direct naar inhoud van Hoofdstuk 3 Plan
Burgerveld 17-39, Zeeland
Toelichting
Hoofdstuk 3 Plan
Plan:
Burgerveld 17-39, Zeeland
Status:
ontwerp
Plantype:
bestemmingsplan
IMRO-idn:
NL.IMRO.1685.bpze2012burgerveld-ON01
Toelichting
Regels
Begin
Vorige
Volgende
Omhoog
Hoofdstuk 3 Plan
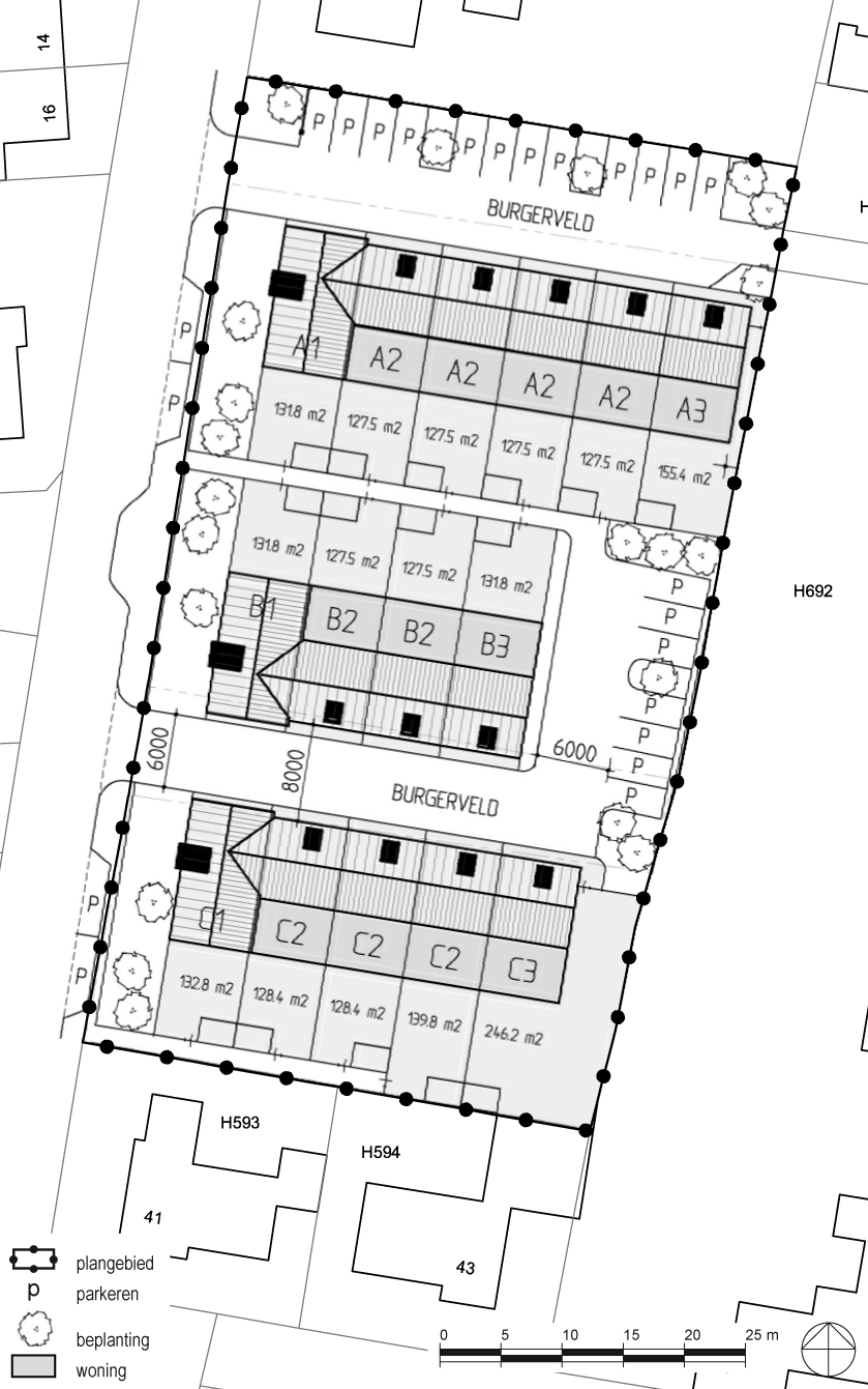
3.1 Bouwplan
3.2 Verkeer en parkeren
3.3 Beplanting
Op onderstaande afbeelding is het plan indicatief weergegeven.
inrichtingsschets