direct naar inhoud van Toelichting
Plan: Herziening beheersverordening Henslare 2 en Stationscomplex 2015
Status: vastgesteld
Plantype: beheersverordening
IMRO-idn: NL.IMRO.0273.WPBVStation-VA01

Toelichting

Hoofdstuk 1 Inleiding

De werkzaamheden voor de herinrichting van de stationsomgeving zijn in volle gang. De herinrichting van dit gebied moet een eerste impuls geven aan het verbeteren van de leefbaarheid van deze locatie en aan de verdere (toekomstige) ontwikkelingen van het gebied. Een van de onderdelen van de herinrichtingsplannen is de uitbreiding van het aantal fietsparkeerplaatsen bij het station. Voor de realisering van de eerste fase van de fietsenstallingen (712 overdekte fietsplaatsen) bij het station heeft het college van burgemeester en wethouders op 15 juni 2015 een omgevingsvergunning verleend, met toepassing van artikel 2 van bijlage II van het Besluit omgevingsrecht. Daarvan worden 520 stuks gerealiseerd op het parkeerterrein ten oosten van het stationsgebouw. En 192 stuks komen aan de andere zijde van het spoor te liggen. Er is nu een aanvraag ingediend voor de realisering van de tweede fase van de fietsenstallingen op deze parkeerplaats. De tweede fase voorziet in 240 extra fietsplaatsen op het parkeerterrein ten oosten van het stationsgebouw , waarmee het totale aantal overdekte fietsplaatsen op die locatie op 760 komt. De voorliggende "Herziening beheersverordening Henslare 2 en Stationscomplex 2015" is nodig om voor de tweede fase vergunning te kunnen verlenen.

Hoofdstuk 2 Toelichting op het herziening van de beheersverordening

2.1 Beheersverordening Henslare 2 en stationscomplex 2013

Ter plaatse van de aan de oostzijde van het stationsgebouw gelegen parkeerplaats is de op 4 juli 2013 door de gemeenteraad van Putten vastgestelde beheersverordening "Henslare 2 en stationsgebied 2013" van kracht. Door vaststelling van deze beheersverordening is voldaan aan de in de Wet ruimtelijke ordening voortvloeiende actualiseringsplicht van bestemmingsplannen. Het doel van deze beheersverordening is het vastleggen van de bestaande ruimtelijke structuur van een gebied in een juridisch planologisch kader. In de beheersverordening is voor het ten oosten van het stationsgebouw gelegen parkeerterrein het bestemmingsplan "Husselerveld" van toepassing verklaard.

2.2 Bestemmingsplan Husselerveld

Het parkeerterrein ten oosten van het stationsgebouw is bestemd voor "Parkeren" (Vp). Deze gronden zijn bestemd voor parkeerplaatsen. Op deze gronden zijn toegelaten:

  • bouwwerken, geen gebouwen zijnde;
  • werkzaamheden, waaronder verhardingen, ten behoeve van het parkeren van motorvoertuigen;
  • groenvoorzieningen.

De hoogte van overige bouwwerken, geen gebouwen zijnde mag niet meer dan 3 m bedragen.

Gelet op de specifieke bestemmingsomschrijving zijn fietsparkeervoorzieningen in de vorm van overdekte rijwielstallingen niet toegestaan.


afbeelding "i_NL.IMRO.0273.WPBVStation-VA01_0001.png"

Fragment verbeelding bestemmingsplan "Husselerveld".

2.3 Beleidskader

De uitbreiding van het aantal fietsparkeerplaatsen bij het station past binnen het relevante rijks- en provinciaal beleid. Gelet op de bestaande en toegelaten functies van het bestaande parkeerterrein zijn er geen specifieke provinciale- en rijksbelangen bij dit plan betrokken.

2.4 Natuur en landschap

Het toelaten van fietsparkeerplaatsen heeft geen significante gevolgen voor natuur en landschap. Als er al gevolgen zijn, zijn deze als positief te beschouwen.

2.5 Archeologie

Het huidige parkeerterrein ligt in een gebied dat volgens de gemeentelijke archeologische verwachtingskaart een lage archeologische verwachting heeft. Voor de bouw van de overdekte fietsenstallingen (een 'ander bouwwerk' zonder fundering) zal de grond niet worden geroerd. Vanuit het oogpunt van archeologie zijn er derhalve geen belemmering voor de voorgenomen ontwikkeling op dit parkeerterrein.

2.6 Milieu

Het toevoegen van de functie fietsparkeervoorzieningen heeft geen milieuhygiënische gevolgen.

2.7 Water

Het plan heeft geen nadelige gevolgen voor en door grondwater in de omgeving. Er vinden geen bodemingrepen plaats waardoor bodemlagen worden aangetast en waardoor het grondwatersysteem verandert. Naar aanleiding van dit plan zal evenmin extra oppervlaktewater gecreëerd worden. Ook heeft de onderhavige bestemmingsplanwijziging geen toevoeging van oppervlakteverhardingen tot gevolg. Conform het gemeentelijk beleid wordt het hemelwater ter plekke in de bodem geïnfiltreerd.

Vanuit het oogpunt van waterbeheer zijn er derhalve geen belemmering voor de voorgenomen ontwikkeling op dit parkeerterrein.

2.8 Externe veiligheid

In het onderhavige geval is geen sprake van het realiseren van een nieuw kwetsbaar of beperkt kwetsbaar object. De fietsenstallingen staan evenals het bestaande parkeerterrein ten dienste van de komende en gaande treinreizigers. Dit is geen verandering ten opzichte van de bestaande situatie.

Vanuit het oogpunt van externe veiligheid zijn er derhalve geen belemmering voor de voorgenomen ontwikkeling op dit parkeerterrein.

2.9 Planbeschrijving

De Wet ruimtelijke ordening schrijft in artikel 3.38 voor dat binnen het gebied van een beheersverordening geen nieuwe ruimtelijke ontwikkelingen mogen plaatsvinden. De toevoeging dat op de voor "Parkeren" bestemde gronden ook fietsparkeerplaatsen mogen komen, is niet te beschouwen als een nieuwe ruimtelijke ontwikkeling.


Rondom het station is er een ruimschoots voldoende aanbod aan parkeerplaatsen voor auto's. De autoparkeerplaatsen die komen te vervallen hoeven daarom op dit moment niet te worden gecompenseerd. Het fietsparkeren daarentegen is veel reizigers een doorn in het oog. In de huidige fietsenstallingen zijn veel te weinig plekken. Fietsen staan dan ook verspreid over de gehele stationsomgeving. De bouw van de fietsenstallingen maakt onderdeel uit van het project verbetering stationsomgeving. De verblijfskwaliteit op en rondom het stationsgebouw wordt een stuk verbeterd. De buitenruimte rondom het station krijgt een vriendelijker en veiliger uitstraling. Uit planologisch oogpunt is het aanvaardbaar om op de plek van de parkeerplaats aan de oostkant van het stationsgebouw fietsenstallingen te realiseren. Voor de realisering van de eerste fase van dit project is op 16 juni 2015 een omgevingsvergunning om af te wijken van het bestemmingsplan, bijlage II van het Besluit omgevingsrecht verleend.

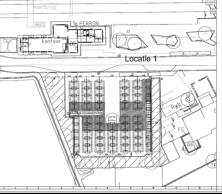
Op de hieronder weergegeven situatietekening staat door middel van een arcering aangegeven waarop de tweede fase betrekking heeft.


afbeelding "i_NL.IMRO.0273.WPBVStation-VA01_0002.png"

Situatietekening.

Om mogelijk te maken, dat op de voor "Parkeren" bestemde gronden ook fietsparkeerplaatsen, inclusief overdekte fietsenstallingen mogen worden gerealiseerd dient (via een herziening van de nu geldende beheersverordening) artikel 16 van voorschriften van het bestemmingsplan "Husselerveld" zodanig te worden aangevuld dat behalve parkeerplaatsen voor motorvoertuigen ook fietsparkeerplaatsen zijn toegestaan. De overdekte fietsenstallingen zijn te beschouwen als bouwwerken, geen gebouwen zijnde. Deze mogen niet hoger zijn dan 3 m.

2.10 Juridische toelichting

Via de nu geldende beheersverordening gelden voor het plangebied de planregels van het bestemmingsplan "Husselerveld". Door middel van de voorliggende herziening van de beheersverordening wordt artikel 16 van deze regels aangevuld met twee zinsneden die fietsparkeren mogelijk maken.

Het gebied waar de voorliggende Herziening beheersverordening Hanslare 2 en Stationscomplex 2015 betrekking op heeft is op onderstaande luchtfoto weergegeven.

afbeelding "i_NL.IMRO.0273.WPBVStation-VA01_0003.png"

Gebied van de beheersverordening.

2.11 Economische uitvoerbaarheid

De raad van de gemeente Putten heeft op 7 november 2013 en 4 december 2014 € 1.304.000,- beschikbaar gesteld voor de herinrichting van de stationsomgeving. Hierin is begrepen:

  • een provinciaal subsidie van € 300.000,-;
  • een bijdrage vanuit de regio (het regiocontract van € 250.000,- en
  • een bijdrage van € 320.960,- van Prorail voor de aanleg van nieuwe fietsplaatsen.

De realisering van de overdekte fietsenstallingen maken onderdeel uit van de herinrichtingsplannen. De economische uitvoerbaarheid van dit wijzigingsplan is hiermee verzekerd.