direct naar inhoud van 2.2 Directe omgeving en plangebied
Plan: Burgerveld 17-39, Zeeland
Status: ontwerp
Plantype: bestemmingsplan
IMRO-idn: NL.IMRO.1685.bpze2012burgerveld-ON01

2.2 Directe omgeving en plangebied

De bestaande toestand van het plangebied en de directe omgeving is weergegeven op onderstaande afbeelding en foto's.

afbeelding "i_NL.IMRO.1685.bpze2012burgerveld-ON01_0005.jpg"

directe omgeving

Ontsluiting
Het plangebied grenst aan het Burgerveld. Dit is een woonstraat met een rustig karakter. Ten oosten van het Burgerveld ligt de Molenstraat, meer naar het oosten ligt de Kerkstraat (niet afgebeeld). Deze drie straten liggen evenwijdig aan elkaar. De drie straten zijn door middel van voetpaden met elkaar verbonden. Op enkele plaatsen liggen langs deze voetpaden parkeerplaatsen.
Ten westen van het plangebied sluiten enkele straten haaks op het Burgerveld aan.

Bebouwing en functies


afbeelding "i_NL.IMRO.1685.bpze2012burgerveld-ON01_0006.jpg"

plangebied gezien vanaf Burgerveld 16

afbeelding "i_NL.IMRO.1685.bpze2012burgerveld-ON01_0007.jpg"

plangebied gezien vanaf Burgerveld 28

De bebouwing in de directe omgeving bestaat uit twee-aaneenwoningen uit de zestiger jaren van de vorige eeuw. De woningen zijn gebouwd in twee bouwlagen en voorzien van zadeldaken. Het betreffen in het algemeen huurwoningen.
De woningen zijn georiënteerd op de straten waaraan zij liggen.

Binnen het plangebied stonden tot voor kort 12 woningen bestaande uit één bouwlaag met plat dak of één bouwlaag met zadeldak. Deze woningen zijn inmiddels gesloopt en het terrein ligt braak. Wel zijn er nog twee paden, haaks op het Burgerveld aanwezig.

In de directe omgeving is geen sprake van bedrijvigheid.

Beplanting
Het Burgerveld heeft een stenig karakter met weinig openbaar groen. Dit in tegenstelling tot de Molenstraat met zijn laanbeplanting aan weerszijden. Het groen in de straat Burgerveld wordt gevormd door de erfbeplanting in de voortuinen van de woonpercelen.
Binnen het plangebied is sprake van doorgeschoten erfbeplanting.

Het Burgerveld komt aan de zuidkant uit op het groene Van Kilsdonkplein (niet afgebeeld).

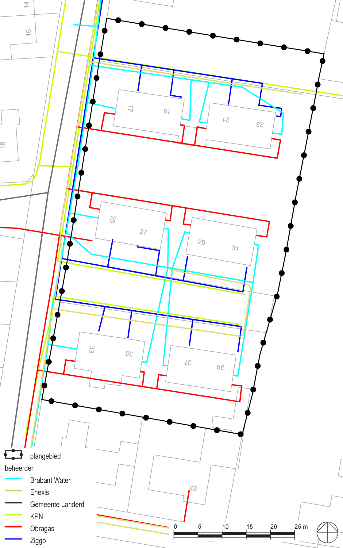
Kabels en leidingen
In januari 2009 is een Klic-melding uitgevoerd. De resultaten uit deze melding zijn op onderstaande afbeelding samengevat. Voor de exacte ligging van de kabels en leidingen wordt verwezen naar de leidinggegevens van de diverse leidingbeheerders. Een nieuwe Klic-melding wordt gedaan vlak voor de uitvoering van de werkzaamheden.

afbeelding "i_NL.IMRO.1685.bpze2012burgerveld-ON01_0008.jpg"

ligging kabels en leidingen