direct naar inhoud van 1.2 Ligging en kadastrale begrenzing
Plan: Kortendijk 2, Bergharen
Status: vastgesteld
Plantype: wijzigingsplan
IMRO-idn: NL.IMRO.0296.BGBkortendijk2BGH-DFBP

1.2 Ligging en kadastrale begrenzing

Onderstaande afbeelding geeft de topografische ligging weer.

afbeelding "i_NL.IMRO.0296.BGBkortendijk2BGH-DFBP_0001.jpg"

topografische situatie  

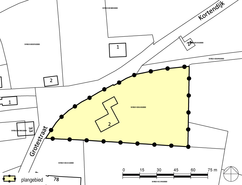
Onderstaande afbeelding geeft de kadastrale situatie weer. Tevens is de plangrens van voorliggend bestemmingsplan ingetekend.

afbeelding "i_NL.IMRO.0296.BGBkortendijk2BGH-DFBP_0002.jpg"

kadastrale situatie

De gronden zijn kadastraal bekend gemeente Bergharen, sectie H, nummer 614.

De oppervlakte van het plangebied bedraagt circa 6000 m². De gronden zijn thans nog eigendom van familie Hutting-Braam.