog nader onderzoek wordt gedaan. Dit nadere onderzoek vindt momenteel plaats.

Relevantie voor het plan

Het aspect bodem staat de aanpassingen aan de N324 niet in de weg, wanneer de benodigde nadere onderzoeken conform protocol worden uitgevoerd.

4.6 Cultuurhistorie

Cultuurhistorie

De N324 is een van oorsprong Napoleontische straatweg die gekenmerkt wordt door sterke monumentaliteit. deze monumentaliteit vindt zijn oorsprong in de beeldbepalende, dubbele laanstructuur van eiken met een soorsnede tot 80 cm die tot aan het Schootsveld van Grave doorloopt. De cultuurhistorische waardenkaart kent een hoge waardering toe aan de weg:

afbeelding "i_NL.IMRO.1685.bpbgbN324-OW01_0024.png" afbeelding "i_NL.IMRO.1685.bpbgbN324-OW01_0025.png"

Afbeelding 19: uitsnede Cultuurhistorische Waardenkaart Brabant

Het uitgangspunt van de groenvisie zoals opgenomen in Bijlage 8 is dit historisch en monumentaal karakter te versterken. In deze Groenvisie wordt in deelgebieden aangegeven hoe cultuurhistorie behouden en versterkt wordt bij de herinrichting van de weg. In het Ontwerp, dat de basis vormt voor dit bestemmingsplan is zoveel mogelijk rekening gehouden met deze visie.

4.7 Explosieven

AVG heeft een vooronderzoek CE (Conventionele Explosieven) uitgevoerd voor het onderzoeksgebied 'N324 Oss-Grave'. In Bijlage 5 is dit onderzoek opgenomen. Er is op basis van de beoordeelde feiten van het vooronderzoek geconcludeerd dat er voldoende indicaties zijn voor de mogelijke aanwezigheid van CE in het onderzoeksgebied.

De volgende gevechtshandelingen of CE gerelateerde handelingen hebben in het onderzoeksgebied plaatsgevonden (betreft het gehele traject):

  • Grondgevechten en artilleriebeschietingen in 1944
  • Defensieve maatregelen (o.a. stellingen en wapenopstellingen)
  • De aanwezigheid van militaire kampementen
  • Het neerkomen van afwerpmunitie, alsmede vliegtuigbeschietingen

De volgende CE zijn mogelijk in het onderzoeksgebied aanwezig:

Locaties grondgevechten en artilleriebeschietingen:

  • Hand- en geweergranaten, steelhandgranaten
  • Klein kaliber munitie
  • Geschutmunitie vanaf het kaliber 2 cm tot en met 15 cm
  • Raketten en granaatwerpers

Locatie neergekomen afwerpmunitie:

  • Afwerpmunitie 260 lb., 500 lb., 1000 lb.
  • Afwerpmunitie 500 kilo

Het onderzoeksgebied is gedeeltelijk verdacht op CE. Het verdachte gebied is horizontaal afgebakend op de CE-bodembelastingkaart (zie het rapport).

De verticale afbakening van het CE verdachte gebied wordt als volgt gedefinieerd:

Geschutmunitie / CE afkomstig van grondgevechten:

  • Maximale indringingsdiepte: 3,5 meter minus het maaiveld uit de Tweede Wereldoorlog4
  • Minimale indringingsdiepte: het maaiveld uit de Tweede Wereldoorlog

Stellingen, wapenopstellingen, kampementen, Generaal De Bonskazerne, kazemat zuid Grave:

  • Maximale diepteligging: tot maximaal 2 meter minus het maaiveld uit de Tweede Wereldoorlog
  • Minimale diepteligging: het maaiveld uit de Tweede Wereldoorlog

De bij de brug over de Maas te Grave aanwezige stellingen werden op 17 september 1944 met vliegtuig-boordwapenmunitie onder vuur genomen. Hier kunnen derhalve ook 20 mm granaten tot maximaal 0,5 meter minus het maaiveld uit de Tweede Wereldoorlog worden aangetroffen. Minimale diepteligging: het maaiveld uit de Tweede Wereldoorlog

Afwerpmunitie:

  • Maximale indringingsdiepte: tot een maximale conusweerstand van 10 MPa met een minimale laagdikte van 1 meter
  • Minimale indringingsdiepte: het maaiveld uit de Tweede Wereldoorlog

Naar aanleiding van bovenstaande bevindingen zal vervolgonderzoek plaatsvinden en zullen maatregelen worden bepaald. Eventuele maatregelen worden in het kader van de uitvoering / realisatie getroffen en zijn niet relevant in het kader van dit bestemmingsplan.

Hoofdstuk 5 Juridische planopzet

5.1 Inleiding

Dit hoofdstuk behandelt de juridische planopzet van dit bestemmingsplan. Na een korte inleiding is in de volgende paragraaf de opzet van regels en verbeelding toegelicht. Paragraaf 5.3 bevat een korte toelichting per bestemming / regels.

Het bestemmingsplan vindt zijn grondslag in de Wet ruimtelijke ordening. In artikel 3.1 van deze wet is bepaald dat de gemeenteraad het bestemmingsplan vaststelt. De uitvoering is een taak van burgemeester en wethouders.

Ingevolge het Besluit ruimtelijke ordening bestaat een bestemmingsplan uit (plan)regels en de verbeelding. Deze twee onderdelen dienen in onderlinge samenhang te worden beschouwd.

Het bestemmingsplan gaat vergezeld van een toelichting waarin de achtergronden en motivatie uiteen worden gezet.

Het bestemmingsplan is een gemeentelijk instrument waarin regels zijn opgenomen voor het gebruik (in de ruime zin van het woord) van gronden en bouwwerken. Zowel de burger als de overheid moet zich houden aan het bestemmingsplan. Door middel van een bestemmingsplan kan een gemeente haar doelstellingen op ruimtelijk ordeningsgebied handen en voeten geven. Dit geschiedt door het leggen van bestemmingen en daarbij aan te geven wat wel en niet is toegestaan.


Voorliggend bestemmingsplan is ontwikkelingsgericht: het maakt de herinrichting van de N234 en de hiermee samenhangende aanpassingen aan het bestaande wegennet mogelijk.

5.2 Opzet regels en verbeelding

Op de verbeelding (schaal 1:1.000) zijn bestemmingen toegekend om zo de aanpassingen aan de N324 en de aansluitende wegen mogelijk te maken. De bestemmingen zijn voorzien van bouwregels. Naast de hoofdbestemming zijn er dubbelbestemmingen en gebiedsaanduidingen opgenomen om specifieke regelgeving of nadere afwegingen op te nemen. Dit is met name aan de orde voor de regels en mogelijkheden, als gevolg van de aanwezigheid en de bescherming van bijvoorbeeld archeologische waarden in het plangebied.

5.3 De bestemmingen

Per artikel is hier een korte toelichting / onderbouwing opgenomen over de essentie van het artikel.

Hoofdstuk 1 Inleidende regels

Artikel 1 Begrippen

In dit artikel zijn de begrippen gedefinieerd, die in de regels worden gehanteerd voor zover deze begrippen van het 'normale' spraakgebruik afwijken of een specifiek juridische betekenis hebben. Bij de toetsing aan het bestemmingsplan zal moeten worden uitgegaan van de in dit artikel aan de betreffende begrippen toegekende betekenis.


Artikel 2 Wijze van meten

Het onderhavige artikel geeft aan hoe hoogte- en andere maten die bij het bouwen in acht genomen dienen te worden, gemeten moeten worden.


Hoofdstuk 2 Bestemmingsregels

Artikelen 3 t/m 6: diverse bestemmingen ten behoeve van de aanpassingen aan de N324 en benodigde aanpassingen aan het aansluitende wegennet.
In deze artikelen zijn de gronden bestemd omwille van de door te voeren aanpassingen aan de bestaande wegen. De bestemmingen sluiten zoveel mogelijk aan op de bestemmingen die nu ter plaatse gelden, volgens de geldende bestemmingsplannen. Daar waar nodig zijn bestemmingen specifiek gemaakt, om zo ongewenste ontwikkelingen tegen te gaan en/of specifiek voor de (gewenste) situatie ter plaatse. Ook zijn bestemmingen aangevuld of specifiek gemaakt omwille van de voorgestane ontwikkelingen. Ter toelichting op diverse bestemmingsartikelen wordt voorts het volgende opgemerkt.


Artikel 3 Verkeer

In het plan is voor het verkeer de bestemming Verkeer opgenomen. Binnen de bestemming Verkeer zijn wegen met bijbehorende voorzieningen toegestaan. Voor alle snippers met de bestemming Verkeer is tevens de aanduiding "specifieke vorm van verkeer - gebiedsontsluitingsweg" opgenomen om aan te sluiten om het aanliggende bestemmingsplan Buitengebied.


Artikelen 4, 5 en 6 Waarde - Archeologie 2, 3 en 4

Bouwen op gronden voorzien van de dubbelbestemming Waarde - Archeologie is uitsluitend toegestaan indien uit archeologisch onderzoek blijkt dat de archeologische waarden voldoende zijn vastgesteld. Met categorieën (dubbelbestemmingen) is aangegeven welke waarden aanwezig zijn. De categorieen hebben betrekking op de oppervlakte van bouwwerken, werkzaamheden en werken (cat. 2: meer dan 100m2, cat. 3 meer dan 250m2 en cat. 4 meer dan 2500m2). Bij het toekennen van de dubbelbestemmingen Waarde - Archeologie is aangesloten bij het geldende bestemmingsplan buitengebied en het beleid hierover van de gemeente Landerd.


Hoofdstuk 3 Algemene regels


Artikel 7 Antidubbeltelregeling

Dit artikel bevat een algemene regeling waarmee kan worden voorkomen dat er in feite meer wordt gebouwd dan het bestemmingsplan beoogt, bijvoorbeeld ingeval (onderdelen van) bouwvlakken van eigenaars verschillen.

Artikel 8 Algemene afwijkingsregels

In het bestemmingsplan is een aantal algemen afwijkingsregels (onder voorwaarden) opgenomen zoals voor het overschrijden van bestemmingsgrenzen, het afwijken van maatvoeringen, het bouwen van voorzieningen ten dienste van het openbare telecommunicatieverkeer en het vergroten van de bouwhoogte van bouwwerken, geen gebouwen zijnde.


Artikel 9 Algemene bouwregels

In de algemene bouwregels is een regeling opgenomen voor bouwwerken welke al bestaan op het tijdstip van het ter inzage leggen van het ontwerpbestemmingsplan.


Hoofdstuk 4 Overgangs en slotregels


Artikel 10 Overgangsrecht

Overgangsrecht bouwwerken

Het overgangsrecht ten aanzien van bouwen is neergelegd in artikel 10 lid 1. Uitbreiding van de bebouwing die onder het overgangsrecht valt is slechts mogelijk met ontheffing van burgemeester en wethouders.


Overgangsrecht gebruik

Lid 10.2 betreft de overgangsbepaling met betrekking tot gebruik van onbebouwde gronden en bouwwerken voor zover dat gebruik afwijkt van het bestemmingsplan op het moment dat dit rechtskracht verkrijgt.


Artikel 11 Slotregel

Dit artikel geeft aan onder welke naam dit plan kan worden aangehaald.

Hoofdstuk 6 Uitvoerbaarheid

6.1 Inleiding

In dit hoofdstuk komen zowel de economische als de maatschappelijke uitvoerbaarheid van het initiatief aan de orde. Zowel de formele procedure als het proces dat is doorlopen met de omgeving en andere betrokkenen wordt omschreven onder maatschappelijke uitvoerbaarheid.

6.2 Economische uitvoerbaarheid

In deze paragraaf wordt ingegaan op de financiële uitvoerbaarheid van het iniaitief tot aanpassen van de N324, zoals juridisch-planologisch mogelijk gemaakt in dit bestemmingsplan.

Ingevolge het bepaalde in artikel 3.1.6 van het Besluit ruimtelijke ordening gaat een bestemmingsplan vergezeld van een toelichting waarin ook inzicht wordt gegeven in de uitvoerbaarheid van het plan. Hierna wordt inzicht gegeven in de financiële uitvoerbaarheid van het plan.

De kosten voor het project bestaan uit onder meer kosten voor het aanpassen van de weg en bijbehorende voorzieningen, mitigerende en landschappelijke maatregelen, natuurcompensatie in financiële zin, planschade, kosten voor grondverwerving en planvorming.

6.3 Maatschappelijke uitvoerbaarheid

6.3.1 Proces

In het voorjaar van 2011 is de Planstudie N324 Oss-Grave opgeleverd. Opgave van deze planstudie was het Duurzaam Veilig inrichten van de provinciale weg N324 tussen knooppunt Paalgraven en de provinciegrens tussen Noord-Brabant en Gelderland. Het destijds opgeleverde plan is onder andere tot stand gekomen als gevolg van een intensief communicatietraject tussen de provincie Noord-Brabant en de gemeenten Landerd en Grave en in samenspraak met diverse klankbordgroepen.

Na 2011 is de provincie Noord-Brabant genoodzaakt tot het doorvoeren van diverse versoberingen in het kader van de noodzakelijke bezuinigingen voor wegenprojecten. Een van de projecten die als gevolg van de bezuinigingen is versoberd betreft de N324 Oss-Grave. In 2012 is de oorspronkelijke planstudie dan ook herijkt op basis van een
afwegingskader om knelpunten objectief te kunnen vaststellen. Deze herijking heeft
geleid tot aanpassingen (op hoofdlijnen) aan het oorspronkelijke plan, waarvan de resultaten in een Herziening Planstudie N324 Oss-Grave nader zijn uitgewerkt. Op 15 december 2014 is een informatieavond gehouden voor het gedeelte in de gemeente Landerd.

6.3.2 Inspraak

Onderhavig ontwerpbestemmingsplan zal van 30 juli 2016 tot en met 9 september 2016 ter inzage worden gelegd. Tijdens deze periode wordt een inloopavond georganiseerd. Een ieder kan een zienswijze indienen op het plan. Deze reacties worden vervolgens beoordeeld en indien gehonoreerd, aangepast in het vast te stellen bestemmingsplan.