direct naar inhoud van Motivering
Plan: TAM-omgevingsplan Hoofdstuk 22p Parallelweg Batenburg
Status: ontwerp
Plantype: bestemmingsplan
IMRO-idn: NL.IMRO.0296.TAMPARALLELWEG2-OW01

Motivering

Hoofdstuk 1 Inleiding

1.1 Aanleiding

Voor u ligt de ruimtelijke motivering behorend bij het TAM-omgevingsplan (Tijdelijk Alternatieve Maatregel) voor de locatie Perceel 80 aan de Parallelweg in Batenburg. Op deze locatie is de ontwikkeling van één woning voorzien.

 

Voor het betreffende perceel aan de Parallelweg is in het vigerende omgevingsplan geen mogelijkheid opgenomen om de woning te realiseren. In het daarvoor geldende bestemmingsplan was een wijzigingsbevoegdheid opgenomen voor de realisatie van één vrijstaande woning. Om de woning ook daadwerkelijk te kunnen realiseren is daarom een wijziging van het omgevingsplan nodig. Deze wijziging zal dus middels een TAM-omgevingsplanprocedure worden geregeld. Dat betekent o.a. dat dit plan als hoofdstuk 22p wordt ingevoegd in het omgevingsplan Wijchen.

1.2 Ligging en begrenzing plangebied

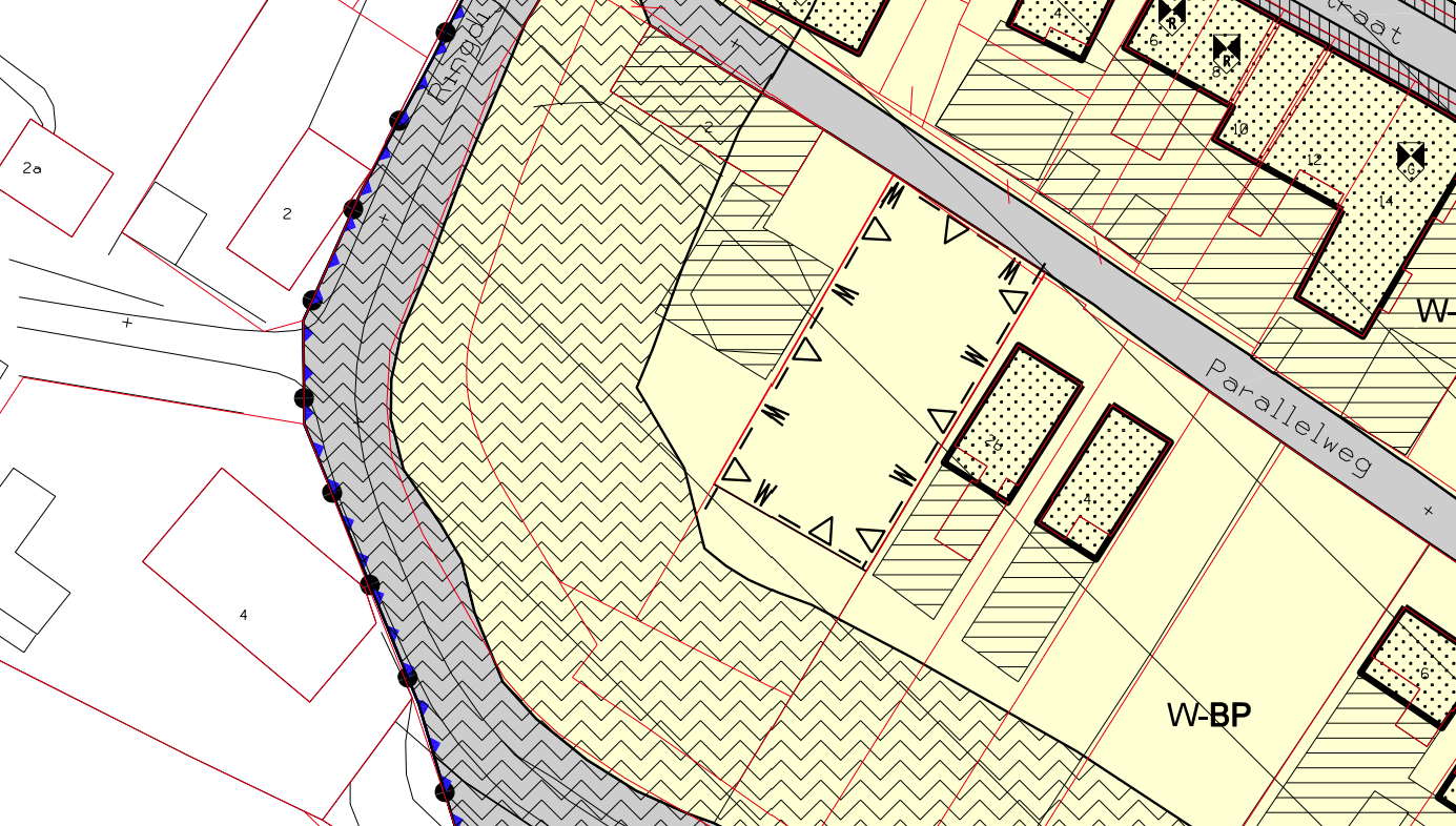
Het plangebied ligt aan de Parallelweg in Batenburg. Het kadastraal perceel is nummer 80, gelegen ten noordwesten van huisnummer 2B. Het perceel is 885 m2 groot.

afbeelding "i_NL.IMRO.0296.TAMPARALLELWEG2-OW01_0001.png"

Ligging en begrenzing planlocatie

1.3 Vigerende planologische situatie en voorwaarden

afbeelding "i_NL.IMRO.0296.TAMPARALLELWEG2-OW01_0002.png"

Vorig bestemmingsplan

afbeelding "i_NL.IMRO.0296.TAMPARALLELWEG2-OW01_0003.png"

Vigerend plan

Vorig bestemmingsplan

Voor het plangebied geldt het Omgevingsplan (voorheen bestemmingsplan) 'Stedelijk gebied Wijchen' (vastgesteld 30 01 2025). In dit plan heeft het plangebied de bestemming Wonen - beeldbepalend 1', maar is geen bouwvlak ter plaatse opgenomen.

De mogelijkheid om een bouwvlak op te nemen was voorzien in het bestemmingsplan 'Kern Batenburg 2008'. De bouw van een woning was niet zondermeer mogelijk. Er was echter wel voorzien in een 'wijzigingsbevoegdheid'. Deze biedt de mogelijkheid om een woning toe te voegen.

Burgemeester en wethouders konden voorzien in een bouwvlak voor een vrijstaande woning (alsmede een 'zone aan- en/of uitbouwen alsmede bijgebouwen') met inachtneming van de volgende voorwaarden:

  • a. de vrijstaande woning bestaat uit één bouwlaag met kap en is qua situering en uitstraling passend in het beeld van de Parallelweg;
  • b. er vindt geen onevenredige aantasting plaats van de gebruiksmogelijkheden
  • c. van aangrenzende gronden en de belangen van derden worden niet onevenredig geschaad;
  • d. een goed woon- en leefklimaat kan worden gegarandeerd, hetgeen onder andere inhoudt dat geen onevenredige hinder kan worden verwacht vanuit omliggende bedrijven;
  • e. de geluidbelasting vanwege het wegverkeer van geluidgevoelige gebouwen mag niet hoger zijn dan de daarvoor geldende voorkeursgrens
  • f. waarde, of een verkregen hogere grenswaarde;
  • g. er wordt aangetoond dat de milieukundige gesteldheid van de bodem geen belemmering vormt voor de woonfunctie;
  • h. overige niet eerder genoemde milieukundige aspecten worden in acht genomen.

Brief / reactie op principeverzoek

In haar brief van 16 juli 2024 stelt de gemeente Wijchen in reactie op het ingediende principeverzoek de volgende aanvullende voorwaarden:

  • er moet sprake zijn van een levensloopbestendige woning;
  • de woning dient een nul-op-de-meter-woning te worden;
  • er dient natuurinclusief te worden gebouwd;
  • de bebouwing dient buiten de bouwgrens van het waterschap te blijven (dijkzijde);
  • de woning (hoofdgebouw) dient op minimaal drie meter afstand tot de zijdelingse perceelsgrenzen te worden gebouwd;
  • er dient een omgevingsdialoog te worden gevoerd.

 

Vigerend omgevingsplan

Binnen het vigerende omgevingsplan 'Stedelijk gebied Wijchen' geldt - naast bovenstaande - nog een aantal andere aspecten dat van toepassing is op de planlocatie:

  • Waarde - Archeologie 2
  • Waarde - Beschermd stadsgezicht
  • Waarde - Cultuurhistorisch waardevol gebied
  • Gebiedsaanduiding - Vrijwaringszone - dijk 1

In voorliggende motivering wordt aangetoond dat aan bovenstaande voorwaarden wordt voldaan.

Binnen de inmiddels geldende Omgevingswet kunnen afwijkingen / wijzigingen van het vigerende omgevingsplan worden overwogen als er sprake is van een 'evenwichtige toedeling van functies aan locaties'. In dit geval is gekozen voor een TAM-omgevingsplanprocedure. Hierbij wordt beoordeeld of de plannen aansluiten bij de gemeentelijke beleidsuitgangspunten en of er een goede ruimtelijke motivering is.

1.4 Procedure

'TAM' staat voor Tijdelijke Alternatieve Maatregel. Met een TAM-omgevingsplan is het mogelijk om met de IMRO-standaard voor bestemmingsplannen en bijbehorende software het omgevingsplan te wijzigen.

Bij inwerkingtreding van de Omgevingswet is onderkend dat de planapplicaties voor het maken en publiceren van het omgevingsplan in combinatie met het DSO (Digitaal Stelsel Omgevingswet) vaak nog onvoldoende functioneren. Daarom is het TAM-omgevingsplan mogelijk gemaakt. Dit TAM-omgevingsplan is dus opgesteld op basis van de IMRO-standaard voor bestemmingsplannen.

Juridisch is het een wijziging van het omgevingsplan. Dit TAM-omgevingsplan wordt een apart hoofdstuk (i.c. hoofdstuk 22p) van het tijdelijke omgevingsplan. Uiteindelijk zal het verwerkt worden in het definitieve omgevingsplan.

1.5 Leeswijzer

De bestaande en toekomstige situatie worden in hoofdstuk 2 beschreven. In hoofdstuk 3 wordt het beleid beschreven dat relevant is voor deze ontwikkeling. In hoofdstuk 4 wordt de uitvoerbaarheid beschreven, waarbij aandacht wordt gegeven aan de milieutechnische en planologische randvoorwaarden. In hoofdstuk 5 wordt nader ingegaan op de maatschappelijke en economische uitvoerbaarheid.

Hoofdstuk 2 Bestaande en nieuwe situatie

2.1 Bestaande situatie plangebied

In de huidige situatie is er sprake van één kadastraal perceel aan de Parallelweg in Batenburg (kadastraal nummer 80). Dit perceel is ca. 885 m2 groot.

afbeelding "i_NL.IMRO.0296.TAMPARALLELWEG2-OW01_0004.png"

Huidige situatie perceel

2.1.1 Historische en huidige context

Het perceel ligt aan de zuidelijke rand van het historische stadje Batenburg. In het centrum van het stadje staat de kerk. Daar direct ten zuiden van ligt de Grootestraat. Dit is van oorsprong de belangrijkste doorgaande straat door het stadje. Hier ligt de rooilijn van de bebouwing nagenoeg direct aan de weg. Deze heeft dus een wat stedelijk karakter.

 

Parallel aan de Grootestraat ligt de Parallelweg. Aan de noordzijde van de Parallelweg lagen vroeger de achtertuinen en schuren van de woningen Historische situatie

aan de Grootestraat. Aan de zuidzijde van de Parallelweg stond lange tijd heel weinig bebouwing en was het open en groen tot aan de zuidelijker gelegen stadswal. Dit is geleidelijk aan veranderd.

In de huidige situatie bevinden zich hier ook voortuinen en woningen. Het straatbeeld is groen en wisselend door een verspringende rooilijn (soms schuren, soms woningen). De (beuken)hagen creëren enige structuur in de straat.

afbeelding "i_NL.IMRO.0296.TAMPARALLELWEG2-OW01_0005.png"

afbeelding "i_NL.IMRO.0296.TAMPARALLELWEG2-OW01_0006.png"

Historische situatie

2.1.2 Huidige perceel

Op het perceel bevindt zich geen bebouwing. Er staat wel bebouwing op de naburige percelen, nagenoeg strak op de erfgrens.

Het westelijke deel van het perceel bevat een aantal jongere laagstam fruitbomen. Aan de zuidoostzijde staat een tweetal grotere bomen.

Aan de oostzijde, tegen de naburige bebouwing staat een flinke heester. Het maaiveld is voor het overgrote deel onverhard en voorzien van gras.

2.2 Nieuwe situatie

Het perceel ligt binnen de wijzigingsbevoegdheid van het vorige bestemmingsplan, waardoor het in principe mogelijk was om een woning toe te voegen. In de vigerende planologische situatie ligt het perceel binnen de woonbestemming, maar heeft het geen bebouwingsmogelijkheid.

 

In de beoogde situatie zal er op het perceel een woning worden toegevoegd. Hoe deze er exact uit gaat zien, is op dit moment nog niet bekend, maar voorliggende motivering geeft wel de verschillende kaders aan die van toepassing zijn. Daarbinnen dient de nieuw te bouwen woning te worden ontwikkeld.

 

Het uitgangspunt voor de ontwikkeling van het perceel is het behoud van de grote boom (eik). De grotere appelboom die er op dit moment staat, is aan het einde van zijn levensduur en staat de eik ook in de weg. Deze appelboom zal dus worden gekapt. Er wordt een deel van de kleine boomgaard herplant om ruimte te maken voor de woning, Door de herplant en de overige te behouden groen elementen past het geheel binnen de bestaande landschappelijke structuur.

 

De nieuwe bebouwing past binnen de rooilijnstructuur van de naastgelegen woningen en de straat, zodat een harmonieuze straatwand ontstaat.

De ontsluiting van het perceel vindt plaats via de Parallelweg, waarbij rekening wordt gehouden met een veilige en logische verkeersafwikkeling. Parkeren wordt volledig op eigen terrein opgelost om overlast in de openbare ruimte te voorkomen.

 

Het plan voldoet aan de gestelde voorwaarden binnen het omgevingsplan en past binnen de kaders van een Kleinschalig Woningbouwinitiatief. De gemeente Wijchen heeft mede daarom het plan ook in behandeling genomen.

afbeelding "i_NL.IMRO.0296.TAMPARALLELWEG2-OW01_0007.png"

Beplanting

Voorliggende motivering toont aan dat het plan voldoet aan de verschillende gestelde planologische voorwaarden, zoals genoemd in het vorige hoofdstuk. Aanvullend zal - als toetsingskader voor het te zijner tijd verlenen van de omgevingsvergunning - een aantal nadere voorwaarden worden gesteld. Deze zijn opgenomen in een compact beeldkwaliteitsdocument (zie Bijlage 1 ). De voorwaarden luiden als volgt:

  • alle hoofd- en bijgebouwen dienen binnen het getekende bouwvlak te vallen (oranje vlak) (getekende bebouwing is indicatief);
  • max 70% bebouwd;
  • goot / nokhoogte: maximaal 4,5 / 8,0 meter;
  • dwarskap op hoofdgebouw verplicht;
  • maximaal 70% van de breedte van het bouwvlak bebouwd met hoofdgebouw;
  • bijbehorende bouwwerken minimaal 5 meter achter de voorgevel van het hoofdgebouw en in het bouwvlak of de zone achter het bouwvlak (gestippeld);
  • erfafscheidingen met hagen, bestaande eikenboom behouden;
  • vormgeving als schuurwoning.

Deze voorwaarden zorgen ervoor dat de nieuw te bouwen woning qua schaal en uitstraling (kleinschalig, beperkte hoogte, materialisering en detaillering als 'schuurwoning') past binnen de ruimtelijk-historische context en deze versterkt.

Het beeldkwaliteitsplan is door de Adviescommissie Omgevingskwaliteit goedgekeurd.

afbeelding "i_NL.IMRO.0296.TAMPARALLELWEG2-OW01_0008.png"

Indicatieve situatie

2.3 ETFAL

De ruimtelijke ingreep is - met het oog op evenwichtige toedeling van functies aan locaties en een veilige en gezonde fysieke leefomgeving - mogelijk. Het initiatief past binnen de vigerende ruimtelijke context en is in te passen in de vigerende planologische situatie.

Voorliggende procedure toont op nadere onderdelen aan dat de ontwikkeling past binnen de gestelde kaders en de vigerende voorwaarden.

De gemeente is in principe vrij in de keuze van het te voeren beleid. De wetgeving in Nederland gaat er wel vanuit dat er rekening wordt gehouden met het beleid van hogere overheden. De gemeente is niet verplicht om dit beleid te volgen, maar een afwijking daarvan moet wel duidelijk gemotiveerd worden. Daarnaast zijn er instructieregels in omgevingsverordeningen en het Besluit kwaliteit leefomgeving (Bkl). In dit hoofdstuk wordt ingegaan op relevant rijks-, provinciaal-, regionaal- en gemeentelijk beleid en gemotiveerd getoetst.

Hoofdstuk 3 Beleidskaders

3.1 Nationaal beleid

3.1.1 Nationale Omgevingsvisie

De Nationale Omgevingsvisie (NOVI) is de opvolger van de Structuurvisie Infrastructuur en Ruimte (SVIR), waarin het Rijk een lange termijn visie geeft op de toekomstige ontwikkeling van de leefomgeving in Nederland. De NOVI geeft richting en helpt keuzes te maken. Bij de afweging van keuzes wordt bij voorkeur gekozen voor slimme combinaties van functies, wordt uitgegaan van de specifieke kenmerken en kwaliteiten van gebieden en worden beslissingen niet uitgesteld of doorgeschoven.

De nationale belangen en opgaven waarop het Rijk wil sturen en richting wil geven, komen samen in de volgende vier prioriteiten:

  • Ruimte maken voor klimaatadaptatie en energietransitie;
  • De economie van Nederland verduurzamen en ons groeipotentieel behouden;
  • Steden en regio's sterker en leefbaarder maken;
  • Het landelijk gebied toekomstbestendig ontwikkelen.

Toets aan de Nationale Omgevingsvisie

Voor de Rijksdoelen worden door het Rijk 13 onderwerpen van nationaal belang benoemd. Hiermee geeft het Rijk aan waarvoor het verantwoordelijk is en waarop het resultaten wil boeken.

Om de 13 nationale belangen door te laten werken in ruimtelijke plannen van lagere overheden zijn naast de SVIR het Besluit algemene regels ruimtelijke ordening (Barro, 2014) en de Regeling algemene regels ruimtelijke ordening (Rarro, 2014) in werking getreden.

Ten aanzien van onderhavig plan geldt dat de ontwikkeling geen specifieke betrekking heeft op de nationale belangen die in het Barro of Rarro worden genoemd. Wel past het plan binnen de prioriteiten die worden gesteld:

  • het voorziet in een klimaatadaptieve ontwikkeling doordat de bouw en het gebruik duurzaam zal worden uitgevoerd en het plangebied zal voldoen aan de regels van het waterschap ten aanzien van verharding en waterafvoer;
  • het plan voorziet in een sterkere mix van functies in bestaand stedelijk gebied;
  • het plan voorziet in behoud en versterking van de aanwezige waarden (m.n. cultuurhistorie en groen).
3.1.2 Instructieregels rijk (AMvBs)

De Omgevingswet werkt door in vier algemene maatregelen van bestuur (AMvB's):

  • 1. het Omgevingsbesluit (Ob);
  • 2. het Besluit kwaliteit leefomgeving (Bkl);
  • 3. het Besluit activiteiten leefomgeving (Bal);
  • 4. het Besluit bouwwerken leefomgeving (Bbl).

In deze AMvB's staan regels voor het praktisch uitvoeren van de wet. Voor de volgende onderwerpen gelden er op grond van het Besluit kwaliteit leefomgeving instructieregels voor het vaststellen van een (wijziging van het) omgevingsplan:

  • De dienstenrichtlijn (art 5.1a Bkl);
  • Waarborgen van veiligheid (§ 5.1.2 Bkl);
  • Beschermen van waterbelangen (§ 5.1.3 Bkl);
  • Beschermen van gezondheid en milieu, waaronder instructieregels voor de kwaliteit van de buitenlucht, trillingen, geluid en geur en bodemkwaliteit (§ 5.1.4 Bkl);
  • Beschermen van landschappelijke of stedenbouwkundige waarden en cultureel erfgoed, waaronder de ladder voor duurzame verstedelijking (§ 5.1.5 Bkl);
  • Het behoud van ruimte voor toekomstige functies voor autowegen, buisleidingen, natuur- en recreatiegebieden (§ 5.1.6 Bkl);
  • Het behoeden van de staat en werking van infrastructuur of voorzieningen voor nadelige gevolgen van activiteiten, waaronder landsverdediging en nationale veiligheid, elektriciteitsvoorziening, rijksvaarwegen en luchtvaart, fiets- en wandelroutes, aanwijzing van woningbouwcategorieën (§ 5.1.7 Bkl);
  • Het bevorderen van de toegankelijkheid van de openbare buitenruimte voor personen (§ 5.1.8 Bkl).

Al deze aspecten komen in voorliggende motivering aan de orde.

3.1.3 Ladder voor duurzame verstedelijking

Plannen die een nieuwe stedelijke ontwikkeling mogelijk maken moeten worden getoetst

aan de ladder voor duurzame verstedelijking.

Beoordeeld moet dan worden of sprake is van een nieuw beslag op de ruimte. Daarvan is in het beginsel sprake als het nieuwe ruimtelijke besluit meer bebouwing mogelijk maakt dan er op grond van het voorheen geldende planologische regime aanwezig was, of kon worden gerealiseerd.

Daarnaast volgt uit jurisprudentie dat wanneer het om een functiewijziging gaat, moet worden beoordeeld of er sprake is van een naar aard en omvang zodanige functiewijziging, dat desalniettemin gesproken kan worden van een nieuwe stedelijke ontwikkeling. Vervolgens moet de behoefte aan de ontwikkeling worden gemotiveerd.

In artikel 1.1.1 onder i van het Bro is een nadere omschrijving van het begrip stedelijke ontwikkeling vastgelegd. Als stedelijke ontwikkeling wordt genoemd: 'ruimtelijke ontwikkeling van een bedrijventerrein of zeehaventerrein, of van kantoren, detailhandel, woningbouwlocaties of andere stedelijke voorzieningen.' In het Bro is geen ondergrens voor de minimale omvang vastgelegd. Of er sprake is van een stedelijke ontwikkeling wordt

bepaald door de aard en omvang van de ontwikkeling in relatie tot de omgeving. Voor woningbouwlocaties geldt o.b.v. jurisprudentie dat vanaf 12 woningen sprake is van een nieuwe stedelijke ontwikkeling.

Toets aan de Ladder van duurzame verstedelijking

Omdat dit plan slechts één woning toevoegt, Daarmee is de ontwikkeling, gelet op de omvang, niet als 'stedelijke ontwikkeling' te classificeren. De 'ladder voor duurzame verstedelijking' hoeft daarom niet verder te worden doorlopen. Hierdoor is een onderbouwing van de behoefte niet vereist, en voldoet het bestemmingsplan aan de laddertoets.

3.1.4 Conclusie nationaal beleid

Het Rijk staat de planontwikkeling, gezien het karakter van het plan, niet in de weg. De voorgenomen ontwikkeling voldoet aan de uitgangspunten zoals verwoord in de Nationale Omgevingsvisie en de Ladder voor duurzame verstedelijking.

3.2 Provinciaal beleid

Het Rijk staat de planontwikkeling, gezien het karakter van het plan, niet in de weg. De voorgenomen ontwikkeling voldoet aan de uitgangspunten zoals verwoord in de Nationale Omgevingsvisie en de Ladder voor duurzame verstedelijking.

3.2.1 Omgevingsvisie 'Gaaf Gelderland'

De komende decennia komt er veel op Gelderland af: het energievraagstuk, klimaatverandering, uitputting van grondstoffen, kwetsbare biodiversiteit, digitalisering, internationalisering. Deze zaken vragen stevige antwoorden en oplossingen als investering in de toekomst. Met de schaarse ruimte en de vele uiteenlopende belangen en inzichten gaat dit niet vanzelf. De provincie zet in de Omgevingsvisie een gezond, veilig, schoon en welvarend Gelderland centraal:

  • Gezond en veilig; dat is een gezonde leefomgeving, schone en frisse lucht, een schoon milieu, een niet vervuilde bodem, voldoende schoon en veilig (drink)water, bescherming van onze flora en fauna. Dat is ook voorbereid zijn op klimaatverandering, verkeersveiligheid en veilige bedrijvigheid.
  • Schoon en welvarend; dat is een dynamisch, duurzaam en aantrekkelijk woon-, werk- en ondernemersklimaat, goed bereikbaar en met een goed functionerende arbeidsmarkt en dito kennis- en onderwijsinstellingen. Maar dat is ook het tegengaan van schadelijke uitstoot, afval en uitputting van grondstoffen, alsmede het investeren in nieuwe, alternatieve vormen van energie.

Om Gelderland voor mensen en bedrijven aantrekkelijk te houden, is de kwaliteit van de leefomgeving van groot belang, zoals goed bereikbare voorzieningen, aansprekende evenementen, unieke cultuurhistorie, inspirerende culturele voorzieningen en een mooie natuur. Ook goed wonen hoort daarbij. Gelderland heeft op woongebied een bijzondere positie met uiteenlopende stedelijke en landelijke woonkwaliteiten. Om het landschap open, groen en het voorzieningenniveau op peil te houden en leegstand te voorkomen, is bouwen binnen bestaand verstedelijkt gebied het vertrekpunt. Pas als er geen andere goede mogelijkheden zijn, kan er aan de randen van steden of dorpen uitgebreid worden.

Voor de provincie staat een goede balans tussen de vraag en aanbod van woningen in verschillende prijscategorieën voorop, ook voor specifieke doelgroepen. De meeste woningen zijn verre van energieneutraal en klimaatbestendig. De provincie stimuleert innovaties op dit terrein, zoals het aardgasloos maken van bestaande woningen en het verduurzamen van woonwijken. Daarnaast is de provincie met haar partners in gesprek over hoe het vraagstuk van klimaatadaptatie en wonen slimmer aangepakt kan worden. Voldoende groene ruimte, koele plekken, opvang van water in het licht van de klimaatverandering is immers van belang, zeker met het oog op de gezondheid van de Gelderlanders.

3.2.2 Omgevingsverordening Gelderland

De Omgevingsverordening vormt de juridische doorwerking in regels van het beleid uit de Omgevingsvisie. De verordening voorziet ten opzichte van de Omgevingsvisie niet in nieuw beleid en is daarmee dus beleidsneutraal. De inzet van de verordening als juridisch instrument om de doorwerking van het provinciaal beleid af te dwingen is beperkt tot die onderdelen van het beleid waarvoor de inzet van algemene regels noodzakelijk is om provinciale belangen veilig te stelen of om uitvoering te geven aan wettelijke verplichtingen.

De Omgevingsverordening richt zich net zo breed als de Omgevingsvisie op de fysieke leefomgeving in de Provincie Gelderland. Dit betekent dat vrijwel alle regels die betrekking hebben op de fysieke leefomgeving opgenomen zijn in de Omgevingsverordening.

Toets aan de Provinciale Omgevingsvisie en - verordening

Het plan voorziet in het realiseren van een extra woning in bestaand stedelijk gebied en voldoet aan de verschillende eisen t.a.v. de kwaliteit van de leefomgeving, duurzaamheid en klimaatadaptatie.

3.2.3 Conclusie provinciaal beleid

Voor de beoogde ontwikkeling zijn er geen belemmeringen vanuit de Omgevingsvisie.

3.3 Regionaal beleid

3.3.1 Woondeal 2.0 groene metropoolregio Arnhem-Nijmegen

In 2020 zijn gemeenten binnen de Groene Metropoolregio Arnhem-Nijmegen, provincie Gelderland en Rijk een langjarig partnerschap aangegaan voor een beter werkende woningmarkt. Het partnerschap is vastgelegd in de woondeal uit 2020. Marktpartijen en woningcorporaties hebben hun ondersteuning hierbij uitgesproken. Met de geactualiseerde Woondeal 2.0, vastgesteld op 8 maart 2023, onderkennen partijen de bovengemiddeld grote woonopgave, continueren de samenwerking uit 2020 en geven het partnerschap verder vorm.

De Woondeal 2.0 zet in op zeven werkafspraken:

  • 1. Woningbouwopgave en versnelling
  • 2. Betaalbare woningen voor lage en middeninkomens
  • 3. Huisvesting aandachtsgroepen
  • 4. Klimaatadaptief, conceptueel en circulair bouwen
  • 5. Leefbaarheid en stadsvernieuwing
  • 6. Verstedelijking en gebiedsontwikkeling
  • 7. Overige thema's als vakantieparken, stikstof en elektriciteitsnetwerken.

Partijen streven naar de bouw van 33.000 woningen tot en met 2030 in de Groene Metropoolregio. En richting 2040 zo'n 55.000 woningen. De woningbouwopgave voor gemeente Wijchen is 2.060 woningen. In lijn met de nationale doelstelling om toe te groeien naar 2/3e betaalbare nieuwbouwwoningen, wordt ingezet op een vergroting van de beschikbaarheid van woningen voor mensen met lage en middeninkomens, waaronder veel starters.

 

Iedere gemeente zorgt vanaf 2025 binnen de gemeentebrede nieuwbouwopgave voor minimaal 30% sociale huur en minimaal 35% middenhuur en betaalbare koop (tot € 405.000, landelijke betaalbaarheidsgrens, prijspeil 2025). Op basis van het woningbehoefteonderzoek zet de regio zich ervoor in dat een deel van het middensegment bestaat uit betaalbare koopwoningen voor lagere inkomens, met een prijs van maximaal € 250.000 of middenhuur (tussen € 900 en € 1185, prijspeil 2025).

Op basis van het woningbehoefteonderzoek is er ruimte voor uitwisseling tussen de betaalbare segmenten, met dien verstande dat er voldoende sociale huurwoningen en middenhuur/betaalbare koopwoningen voor lagere inkomens worden toegevoegd. Aanvullend op het bouwprogramma wordt ingezet op extra kansen door betere benutting van de bestaande woningvoorraad, herstructurering of transformatie van bestaand vastgoed. Transformatie van zelfstandige woningen naar woonruimten voor meerdere kleine huishoudens met gemeenschappelijke voorzieningen biedt kansen. Ook flexibele en tijdelijke woningen en vernieuwende bouwconcepten bieden kansen, waardoor op een snelle manier voorzien kan worden in de woningbehoefte. Daarnaast spant de regio zich in om sterke, toekomstbestendige en gedifferentieerde wijken te realiseren. Er wordt gezorgd voor voldoende betaalbare woningen voor aandachtsgroepen en een evenwichtige spreiding daarvan over de gemeenten. Specifieke aandacht is nodig voor de ondersteuning van de woonbehoeften van ouderen. Er is een toenemende behoefte aan woningen die aansluiten bij de wensen van ouderen.

Partijen werken samen aan een regionaal programma circulair en conceptueel bouwen. De regio spant zich in om in 2025 minimaal 25% en in 2030 minimaal 50% van het aantal woningen industrieel te laten bouwen. En om in 2025 minimaal 25% en in 2030 minimaal 50% minder primaire grondstoffen in projecten te gebruiken. Ook wordt klimaatbestendigheid meegenomen in het ontwerp van gebouwen en buitenruimte.

Toets aan de Woondeal

Het toevoegen van één woning op de planlocatie maakt reeds sinds 2008 deel uit van het bestemmingsplan. Om onduidelijke redenen is er in het zeer recent vastgestelde vigerend omgevingsplan geen bouwvlak opgenomen.

 

De toevoeging van de woning vindt plaats binnen bestaand stedeljk gebied. Het woningtype sluit aan op de ter plaatse aanwezige karakteristieken en biedt mogelijkheden voor levensloopbestendige bouw. Ook zal het plan moeten voldoen aan de verschillende verduurzamingseisen. Daarmee past het binnen de Woondeal.

3.3.2 Waterschap

Het plangebied ligt in de beschermingszone van een waterkering, wat betekent dat bouwen aan strikte voorwaarden moet voldoen om de waterveiligheid te waarborgen. Het waterschap heeft als uitgangspunt dat bebouwing geen invloed mag hebben op de stabiliteit van de dijk en de afvoer van hemelwater.

In overleg met het Waterschap Rivierenland zijn de regels en randvoorwaarden voor bouwen in deze zone vastgesteld. De woning en de bijbehorende bouwwerken worden - ondanks dat ze in de gebiedsaanduiding 'Vrijwaringszone - dijk 1' vallen - zodanig gepositioneerd dat ze geen invloed hebben op de veiligheid van de waterkering.

Het plan valt binnen de drempelwaarden van particuliere verharding. Het hemelwater wordt afgekoppeld en via het bestaande gemeentelijke gescheiden rioolstelsel afgevoerd.

Door deze maatregelen wordt voldaan aan de eisen van het waterschap en vormt waterveiligheid geen belemmering voor de ontwikkeling.

3.4 Gemeentelijk beleid

3.4.1 Omgevingsvisie gemeente Wijchen

De Omgevingsvisie Wijchen 2024 is een strategisch beleidsdocument dat richting geeft aan de fysieke leefomgeving tot 2035. Het is gebaseerd op het Strategisch Kompas: Wijchen 2035 'De kracht van Wijchen' en sluit aan bij de uitgangspunten van de Omgevingswet. De visie is integraal en behandelt thema's als wonen, werken, mobiliteit, duurzaamheid, gezondheid en sociale cohesie.

Hoofddoelen

  • Voldoende woningen: Groei naar 45.000–50.000 inwoners. Realisatie van 2.060 woningen in de periode 2022-2030, met focus op betaalbare huur/koop (67%, waarvan min. 30% sociale huur). Verder zetten we in op flexibele woonvormen. Inbreiding gaat boven uitbreiding, maar met behoud van dorps karakter.
  • Aantrekkelijke wijken en kernen: Investeren in groene, klimaatbestendige wijken. Versterking van sociale cohesie, multifunctionele voorzieningen en behoud van cultuurhistorie en biodiversiteit.
  • Iedereen aan het werk: Aantrekkelijk vestigingsklimaat, revitalisering bedrijventerreinen, stimulering MKB, circulaire economie en huisvesting internationale werknemers.
  • Sterke en sociale samenleving: Preventie boven zorg, inclusieve wijken, spreiding woonzorgvastgoed, aandacht voor kwetsbare groepen en een veilige leefomgeving.
  • Energieneutraal en fossielvrij: Versnelling energietransitie, zonnepanelen op daken, windenergie op geschikte locaties, verduurzaming woningvoorraad, lokale energiestrategie (RES 2.0) en waterbewuste inrichting.

Ruimtelijke uitgangspunten

  • Ruimtegebruik: Slimme, meervoudige benutting van ruimte. Inbreiding waar mogelijk, uitbreiding onder voorwaarden.
  • Groenblauw raamwerk: Sturend voor ruimtelijke ontwikkeling. Versterking ecologische en recreatieve netwerken.
  • Mobiliteit: Duurzame en slimme mobiliteit, snelfietsroutes, deelmobiliteit, verbetering OV-verbindingen.
  • Buitengebied: Visie in ontwikkeling. Focus op duurzame landbouw, natuurbeheer, recreatie en energie.

Woningbouw


De gemeente Wijchen streeft naar een gevarieerd woningaanbod dat aansluit bij de behoeften van inwoners in alle levensfasen, met specifieke aandacht voor één- en tweepersoonshuishoudens, jongeren, ouderen en mensen met een beperking. Om de woonopgave betaalbaar te houden, is het uitgangspunt dat minimaal 67% van de nieuwbouwwoningen binnen het betaalbare segment valt, waarvan ten minste 30% bestaat uit sociale huur. Tegelijkertijd wordt ruimte geboden aan innovatieve woonvormen zoals tiny houses, hofjeswoningen, meergeneratiewoningen, woningsplitsing en woonzorgcombinaties.

De voorkeur gaat uit naar woningbouw binnen bestaande kernen, waarbij het dorpse karakter behouden blijft. Uitbreiding buiten het bestaand stedelijk gebied is mogelijk, mits dit zorgvuldig gebeurt en voldoet aan ruimtelijke en ecologische randvoorwaarden.

Nieuwe woningen moeten klimaatbestendig zijn. Hierbij zijn groene wijken en circulair bouwen belangrijk. Er is een minimum van 25% circulariteit in 2025 en 50% vanaf 2030.

Woonzorgvoorzieningen worden geïntegreerd in de wijk. Er is aandacht voor spreiding van woonzorgvastgoed, levensloopbestendige woningen en beschut wonen, zodat een inclusieve en toegankelijke woonomgeving ontstaat voor iedereen.

Toets aan de Omgevingsvisie

Het plan voorziet in één vrijstaande woning in de historische kern van Batenburg. Op een aantal punten sluit deze ontwikkeling aan op de speerpunten uit de Omgevingsvisie: de woning versterkt de aantrekkelijkheid van de kern door haar zorgvuldige cultuurhistorische inpassing. Ook zal de woning energieneutraal worden ontwikkeld. Verder is het mogelijk om een woning te ontwikkelen die passend is.

 

Qua betaalbaarheid zal de woning waarschijnlijk niet in de categorie 'betaalbaar' vallen. Hier zijn de voorwaarden vanuit stedenbouw en cultuurhistorie debet aan. Een woning in de betaalbare categorie zou geenszins passend zijn in de (cultuurhistorische) context.

3.5 Woonvisie

In de Woonvisie gemeente Wijchen 2024-2028 (vastgesteld 30 mei 2024) wordt omschreven hoe de gemeente zich de komende jaren zal inzetten om prettig wonen voor iedereen mogelijk te maken.

De visie richt zich op vijf ambities:

  • 1. Een toekomstbestendige woningvoorraad. Er wordt gewerkt aan de volgende deelambities:
  • Inzetten op verduurzaming van woningen.
  • Investeren in de kwaliteit van de bestaande woningen en woonomgeving.
  • Mogelijkheden creëren voor woningaanpassingen. Inwoners krijgen de mogelijkheid om zo lang mogelijk comfortabel te wonen op de plek die zij willen, ook als zij een zorgvraag krijgen.
  • Nieuwe woningen toevoegen in de bestaande voorraad. Er wordt gezocht naar meer mogelijkheden om woningen toe te voegen binnen de bestaande voorraad, bijvoorbeeld woningsplitsing, woningdelen en transformatie van ander vastgoed naar wonen.
  • 2. Nieuwe woningen, passend bij de behoefte. Er wordt ingezet op de volgende deelambities:
  • Toevoegen van een divers woningaanbod: in ieder geval 2.060 woningen tot en met 2030. Dat is in lijn met de Woondeal 2.0. Met een ruime planvoorraad van 130% wordt geanticipeerd op eventuele planuitval. Er wordt ingezet op een divers aanbod. De vraag naar compactere, levensloopgeschikte en gezamenlijke woonconcepten groeit. Ook wordt ingezet op doorstroming.
  • Sturen op een betaalbaar programma. De gemeente zorgt vanaf 2025 binnen de gemeentebrede nieuwbouwopgave voor minimaal 30% sociale huur en minimaal 35% middenhuur en betaalbare koop (tot € 405.000, landelijke betaalbaarheidsgrens, prijspeil 2025). Op basis van het woningbehoefteonderzoek zet de regio zich ervoor in dat een deel van het middensegment bestaat uit betaalbare koopwoningen voor lagere inkomens, met een prijs van maximaal € 250.000 of middenhuur (tussen € 900 en € 1185, prijspeil 2025). Het grootste deel van de opgave landt in de kern Wijchen. Ook in de andere kernen wordt naar mogelijkheden gezocht, passend bij de schaal van de kern.
  • Bouwen aan kwaliteit. Er wordt ingezet op nieuwe woningen met een hoge kwaliteit: woningen die duurzaam en klimaatbestendig zijn, die zoveel mogelijk circulair en natuurinclusief gebouwd worden.
  • Behouden betaalbaar aanbod.
  • Inspelen op een veranderende behoefte. Er wordt gezorgd voor voldoende plannen, en er wordt flexibiliteit geboden binnen de omgevingsplannen.
  • 3. Versnellen door slim samenwerken en prioriteren. Er wordt gewerkt via de volgende sporen:
  • Inzetten op 260 woningen per jaar. Er wordt met name ingezet op Wijchen-West en Huurlingsedam. Ook worden mogelijkheden geboden aan andere locaties, ook in de kleinere kernen, van verschillende omvang. CPO-projecten vallen hier ook onder.
  • Samenwerken met ontwikkelende partijen en de regio.
  • Flexwoningen toevoegen. Vooralsnog wordt ingezet op het realiseren van 150 flexwoningen voor de periode 2022 tot en met 2030.
  • 4. Woonaanbod voor alle inwoners. Er wordt ingezet op de volgende deelambities:
  • Passende woonmogelijkheden bieden voor alle doelgroepen. Er wordt geïnvesteerd in voldoende (nieuwe) woonruimte voor verschillende aandachtsgroepen. Op gemeenteniveau is het streven dat de helft van de nieuwbouwwoningen levensloopgeschikt is.
  • Slim faciliteren van wonen en zorg/ondersteuning. Er wordt gezocht naar woonmogelijkheden die aansluiten op de zorg- of ondersteuningsvraag van mensen. Inwonersinitiatieven voor woonzorgconcepten worden gestimuleerd en met de 'Zorgvoor-elkaar' woningen wordt er ruimte geboden om bijgebouwen te gebruiken voor het ontvangen of verlenen van zorg. Daarnaast wordt met nieuwbouw ingezet op het toevoegen van levensloopgeschikte woningen en eventueel geclusterde, beschermde of beschutte woonvormen.
  • Inzet op gemengde en gevarieerde buurten.
  • 5. Leefbare kernen en buurten. Er wordt ingezet op de volgende deelambities:
  • Behouden en versterken van het groene, dorpse karakter. Waar mogelijk wordt gekozen voor inbreiding boven uitbreiding. Er wordt bijvoorbeeld gekeken naar vrijkomend (maatschappelijk) vastgoed om woning te realiseren. Inbreiding betekent desalniettemin dat op sommige plekken compacter of hoger moet worden gebouwd. Vooral bij ontwikkelingen in de kern Wijchen wordt meer ruimte gegeven aan hogere woongebouwen. Uitgangspunt is dat de woningbouw bijdraagt aan het gemengder maken van kernen en buurten, en de ruimtelijke kwaliteit versterkt.
  • Versterken van sociale cohesie. Er wordt ondersteuning geboden aan CPO-projecten.
  • Inzetten op toegankelijke kernen en buurten.
  • Woonomgeving aanpassen aan het klimaat van morgen. Er wordt waterrobuust en klimaatbestendig ontwikkeld.

Toets aan de Woonvisie

Het plan voorziet in één vrijstaande woning in de historische kern van Batenburg. In de basis sluit deze ontwikkeling aan op de ambities van de Woonvisie. Er zal een duurzame woning worden gerealiseerd, de kwaliteit van de woning en de woonomgeving vormt het uitgangspunt voor de ontwikkeling, de woning is aanpasbaar aan verschillende wensen. Ook wordt de woning toegevoegd binnen bestaand stedelijk gebied (inbreiding) en zal kern van Batenburg leefbaar blijven. Mede hierdoor kan de woning relatief snel worden gerealiseerd. Daarnaast wordt de woning van hoge kwaliteit: duurzaam en klimaatbestendig, waterrobuust en natuurinclusief.

In theorie is de ontwikkeling geschikt voor alle typen inwoners. Echter gezien de vereiste cultuurhistorische en stedenbouwkundige inpassing in de historische kern van Batenburg geldt er een aantal randvoorwaarden. Deze ruimtelijke randvoorwaarden leiden er toe dat het op deze locatie niet voor de hand ligt dat er sprake is van een woning die in de categorie 'betaalbaar' valt. Hier prevaleren andere belangen boven die van betaalbaarheid.

Hoofdstuk 4 Milieu- en omgevingsaspecten

Bij veranderingen in de leefomgeving (bijvoorbeeld bij een Afwijking van het Omgevingsplan) dient te worden aangetoond dat het voornemen voldoet aan de instructieregels van het Rijk.

Op basis van de Omgevingswet moeten gemeenten ervoor zorgen dat de regels in het omgevingsplan leiden tot een evenwichtige toedeling van functies aan locaties (ETFAL). Dit wordt bereikt door activiteiten en functies te reguleren en te koppelen aan locaties voor het gemeentelijke grondgebied. Alle regels in het omgevingsplan samen moeten leiden tot een ETFAL, rekening houdend met alle betrokken belangen. De instructieregels van het Rijk (Besluit kwaliteit leefomgeving) en de provincie (provinciale verordening) geven mede invulling aan de ETFAL.

De aard, omvang en locatie van de activiteit(en) zijn bepalend voor de milieu-, en omgevingsaspecten en andere thema's die onderzocht moeten worden als onderdeel van de motivering van de afwijking van het Omgevingsplan. Dit is nodig met het oog op de ETFAL.

In onderstaande paragrafen wordt ingegaan op de verschillende relevante milieuaspecten.

4.1 Verkeer en parkeren

Verkeer en parkeren moeten als omgevingsaspecten in het belang van een evenwichtige toedeling van functies aan locaties worden beoordeeld. De Omgevingswet en het Bkl stellen geen regels op het gebied van verkeer.

Het toevoegen van een nieuwe woning moet voldoen aan de geldende eisen op het gebied van verkeer en parkeren.

 

Voor het aspect parkeren dient aangetoond te worden dat er op eigen terrein voldoende parkeergelegenheid aanwezig is voor het opvangen van de nieuwe parkeerbehoefte. Hiervoor wordt

uitgegaan van 'Beleidsregels Parkeernormen Wijchen'. De kern Batenburg valt binnen de indeling onder 'Matig stedelijk' en 'Rest bebouwde kom'. Hier geldt dat voor vrijstaande koopwoningen twee parkeerplaatsen op eigen terrein dienen te worden gerealiseerd.

Op eigen terrein is ruimte voor een garage en daarnaast nog minimaal twee auto's. Daarmee wordt voldaan aan de normering vanuit de gemeente. De exacte positie en maatvoering van de parkeerplaatsen is afhankelijk van het uiteindelijke bouwplan, maar zal voldoen aan de beleidsregels Parkeernormen Wijchen 2024 qua ruimte en afstanden tot de belendingen.

 

Qua ontsluiting en verkeer geldt dat de voorziene ontwikkeling niet mag leiden tot knelpunten in de verkeersveiligheid en verkeersafwikkeling van het omliggende wegennet.

 

De nieuwe woning zal slechts een beperkt aantal extra verkeersbewegingen per 24 uur met zich mee brengen. Dit past binnen het heersende verkeersbeeld van de bestaande situatie in deze woonstraat en vormt daarmee geen belemmering voor de ontwikkeling.

Het perceel zal direct op de bestaande Parallelweg worden ontsloten middels een maximaal drie meter brede uitrit. De exacte positie van de uitrit is afhankelijk van het uiteindelijke bouwplan.

4.2 Bodem

De toelaatbare kwaliteit van de bodem voor het bouwen van een bodemgevoelig gebouw (i.c. een woning) op een bodemgevoelige locatie worden opgenomen in het omgevingsplan (art. 5.89i Bkl). Deze waarden kunnen per gebied of per gebruiksfunctie verschillen. De instructieregels schrijven voor dat het bouwen van een bodemgevoelig gebouw ofwel vergunningplichtig ofwel meldingsplichtig moet worden gemaakt op grond van het omgevingsplan.

Voor elke individuele bouwlocatie worden aangetoond dat de bodem geschikt is voor de beoogde bebouwing voordat een vergunning kan worden verleend.

 

Bij een overschrijding van een vastgestelde waarde (zie art. 5.89i Bkl) is het bouwen van een bodemgevoelig gebouw alleen toegelaten als de in het omgevingsplan voorgeschreven sanerende of andere beschermende maatregelen worden getroffen (art. 5.89K Bkl, art. IIIa onder 2 Aanvullingsbesluit Bodem).

Resultaten bodemonderzoek 

De Quickscan vooronderzoek (t.b.v. eventuele vrijstelling bodemonderzoek}, ingevuld door de initiatiefnemer en beoordeeld door de gemeente (Bijlage 2), concludeert dat de locatie als onverdacht wordt aangemerkt ten aanzien van bodemverontreiniging. Er zijn geen aanwijzingen dat er in het verleden (ondergrondse) brandstoftanks aanwezig zijn geweest, ophooglagen of verhardingslagen met bodemvreemd materiaal zijn toegepast, of dat er sprake is geweest van bedrijfsmatige activiteiten of calamiteiten op het terrein. Evenmin zijn er asbestverdachte materialen of sporen van saneringen aangetroffen. Daarmee komt het perceel in aanmerking voor vrijstelling van nader bodemonderzoek en kan het worden vrijgegeven voor ontwikkeling.

4.3 Geluid

4.3.1 Wettelijk kader

Wanneer een geluidgevoelig gebouw (i.c. een woning) mogelijk wordt gemaakt, zal bij het wijzigen van het omgevingsplan rekening gehouden moeten worden met het geluid door wegen, spoorwegen en industrieterreinen op geluidgevoelige gebouwen in een geluidaandachtsgebied. Dit betekent dat bij het toelaten van een geluidgevoelig gebouw in een geluidaandachtsgebied een belangenafweging zal moeten worden gemaakt en deze goed zal moeten worden gemotiveerd.

Daarnaast zal de wijziging van het omgevingsplan erin moeten voorzien dat het geluid door een weg, spoorweg of industrieterrein op geluidgevoelige gebouwen binnen een aandachtsgebied aanvaardbaar is (artikel 5.78s, tweede lid, Bkl). Het geluid op de gevel van een geluidgevoelig gebouw door een weg, spoorweg of industrieterrein is in ieder geval aanvaardbaar als dit niet hoger is dan de standaardwaarde uit tabel 5.78t uit het Bkl. Ook moet de aanvaardbaarheid van het gecumuleerde geluid op een geluidgevoelig gebouw moeten worden beoordeeld (artikel 5.78s, derde lid jo. 5.78ac Bkl).

Indirecte effecten kunnen worden veroorzaakt door een toename van de verkeersintensiteit veroorzaakt op een weg of spoorweg. De indirecte effecten vanwege veranderend verkeer hoeven alleen te worden beoordeeld voor gemeentewegen en waterschapswegen met een wat hogere verkeersintensiteit.

Toetsing

De ontwikkeling betreft het toelaten van één nieuw geluidgevoelig gebouw met een woonfunctie buiten het geluidaandachtsgebied van een weg of spoorweg. In het kader van ETFAL dient aangetoond te worden dat de ontwikkeling in overeenstemming is met de instructieregels uit het Besluit kwaliteit leefomgeving (Bkl) en dat het geluid aanvaardbaar is, ondanks dat het plangebied niet is gelegen in een geluidszone van een weg. De Grootestraat en de Ringdijk / Maasdijk zijn beide 30-km/ uurwegen, met een verkeersintensiteit van respectievelijk 650 en 1.170 motorvoertuigen per etmaal. Dit is ruim beneden de noodzakelijkheidsgrens voor een nader akoestisch onderzoek.

Op basis hiervan kan gesteld worden dat er voor wat betreft wegverkeerslawaai in het plangebied sprake van een goed woon- en leefklimaat.

4.3.2 Industrielawaai

In de omgeving van het planbied zijn geen (relevante) bedrijven gelegen. Direct rondom het plangebied liggen alleen woningen. Achter de dijk (noordwestelijk ten opzichte van de planlocatie) lag voorheen een agrarisch bedrijf. Dat is niet meer als zodanig in gebruik en vormt daarmee ook geen belemmering meer.

 

Er is dus geen sprake van functies die wat betreft

geluidshinder een belemmering vormen voor de ontwikkeling. Omgekeerd vormt ook de ontwikkeling geen belemmering voor andere functies.

4.3.3 Rail- of luchtverkeerslawaai

Er is geen onderzoek naar rail- en luchtverkeerslawaai uitgevoerd, omdat de ontwikkeling niet is gelegen in de geluidszone van een spoorweg of aanvliegroute van een vliegveld. Onderzoek hiernaar is derhalve niet nodig.

 

Het aspect Geluid vormt geen belemmering voor onderhavige ontwikkeling.

4.4 Bedrijven en milieuzonering

Bij planontwikkeling moet rekening worden gehouden met de aanwezigheid van bedrijven in de omgeving. Om hinder of gevaar voor toekomstige bewoners te voorkomen, worden richtafstanden gehanteerd voor milieubelastende activiteiten ten opzichte van milieugevoelige functies zoals woningen, als opgenomen in de VNG-publicatie "Bedrijven en Milieuzonering". Andersom dient ook

rekening te worden gehouden met de bedrijfsvoering en milieuruimte van bedrijven.

Toetsing

Het betreft hier de ontwikkeling van één nieuwe woning, een milieugevoelige bestemming. In de directe nabijheid van het plangebied zijn geen bedrijven gevestigd. In de directe context zijn slechts woningen te vinden. De contour vanwege het ten noordwesten van het plangebied gelegen (inmiddels voormalige) agrarisch bedrijf is inmiddels niet meer planologisch relevant.

Op iets grotere afstand liggen de volgende bedrijven:

  • meer dan 200 meter noordelijk, Touwslagersbaan 5 Batenburg: rietdekkersbedrijf;
  • meer dan 800 noordoostelijk, Molendijk 17 Batenburg: antiekhandel. Middels een planologische procedure is hier inmiddels sprake van een woonfunctie;
  • meer dan 800 meter zuidoostelijk en zuidwestelijk, in Demen, verschillende categorie 1 en 2 bedrijven;
  • meer dan 850 meter, in Dieden, timmerbedrijf, categorie 2;
  • meer dan 1.200 meter zuidelijk, in Demen, niet-agrarisch hulpbedrijf en agrarisch verwant bedrijf; categorie maximaal 3.2;
  • overige bedrijven op meer dan 2.000 meter afstand.

Alle genoemde bedrijven liggen op meer dan 200 meter afstand van de planlocatie. De maximale bedrijfscategorie is 3.2. Daarbij hoort een maximale richtafstand van 200 meter.

Het aspect bedrijven en milieuzonering vormt derhalve geen belemmering voor onderhavige

ontwikkeling of andersom, de ontwikkeling vormt geen belemmering voor bedrijvigheid.

4.5 Spuitzone gewasbescherming

Op agrarische percelen kan sprake zijn van het gebruik van gewasbeschermingsmiddelen. Het College voor de toelating van gewasbeschermingsmiddelen en biociden (Ctgb) beoordeelt of gewasbeschermingsmiddelen en biociden veilig zijn voor mens, dier en milieu voordat ze worden toegelaten. Dat betekent echter niet dat nadelige gezondheidseffecten voor omwonenden volledig kunnen worden uitgesloten. Er zijn nog veel onduidelijkheden over de mogelijke relatie tussen blootstelling aan gewasbeschermingsmiddelen en de kans op gezondheidsschade.

Op grond van het Bkl gelden weliswaar geen specifieke instructieregels, maar bij de evenwichtige toedeling van functies aan locaties moet in elk geval rekening worden gehouden met het belang van de volksgezondheid. In dat kader dienen ook de mogelijke gezondheidsgevolgen door het gebruik van gewasbeschermingsmiddelen te worden beoordeeld.

Uit vaste rechtspraak van de Afdeling bestuursrechtspraak van de Raad van State volgt dat een afstand van 50 meter tussen gevoelige functies (zoals woningen) en agrarische gronden waar gewasbeschermingsmiddelen kunnen worden gebruikt, niet onredelijk wordt geacht. Uit diezelfde jurisprudentie volgt dat het mogelijk is om deze afstand te verkleinen indien daaraan een deugdelijke, locatiespecifieke motivering ten grondslag ligt. Bij deze locatiespecifieke beoordeling dient niet alleen te worden gekeken naar het bestaande, feitelijke gebruik van de agrarische gronden. Uitgangspunt vormen de maximale mogelijkheden (rekening houdend met eventuele omschakeling naar andere teeltvormen en intensivering van het gebruik van gewasbeschermingsmiddelen).

Bij nieuwe ruimtelijke ontwikkelingen moet dus - indien relevant - beoordeeld worden of sprake is van een spuitzone ten gevolge van het gebruik van gewasbeschermingsmiddelen of dat er sprake is van belemmeringen ten aanzien van de gewasbestrijding vanwege het initiatief.

Toetsing

Aan de zuidwestelijke zijde van het plangebied ligt parallel aan de Ringdijk een strook grond die de bestemming agrarisch heeft. In theorie heeft deze zone een richtafstand / beschermingszone van 50 meter tot de gevoelige functie. Omdat deze strook tevens een waterkerende functie heeft (grastalud van de waterkering / dijk) is dit slechts een theoretische situatie. In het kader van voorliggende ontwikkeling is er contact gezocht met de eigenaar van deze gronden. Dit is het hoogheemraadschap. Dit is geen agrarisch bedrijf. Aangezien de gronden vanuit waterkeringsperspectief worden beschermd, mag er niets worden verbouwd. Derhalve wordt er - aldus de eigenaar - ook niet gespoten. Deze zone vormt dus, ondanks dat zij binnen 50 meter afstand ligt, geen belemmering.

Ten zuidwesten van de planlocatie liggen, parallel aan de Ringdijk en parallel aan en ten zuiden van de hierboven besproken zones, gronden waarvoor een overgangssituatie geldt. In het recent vastgestelde omgevingsplan De Lymen hebben deze gronden de bestemming Natuur, maar in het vorige bestemmingsplan hadden deze gronden de bestemming agrarisch.

 

Met de eigenaar van deze gronden is contact gezocht. Dit is de vereniging Natuurmonumenten. De bedoeling is dat deze gronden op korte termijn feitelijk worden omgezet naar natuurgebied. Daar is spuiten verboden en ook niet gewenst (aldus de eigenaar). Totdat de plannen definitief zijn, heeft de eigenaar de gronden nog verpacht aan een agrariër. Deze maakt nog gebruik van de gronden (inclusief de mogelijkheid tot spuiten) tot uiterlijk de afloop van het pachtcontract (jaarlijks). Derhalve is er sprake van een spuitzone die op korte termijn zal vervallen.

 

De vraag is of er daadwerkelijk wordt gespoten en of dit spuiten dan ook daadwerkelijk negatieve consequenties heeft voor het plangebied. Het plangebied ligt namelijk direct achter de Ringdijk. Deze fungeert als windopdrijvend element. Echter: gezien het feit dat er in de nabije toekomst geheel niet meer mag worden gespoten, is er geen sprake van een belemmering voor het plan vanwege dit punt.

 

Het planvoornemen brengt geen beperkingen met zich mee in de vorm van noodzakelijke extra afstanden / spuitvrije zones over de omringende agrarische gronden. Uitbreiding van de gewasbestrijding is in de huidige situatie namelijk al niet mogelijk vanwege de aanwezige woningen aan de Parallelweg. De nieuwe woning komt niet dichter op de agrarische gronden te liggen dan de bestaande.

 

Het aspect Spuitzone gewasbescherming vormt derhalve geen belemmering voor onderhavige

ontwikkeling of andersom, de ontwikkeling vormt geen belemmering voor de agrarische functie.

4.6 Luchtkwaliteit

Wettelijk kader

Hoofdstuk 5 van het Bkl bevat in paragraaf 5.1.4.1 instructieregels voor de kwaliteit van de buitenlucht. In het kader van het beschermen van de gezondheid en het milieu dient rekening te worden gehouden met de kwaliteit van de buitenlucht. Bij het toelaten van een nieuwe ontwikkeling moet in een aantal situaties worden getoetst aan omgevingswaarden voor lucht. De geldt vooral in de zogenoemde aandachtsgebieden. Aandachtsgebieden zijn locaties met hogere concentraties stikstofdioxide (NO2) of fijnstof (PM10). Daarnaast dient voor een milieubelastende activiteit, het aanleggen van een wegtunnel, autoweg of een autosnelweg de luchtkwaliteit beoordeeld te worden.

Onderzoek is niet nodig als de activiteit niet in betekenende mate bijdraagt aan een verslechtering van de luchtkwaliteit. Dit is het geval als activiteiten leiden tot een verhoging van de kalenderjaargemiddelde concentratie in de buitenlucht van zowel stikstofdioxide als PM10 van 1,2 Rg/m³ of minder. Daarnaast zijn in artikel 5.54 Bkl standaardactiviteiten genoemd die niet in betekenende mate bijdragen. Als een activiteit niet in betekenende mate bijdraagt aan een verslechtering van de luchtkwaliteit, dan vormt het omgevingsaspect luchtkwaliteit geen belemmering.

In de Regeling NIBM is een lijst met categorieën van gevallen (inrichtingen, infrastructuur, kantoor- en woningbouwlocaties en activiteiten of handelingen) opgenomen die niet in betekenende mate bijdragen aan de luchtverontreiniging. Deze gevallen kunnen zonder toetsing aan de

grenswaarden voor het aspect luchtkwaliteit uitgevoerd worden. Voor woningen wordt hierbij een

ondergrens van 1500 woningen aangehouden, voor locaties waarbij sprake is van één

ontsluitingsweg.

Onderzoek plangebied

Met de realisatie van slechts één woning, valt het voornemen ruim buiten het toepassingsbereik.

Ook is de gemeente Wijchen niet aangewezen als aandachtsgebied voor stikstofdioxide en fijnstof. Een toets aan de omgevingswaarden voor de luchtkwaliteit is derhalve niet noodzakelijk.

In het kader van een evenwichtige toedeling van functies aan locaties dient een afweging van de luchtkwaliteit ter plaatse van de beoogde ontwikkeling plaats te vinden. De actuele (2023)concentratie van luchtverontreinigende stoffen ter plaatse is als volgt:

NO2: 10 -12 g/m3;

PM10: 15 - 16 g/m3;

PM2,5: 8 - 9 g/m3.

De jaargemiddelde concentraties stikstofdioxide en fijnstof liggen onder de toekomstige EU-grenswaarden. Er wordt zelfs voldaan aan de WHO-advieswaarden.

De grenswaarden zijn niet in het geding.

De luchtkwaliteit ter plaatse van de planlocatie is aanvaardbaar. Nader onderzoek is niet nodig. Er zijn geen aanvullende maatregelen nodig en het opstellen van aanvullende planregels is niet noodzakelijk om te voldoen aan de ETFAL en de instructieregels. Ook is er sprake van een aanvaardbaar woon- en leefklimaat.

4.7 Geurhinder

In het omgevingsplan moet rekening worden gehouden met de geur door activiteiten op geurgevoelige gebouwen. Dit volgt uit artikel 5.92 lid 1 van het Besluit kwaliteit leefomgeving (Bkl). Dit is een invulling van een plicht die al geldt vanuit de Omgevingswet. In de Omgevingswet staat dat de overheid bij een evenwichtige toedeling van functies aan locaties in ieder geval rekening moet houden met het belang van het beschermen van de gezondheid (artikel 2.1 lid 4 Omgevingswet).

 

Hierbij moet de gemeente rekening houden met de lokale specifieke omstandigheden en de gevolgen van de activiteiten voor de gezondheid van haar burgers (artikel 2.1 en 2.4 Omgevingswet).

Een geurgevoelig gebouw is in ieder geval een gebouw of een gedeelte van een gebouw met een woonfunctie, onderwijsfunctie, gezondheidszorgfunctie, bijeenkomstfunctie voor kinderopvang.

Er wordt onderscheid gemaakt tussen geurnormen voor intensieve en extensieve veehouderijen. De geurbelasting van intensieve veehouderijen wordt berekend en uitgedrukt in de vorm van een geurcontour. De geurbelasting van extensieve veehouderijen wordt uitgedrukt in vaste afstanden.

Bij afwijkingen van het omgevingsplan dient verantwoording te worden afgelegd van de mate waarin er sprake is van geurhinder vanwege veehouderijen. Ruimtelijke ontwikkelingen binnen

geurcontouren zijn eventueel mogelijk, op voorwaarde dat er sprake is van een evenwichtige toedeling van functies aan locaties en een aanvaardbaar woon- en leefklimaat kan worden gerealiseerd.

Onderzoek plangebied

Met de beoogde ontwikkeling wordt één extra geurgevoelig gebouw mogelijk gemaakt. De planlocatie ligt niet in de vastgestelde geurcontour van een (intensieve) veehouderij. In de nabije omgeving (een straal van twee kilometer) van het plangebied zijn de volgende actieve veehouderijen aanwezig:

 

Hoefweg 5 (ca. 700 meter)

Wethouder Bankenstraat 6 (ca. 1300 meter)

Laaksestraat 7 (ca. 1380 meter)

Wethouder Bankenstraat 8 (ca. 1450 meter)

Wethouder Bankenstraat 20 (ca. 1700 meter)

Bergharensestraat 1 (ca. 2000 meter)

Liendensestraat 4 (ca. 2200 meter)

Voor het overige liggen de veehouderijen dus op (veel) grotere afstand dan twee kilometer van het plangebied.

 

De afstand tussen de planlocatie en de dichtstbijzijnde veehouderij is dus minimaal 700 meter. Dat is (zeer) ruim buiten de algemeen aanvaarde en toegepaste richtafstanden van de VNG (200 meter). De overige bedrijven liggen nog veel verder van het plangebied. Het dichtstbijzijnde bedrijf is dus gelegen aan de Hoefweg 5. Dit is ook nog eens noordoostelijk van het plangebied. Dit betekent dat de overheersende windrichting (in Nederland: zuidwest) gunstig uitpakt en een eventuele geurhinder vermindert.

Conclusie

De geurbelasting op het plangebied is aanvaardbaar. Er zijn geen aanvullende maatregelen nodig en het opstellen van aanvullende planregels is niet noodzakelijk om te voldoen aan de ETFAL en de instructieregels/verordening.

4.8 Omgevingsveiligheid

Omgevingsveiligheid omvat de risico's die ontstaan als gevolg van opslag, productie, gebruik en vervoer van gevaarlijke stoffen en windturbines. Voor externe veiligheidsrisico's zijn regels opgenomen in paragraaf 5.1.2 van het Besluit kwaliteit leefomgeving (Bkl). De paragrafen 5.1.2.2 tot en met 5.1.2.6 van het Bkl gaan over het toelaten van beperkt kwetsbare, kwetsbare en zeer kwetsbare gebouwen en beperkt kwetsbare en kwetsbare locaties in verband met het externe veiligheidsrisico van een activiteit die op een locatie is toegelaten op grond van een omgevingsplan.

Verder dient op grond van artikel 5.2 van het Bkl voor de risico's van branden, rampen en crises als bedoeld in artikel 10, onder a en b, van de Wet veiligheidsregio's, rekening te worden gehouden met het belang van:

  • het voorkomen, beperken en bestrijden daarvan;
  • de mogelijkheden voor personen om zich daarbij in veiligheid te brengen;
  • de geneeskundige hulpverlening, bedoeld in artikel 1 van die wet.

Beleidsvisie Gemeente Wijchen

Door de gemeente Wijchen is in 2016 de “Beleidsvisie Externe Veiligheid” vastgesteld. In deze beleidsvisie is onder meer vastgelegd op welke wijze het plaatsgebonden en groepsrisico verantwoord moet worden.

 

Het plaatsgebonden risico (PR) is de kans dat een persoon die zich gedurende een jaar onafgebroken onbeschermd op een bepaalde plaats bevindt, overlijdt als gevolg van een ongeval met

gevaarlijke stoffen. Dit risico wordt per bedrijf en transportas vastgelegd in contouren. Er geldt een contour waarbinnen deze kans 1x10-6 (één op de miljoen) bedraagt.

Het groepsrisico (GR) is een berekening van de kans dat een groep personen binnen een bepaald

gebied overlijdt ten gevolge van een ongeval met gevaarlijke stoffen. De oriëntatiewaarde geeft hierbij de indicatie van een aanvaardbaar groepsrisico.

Vanuit de beleidsvisie van de gemeente Wijchen geldt hoe dichter bij de risicobron en hoe kwetsbaarder het object, hoe zwaarder de verantwoordingsplicht wordt:

  • Voor kwetsbare objecten (i.c. een woning) binnen een afstand van 200 tot 1500 meter van een spoor, rijksweg, provinciale of gemeentelijke weg geldt een standaardverantwoording.
  • Voor objecten binnen een afstand van 90 tot 1000 meter van de Maas geldt een standaardverantwoording.
  • Op grotere afstand dan 150 meter vanaf de PR 10-6 contour van LPG-tankstations of buiten de 1%-letaliteitscontour van overige Bevi-inrichtingen is geen verantwoording nodig.

Onderzoek plangebied

De dichtstbijzijnde contour van een gasopslagtank bevindt zich op het adres Hoefweg 9, gelegen op ruim 700 meter afstand.

Op ca. 1400 meter afstand ligt de grens van een brandaandachtsgebied vanwege een hogedrukgasleiding noordelijk ten opzichte van het plangebied.

Het plangebied ligt net buiten het explosieaandachtsgebied, maar net binnen het gifwolkaandachtsgebied. Deze aandachtsgebieden hebben te maken met eventuele calamiteiten die met het vervoer van gevaarlijke stoffen over de Maas plaats kunnen vinden.

Het plangebied bevindt zich dus over het algemeen op grote afstand van risicobronnen, behalve waar het de gifwolk betreft.

Om bovenstaande reden wordt conform de Beleidsvisie externe veiligheid een standaardverantwoording toegepast, met aandacht voor de gifgaswolk.

Ontwikkeling groepsrisico

Allereerst is de toename van de personendichtheid beperkt. Er zal hooguit sprake zijn van de toename met één huishouden.

Daarnaast zijn de afstanden tot de risicobronnen groot. Het groepsrisico zal daarom niet significant toenemen.

Daarnaast is de zelfredzaamheid van de nieuwe personen in geval van een calamiteit goed. De mate waarin deze bouwwerken afsluitbaar zijn tegen de indringing van toxisch gas en de tijdsduur dat deze bouwwerken worden blootgesteld zijn hierbij parameters. Nieuwe bouwwerken zijn goed geïsoleerd, waardoor ze een goede bescherming bieden tegen het binnendringen van het toxisch gas. Belangrijk is wel dat luchtbehandelingsinstallaties met één druk op de knop uit te schakelen zijn. Dit is echter niet af te dwingen in voorliggende planologische procedure. Daarnaast dient in geval van een calamiteit tijdig gewaarschuwd te worden. Dit gebeurt door het in werking stellen van NL-Alert en het Waarschuwing en Alarmering Systeem (WAS) als onderdeel van de algemene Rampenbestrijding.

4.9 Trillingen

In het plangebied is het onderdeel trillingen niet van toepassing. Ook zijn er geen relevante omgevingsaspecten of -invloeden op dit punt.

4.10 Waterparagraaf

Een ontwikkeling moet ook worden getoetst aan de instructies van de omgevingsverordening van het waterschap en de provincie. De locatie ligt in het beheergebied van Waterschap Rivierenland. De gemeente of initiatiefnemer is verantwoordelijk voor het opstellen van de uitwerking, mogelijke effecten en de te nemen maatregelen om aan te tonen dat wordt voldaan aan de normen. Gemeenten kunnen strengere normen opnemen in het omgevingsplan. Dit is altijd maatwerk en gebiedsafhankelijk.

Bij een afwijking van het omgevingsplan wordt rekening gehouden met de gevolgen voor het beheer van watersystemen en dienen voor het waterbelang de opvattingen van de waterbeheerder te worden betrokken. Dit geldt in het algemeen voor alle waterbelangen.

Voorbeelden zijn:

  • watercompensatie in verband met toenemende verharding;
  • waterkwaliteit, bebouwing niet wenselijk in verband met waterwinning;
  • bebouwing in werkingsgebieden van keringen en andere waterstaatswerken;
  • waterketen, relatie met de afvoer van afvalwater, (industriële) lozingen en of lozing oppervlaktewater.

Voor een aantal specifieke rijksbelangen stelt het Bkl aanvullende instructieregels. Deze zijn:

  • bescherming van primaire waterkeringen (artikel 5.38 Bkl);
  • behoud waterveiligheid kust (artikel 5.40 Bkl);
  • behoud waterveiligheid grote rivieren (artikel 5.46 Bkl);
  • IJsselmeergebied (artikel 5.49 Bkl).

Watertoets

De watertoets is bedoeld om ruimtelijke plannen en besluiten meer waterbestendig te maken, doordat waterbelangen van gemeente, waterschap en eventueel andere waterbeheerders vroegtijdig en expliciet worden meegewogen. In het ruimtelijk plan moet voldoende rekening zijn gehouden met de waterhuishouding en -voorzieningen.

Waterparagraaf

De waterparagraaf beschrijft de wijze waarop rekening is gehouden met de eventuele gevolgen van het ruimtelijk plan voor de waterhuishouding en vice versa. Onderdeel hiervan is een beschrijving van beleidsuitgangspunten en regelgeving, waterhuishoudkundige situatie en –opgaven, meest geschikte oplossingen (motiveren) en de ruimtelijke consequenties daarvan. In de waterparagraaf is tevens het advies van de waterbeheerder verwerkt.

Beleid
Volgens het waterschap (Waterschap Rivierenland, 22 oktober 2023) dient hemelwater op eigen terrein te worden geïnfiltreerd, tenzij dit technisch niet mogelijk is. Afvalwater dient gescheiden te worden afgevoerd naar het gemeentelijke riool. Bij woningbouw dient in de planvorming rekening te worden gehouden met klimaatadaptatie en robuuste waterinrichting. Het waterschap eist dat nieuwe ontwikkelingen geen extra belasting op het oppervlaktewater of het rioolstelsel veroorzaken.


Toetsing

Voor het woningbouwproject aan de Parallelweg te Batenburg is een separate Waterparagraaf opgesteld (Bijlage 3). Deze waterparagraaf voldoet aan de eisen van het Waterschap Rivierenland.

In het plangebied zal er in de toekomst meer worden verhard dan in de huidige situatie. Daarom is in principe infiltratie ter plaatse vereist. Omdat het plangebied in de nabijheid ligt van een primaire waterkering en in de beschermingszone ervan, is de situatie hier echter anders. Allereerst heeft er onderzoek plaatsgevonden naar de infiltratiemogelijkheden, (Bijlage 4 'Infiltratie onderzoek, Parallelweg ong. Batenburg', Montferland Milieu B.V. dd. 18-12-2024). Op grond van dit onderzoek wordt geconcludeerd dat het in dit geval niet verstandig is om infiltratie ter plaatse te realiseren. Daarom is er voor gekozen om via het gescheiden rioolstelsel het hemelwater af te voeren. Waterveiligheid gaat in dit geval boven infiltratie, aldus het Waterschap.

4.11 Ecologie

Hoofdstuk 5 van het Bkl bevat geen instructieregels met betrekking tot gebieds- of soortenbescherming. Echter, bij het toelaten van een nieuwe ontwikkeling dient met het oog op een evenwichtige toedeling van functies aan locaties aangetoond te worden dat de ontwikkeling niet evident onuitvoerbaar is. Daarom zijn de effecten van de ontwikkeling op flora en fauna onderzocht. Het toelaten van een nieuwe ontwikkeling kan immers hinder en schade opleveren voor bepaalde soorten.

Gebiedsbescherming

Er zijn gebieden in Nederland die voor flora en fauna van groot belang zijn. Dit zijn de Natura 2000-gebieden, Natuurnetwerk Nederland-gebieden en andere bijzondere natuurgebieden en landschappen. Hiermee moet bij ruimtelijke ontwikkelingen rekening worden gehouden. Bij de beoordeling kan blijken dat sprake is van Natura 2000-activiteiten: dit zijn activiteiten die significant nadelige gevolgen kunnen hebben voor een Natura 2000-gebied. Deze zijn meestal vergunningplichtig. Wanneer hiervan sprake is dienen deze direct te worden aangevraagd om vroegtijdig te kunnen beoordelen of er sprake is van een Evenwichtige Toedeling Van Functies Aan Locaties.

Soortenbescherming

Het uitgangspunt bij ruimtelijke ontwikkelingen is dat beschermde planten- en diersoorten geen schade mogen ondervinden. Voor het uitvoeren van werkzaamheden is het niet altijd nodig een vrijstelling of een ontheffing aan te vragen. Voor o.a. reguliere werkzaamheden of ruimtelijke ontwikkelingen, zoals de bouw van woningen, geldt de volgende vrijstellingsregeling:

  • een algemene vrijstelling voor algemene

soorten;

  • een vrijstelling voor beschermde soorten en vogels op voorwaarden, dat gehandeld wordt volgens een door het Ministerie van Economische Zaken, Landbouw en Innovatie goedgekeurde gedragscode.

Wanneer het onmogelijk is schade aan streng beschermde planten en dieren tijdens ruimtelijke ontwikkelingen en inrichting te voorkomen, moet altijd een ontheffing worden aangevraagd bij de provincie. De voorwaarden verbonden aan een vrijstelling of een ontheffing zijn afhankelijk van de status van de planten- en diersoorten die in het plangebied voorkomen.

Toetsing

Om aan te tonen of de beoogde ontwikkeling invloed heeft op flora en fauna is een quickscan uitgevoerd (Bijlage 5, 'QuickScan flora en fauna, Parallelweg (Perceel 8), Batenburg', BNL Advies, dd. 3 februari 2025).

Gebiedsbescherming

Het dichtstbijzijnde Natura 2000 gebied is 'Rijntakken', dat ongeveer 8,6 km van het plangebied verwijderd is. Door de aard van de grondgebonden activiteiten (diverse activiteiten op de bestaande kavel en de afstand en inrichting van het tussenliggende gebied), is het optreden van externe storingsfactoren door de grondgebonden activiteiten op het dichtstbijzijnde Natura 2000 gebieden in de gebruiksfase uit te sluiten.

De werkzaamheden zullen geen nadelige effecten hebben op het gebied in de vorm van trillingen, geluid, of optische verstoring. Voor het (mogelijke) effect van stikstofdepositie van de werkzaamheden op het Natura 2000 gebied kan een Aerius berekening uitgevoerd worden.

Soortenbescherming
Uit de QuickScan Flora en Fauna (BNL Advies, 3 februari 2025) blijkt dat het plangebied niet wordt aangemerkt als habitat voor strikt beschermde soorten. Binnen het gebied zijn geen vaste rust- of verblijfplaatsen aangetroffen van vleermuizen, dassen, marterachtigen, eekhoorns of andere nationaal beschermde grondgebonden zoogdieren. Ook voor reptielen, vissen, vaatplanten en ongewervelden zijn er geen geschikte habitatkenmerken aanwezig. Voor vogels geldt dat er tijdens het veldonderzoek geen jaarrond beschermde nesten zijn gevonden, noch categorie 5-nesten. De aanwezige bomen zijn mogelijk in trek bij broedvogels, waardoor werkzaamheden buiten het broedseizoen (15 maart – 15 augustus) moeten plaatsvinden.

 

Hieronder is een tabel opgenomen uit de rapportage, waarin specifieke zorgplicht is weergegeven voor een aantal soorten.

afbeelding "i_NL.IMRO.0296.TAMPARALLELWEG2-OW01_0009.png"

Stikstof
Hoewel het plangebied op enige afstand van Natura 2000-gebieden ligt, kunnen tijdelijke emissies tijdens de aanlegfase mogelijk een bijdrage leveren aan stikstofdepositie. Om dit uit te sluiten wordt aanbevolen om een AERIUS-berekening uit te voeren. Structurele of significante effecten worden echter niet verwacht, waardoor stikstof geen doorslaggevend knelpunt zal vormen. Daarnaast kent het beleid van de gemeente Wijchen een drempelwaarde ten aanzien van stikstofdepositieberekeningen. Het realiseren van één woning valt binnen deze drempel. Derhalve is een stikstofdepositieberekening in dit geval niet nodig.

Concluderend ecologie

Het project heeft geen significante negatieve ecologische effecten. Er is geen nader onderzoek of vergunning vereist, mits gewerkt wordt volgens de zorgplicht. Ecologie vormt geen belemmering voor de uitvoering van het plan. Wel wordt geadviseerd natuur-inclusieve maatregelen te integreren in het ontwerp (zie Bijlage 6).

4.12 Landschap

Omdat het plangebied in bestaand stedelijk gebied ligt, zijn er relatief weinig aspecten die betrekking hebben op landschap. Tegelijkertijd is er sprake van een gevoelige situatie. Daarom is een compact landschapsplan opgesteld. Dit is te vinden in Bijlage 7. Zie onderstaande afbeelding.

afbeelding "i_NL.IMRO.0296.TAMPARALLELWEG2-OW01_0010.png"

4.13 Archeologie en cultuurhistorie

Onder cultureel erfgoed valt onder andere archeologie, cultuurhistorie, monumenten, karakteristieke panden, beschermde gezichten, monumentale bomen en landschap. Voorafgaand aan de uitvoering van plannen onderzoek moet worden gedaan naar de aanwezigheid van waarden en daar in de ontwikkeling van plannen zoveel mogelijk rekening mee te houden. De essentie van deze wetgeving is behoud van archeologische resten zoveel mogelijk in de bodem en de bescherming van het cultureel erfgoed en landschap.

Zo zijn er in het Bkl ten aanzien van de bescherming een aantal beginselen geformuleerd (art. 5.130 Bkl). Deze beginselen richten zich op de omgang met monumenten die op grond van het omgevingsplan zijn beschermd, archeologische monumenten, (voorbeschermde) rijksmonumenten, beschermde stads- en dorpsgezichten en beschermde cultuurlandschappen. Daarnaast zijn in afdeling 8.8 van het Bkl regels gesteld voor de beoordeling van rijksmonumentenactiviteit en het verplaatsen van gebouwde monumenten.

 

De archeologische verwachting wordt in eerste instantie vastgesteld op basis van bureauonderzoek. Afhankelijk van de uitkomst daarvan kan aanvullend veldonderzoek noodzakelijk zijn, zoals een booronderzoek (inventariserend veldonderzoek – karterende fase), proefsleuvenonderzoek of opgraving. Het doel is steeds om vast te stellen of zich binnen het plangebied archeologische resten bevinden die mogelijk behouden moeten worden.

De belangrijkste uitgangspunten van de wet zijn:

  • archeologische waarden moeten zo veel mogelijk in de bodem (in situ) worden bewaard;
  • archeologie moet tijdig worden meegenomen in de ruimtelijke planvorming;
  • de veroorzaker betaalt de kosten van archeologisch onderzoek en noodzakelijke volwaardige opgravingen, voor zover die kosten redelijkerwijs kunnen worden toegerekend aan de verstoorder.

Toetsing

Beschermd stadsgezicht

Met het ter plaatse geldende beschermd stadsgezicht is rekening gehouden door de regels voor de ontwikkeling. Zo blijft de kavelstructuur zichtbaar en afleesbaar door bebouwingsafstanden tot de zijdelingse erfgrenzen. Ook is de korrel en hoogte van de bebouwing ingepast in de context.

Archeologie
Ter plaatse van het plangebied geldt een archeologische verwachting die bepaalt dat

bij bodemingrepen dieper dan 30 centimeter en groter dan 120 m2 een onderzoek is vereist. Dit onderzoek is uitgevoerd, zie Bijlage 8 ('Archeologisch Inventariserend Veldonderzoek, karterende fase (booronderzoek) Parallelweg te Batenburg Gemeente Wijchen' KSP Archeologie, dd. 25 februari 2025).

 

Ter plaatse van het gehele plangebied zijn dikke ophogingslagen aangetroffen die bestaan uit humeuze grond met stadsafval, afkomstig uit de historische kern van Batenburg. In de diepere bodemlagen (zoals oever- en komafzettingen en beddingzand van de Maas) zijn geen aanwijzingen gevonden voor bodemvorming of bewoning. In boring 3 werd een fragment Steengoed uit de periode 1400–1600 aangetroffen, maar dit wordt beschouwd als onderdeel van het ophogingspakket en niet als indicator van een vindplaats.

Op basis van deze resultaten is de eerder gestelde middelhoge verwachting bijgesteld naar laag. De kans op archeologische resten binnen het plangebied wordt als gering ingeschat. Er zijn geen aanwijzingen gevonden voor een archeologische vindplaats of een intact potentieel niveau. KSP Archeologie adviseert daarom om geen vervolgonderzoek uit te voeren. Dit advies is op 25 februari 2025 overgenomen door de archeologisch beleidsadviseur van de gemeente Wijchen en middels een selectiebesluit bevestigd (zie Bijlage 9).

4.14 Leidingen

Het plangebied is reeds langer dan een eeuw in particulier bezit. Binnen het plangebied liggen geen leidingen. Alleen in de omliggende wegen (Parallelweg) en deels in de Ringdijk liggen leidingen.

4.15 Duurzaamheid

Het duurzaamheidsbeleid van de gemeente is gericht op ontwikkelingen die in zichzelf duurzaam zijn en voor de context duurzaam van waarde.

 

In de aanloop naar voorliggende procedure heeft de gemeente reeds aan initiatiefnemer gevraagd om aan te geven op welke wijze hieraan wordt voldaan. Daarvoor is een beknopte rapportage opgesteld. Deze gaat in op de verschillende van toepassing zijnde duurzaamheidsaspecten. Deze rapportage is te vinden in Bijlage 6.

4.16 Gezondheid

In de ruimtelijke ordening is gezondheid steeds meer een thema. Er is echter geen specifieke

wet- en regelgeving danwel beleidskader voor het meenemen van het aspect gezondheid in

bestemmingsplannen of andere ruimtelijke besluiten. Van belang is dat een ruimtelijk besluit voldoet aan een goede ruimtelijke ordening.

Aspecten die nog niet aan bod zijn gekomen, maar mogelijk wel van invloed zijn op de gezondheid van mens, dier en natuur komen in deze paragraaf nog aan de orde.

Geitenhouderijen 

Binnen een straal van 2 km rondom het plangebied zijn geen geitenhouderij(en) aanwezig.

Pluimvee- en varkenshouderijen

Binnen 1 km van het plangebied zijn geen pluimveehouderij(en) gelegen. Het plangebied is

niet binnen 200 meter van overige veehouderijen gelegen.

 

Spuitzones

In de omgeving van het plangebied liggen geen gronden waarbij sprake is van een relevante spuitzone (zie ook paragraaf 4.5).

Advisering GGD

De Handreiking veehouderij en volksgezondheid 2.0 (versie mei 2018) bevat een praktisch

stappenplan om te beoordelen of nadere advisering vanuit de GGD wenselijk is. Op basis hiervan kan worden bepaald of er knelpunten aan de orde zijn en nader advies te vragen.

Stap 1 .De ontwikkeling voldoet aan de endotoxine 'richtafstand' tussen een veehouderij en

gevoelige bestemming. GGD-advies is niet aan de orde.

Stap 2. De ontwikkeling leidt niet tot een toename in de emissie voor geur en/ of fijnstof en/ of ammoniak. GGD-advies is niet aan de orde.

Stap 3a. Sprake is van een aanvaardbaar woon- en leefklimaat a.d.h.v. het wettelijk kader voor geur. GGD-advies is niet aan de orde.

Stap 3b. Sprake is van een aanvaardbaar woon- en leefklimaat a.d.h.v. de gezondheidskundige advieswaarde. GGD-advies is niet aan de orde.

Stap 4a+b. Er zijn geen veehouderijen in de buurt waar meer dan één diersoort wordt gehouden. Er zijn geen varkens- en/ of pluimveebedrijven in de buurt waarvan de afstand tussen de inrichtingsgrenzen minder dan 100 meter bedraagt. GGD-advies is niet aan de orde.

Stap 5a. Binnen een afstand van 2 km van nieuwe woon- en verblijfsruimten zijn geen geitenhouderijen gelegen. Binnen een afstand van 1 km van nieuwe woon- en verblijfsruimten zijn geen pluimveebedrijven gelegen. Binnen een afstand van 250m van nieuwe woon- en verblijfsruimten is geen overige veehouderij gelegen. Een GGD-advies is niet aan de orde.

Stap 6. Er is geen sprake van mestverwerking als nevenactiviteit of als zelfstandige activiteit.

Stap 7. Bij omwonenden is geen sprake van ongerustheid over de volksgezondheid.

Er is in verband met onderhavig plan geen aanleiding voor het vragen van een GGD-advies: gezondheid vormt geen belemmering voor onderhavige ontwikkeling.

4.17 Vormvrije MER-beoordeling

In Bijlage V van het Omgevingsbesluit (Ob) is aangegeven welke activiteiten mer-(beoordelings)plichtig zijn. Activiteiten die zijn genoemd in kolom 1 zijn mer-plichtig als wordt voldaan aan de drempelwaarden uit kolom 2 en mer-beoordelingsplichtig in gevallen als genoemd in kolom 3. In kolom 4 staat aangegeven bij welk besluit de mer-(beoordelings)plicht geldt.

Of voor een project een mer (beoordeling) nodig is, wordt onder andere bepaald door het antwoord op de vraag of het planvoornemen een zogenaamde 'stedelijke ontwikkeling' is, zoals bedoeld in kolom 1 van categorie 11.2 van onderdeel D van de bijlage bij het Besluit m.e.r. Op grond van jurisprudentie (201901439/1/R1) is een stedelijke ontwikkeling gedefinieerd als 'omvang groter dan 12 woningen' en 'het ruimtebeslag beperkt'.

Voor mer-beoordelingsplichtige activiteiten moet worden onderzocht of deze aanzienlijke milieueffecten kunnen hebben. De criteria om dit vast te stellen zijn genoemd in bijlage III van Richtlijn 2011/92/EU (richtlijn m.e.r.). Samengevat zijn dit de kenmerken van een plan, de locatie van een plan en soort en kenmerken van de verschillende milieueffecten.

Toetsing

In onderhavig geval is er sprake van het bouwen van één woning. Op grond van Bijlage C en D en de vigerende jurisprudentie kan worden gesteld dat het voornemen daarom niet m.e.r.-beoordelingsplichtig is.

Daarnaast zijn significant nadelige milieugevolgen uitgesloten, zoals is onderbouwd in voorliggende motivering.

Hoofdstuk 5 Juridisch-bestuurlijke aspecten

5.1 Inleiding

Navolgende paragraaf geeft juridisch-bestuurlijk inzicht in de gehanteerde juridische systematiek en de gebruikte regels in het omgevingsplan.

5.2 Juridische systematiek

Dit TAM-omgevingsplan bestaat uit een motivering, regels en een verbeelding. De regels en de

verbeelding tezamen bieden het juridische kader. De opbouw van de regels is standaard en conform gebruikelijk in de gemeente Wijchen.

5.3 Werkingsbereik/toepassingsbereik TAM-Omgevingsplan

Dit TAM-omgevingsplan (hierna: plan) wijzigt het omgevingsplan in die zin dat na hoofdstuk 22 van het omgevingsplan een hoofdstuk 22p wordt ingevoegd, bestaande uit de regels van dit plan.

De hoofdstukken in de regels moeten gelezen worden als paragrafen van hoofdstuk 22a van het omgevingsplan Wijchen.

 

Dit plan komt in het tijdelijke deel van het omgevingsplan. In de regels staat de verhouding tot de rest van het tijdelijke omgevingsplan (zie artikel 1.2 en 1.3).

5.4 Beschrijving per regel

Hoofdstuk 1 Inleidende regels

Artikel 1 Toepassingsbereik

In dit artikel wordt aangegeven hoe voorliggend TAM-omgevingsplan zich verhoudt tot het omgevingsplan Wijchen en het bestemmingsplan Stedelijk Gebied Wijchen.

Artikel 2 Begripsbepalingen

In dit artikel wordt een aantal begrippen verklaard die gebruikt worden in de regels. Een en ander voorkomt dat er bij de uitvoering van het plan onduidelijkheden ontstaan over de uitleg van

bepaalde regelingen.

Artikel 3 Meet- en rekenbepalingen

In dit artikel is een regeling opgenomen waarin bepaald is hoe de voorgeschreven maatvoeringen in het plan gemeten moet worden.

Hoofdstuk 2 Specifieke regels over functies

De regels in verband met de functies kennen een min of meer gelijke opbouw en bestaan in ieder geval uit regels voor functie-, gebruiks- en bouwactiviteiten. Voor enkele functies zijn daarbij bijzondere bepalingen opgenomen en/of maatwerkvoorschriften. Daarnaast is specifiek een aantal activiteiten aangegeven die vergunningplichtig zijn.

Binnen onderhavig plan wordt de volgende bestemming gebruikt:

Artikel 4 Wonen - Beeldbepalend 1

Deze bestemming maakt het mogelijk om de in het plangebied een vrijstaande woning te

bouwen en gebruiken. Tevens geeft dit artikel een aantal specifieke regels binnen deze functie.

Hoofdstuk 3 Algemene regels over functies

Artikel 5 Toepassingsbereik

Dit artikel geeft aan dat de regels binnen onderhavig TAM-omgevingsplan alleen van toepassing zijn voor het bijbehorende plangebied.

Artikel 6 Aanvraagvereisten

Dit artikel geeft aan wanneer een omgevingsvergunning dient te worden aangevraagd en wat daar voor nodig is.

Artikel 7 Anti-dubbeltelregel

Dit artikel bevat bepalingen om te voorkomen dat er strijdige situaties ontstaan of worden vergroot.

Artikel 8 Bouwactiviteit - algemeen

Dit artikel bevat een aantal specifieke beoordelingsregels (i.c. antennemast en een aantal algemene afwijkingen).

Artikel 9 Gebruiksactiviteit - algemeen

Dit artikel bevat een aantal specifieke regels over gebruiksactiviteiten (i.c. verboden gebruik en evenementen).

Artikel 10 Parkeren

Dit artikel bevat een aantal regels over parkeren en laden en lossen.

Artikel 11 Vrijwaringszone - dijk 1

Dit artikel geeft aan dat ter plaatse van de aanduiding 'Vrijwaringszone - dijk 1) in principe niet mag worden gebouwd.

Artikel 12 Vrijwaringszone - dijk 2

Dit artikel geeft aan dat ter plaatse van de aanduiding 'Vrijwaringszone - dijk 2) geldt dat de desbetreffende gronden - naast de andere toegewezen functies - ook een beschermingszone vormen voor de waterkering.

 

Hoofdstuk 4 Regels ter bescherming van waarden en objecten

Artikel 13 Waarde - Archeologie 2

Dit artikel geeft aan dat de desbetreffende gronden - naast de andere toegewezen functies - tevens dienen ter bescherming van archeologische waarden. Het betreft een hoge archeologische verwachting, hetgeen o.a. inhoudt dat nader onderzoek nodig is.

Artikel 14 Waarde - Cultuurhistorisch waardevol gebied

Dit artikel geeft aan dat er sprake is van een cultuurhistorisch waardevol gebied. De regels van dit artikel hebben voorrang op de regels van hoofdstuk 2 en 3.

 

Artikel 15 Waarde - Beschermd stadsgezicht

Dit artikel geeft aan dat er sprake is van een beschermd stadsgezicht. De regels van dit artikel hebben als functie het behoud, beheer en versterking van de cultuurhistorische waarden.

Hoofdstuk 5 Overgangsregels

Artikel 16 Overgangsrecht

In dit artikel is een regeling opgenomen voor bebouwing en gebruik dat al bestond bij het inwerking treden van het plan, maar dat strijdig is met de opgenomen regeling.

Bijlage 1 Beeldkwaliteitsrandvoorwaarden

In deze bijlage zijn de verschillende van toepassing zijnde beeldkwaliteitseisen opgenomen.

Bijlage 2 Culturhistorische waarderingskaart 

In deze bijlage zijn de verschillende van toepassing zijnde cultuurhistorische waarden aangegeven.

Hoofdstuk 6 Economische uitvoerbaarheid

In dit hoofdstuk wordt getoetst of de betreffende ontwikkeling economisch uitvoerbaar is. Dit houdt in dat:

  • 1. de ruimtelijke ontwikkeling niet evident financieel onuitvoerbaar mag zijn en
  • 2. als de ruimtelijke ontwikkeling kostenverhaalplichtige activiteiten omvat, het kostenverhaal verzekerd moet zijn.

Financiële uitvoerbaarheid

De voorgenomen ruimtelijke ontwikkeling betreft de bouw van één woning. De initiatiefnemer is grondeigenaar en verkoopt het perceel en realiseert daarmee deze ruimtelijke ontwikkeling voor eigen rekening en risico. Er zijn middelen beschikbaar voor het voorbereiden van deze verkoop.

 

Kostenverhaal

Wie een woning, bedrijfspand of ander gebouw bouwt of verbouwt, moet hiervoor in veel gevallen een bijdrage betalen aan het bevoegd gezag. Deze bijdrage is onder andere voor de kosten van het opstellen van plannen, het aanleggen van openbare voorzieningen en het inrichten van de openbare ruimte. Dit wordt kostenverhaal genoemd.

De voorgenomen ruimtelijke ontwikkeling bestaat uit het planologisch mogelijk maken van één nieuwe woning. De beoogde ontwikkeling is op grond van artikel 8.13 van het Omgevingsbesluit aangewezen als kostenverhaalplichtige activiteit. Op grond van artikel 13.12 Ow is het verboden kostenverhaalplichtige activiteiten uit te voeren voordat de hiervoor geldende kostenverhaalbijdrages zijn betaald. Dit verbod geldt niet in het geval dat het kostenverhaal is verzekerd.

Dit kan bijvoorbeeld middels het opstellen van een exploitatieplan. In onderhavig geval worden de kosten voor de ontwikkeling geheel door de initiatiefnemer / eigenaar zelf gedragen. Een exploitatieplan (of verhaal van kosten op andere wijze) is dan ook niet vereist.

Met de gemeente zullen middels een op te stellen anterieure overeenkomst zaken als planschade, schade aan publieke zaken en leges worden geregeld.

 

Hieruit volgt dat de ruimtelijke ontwikkeling niet evident economisch onuitvoerbaar is.

Hoofdstuk 7 Maatschappelijke uitvoerbaarheid

7.1 Participatie

In het kader van de Omgevingswet heeft participatie plaatsgevonden. De om het plangebied liggende bewoners zijn uitgenodigd op een informatieavond en hebben vragen kunnen stellen en opmerkingen kunnen maken. Dit heeft niet geleid tot aanpassingen van het plan.

 

Het verslag van de bijeenkomst is te vinden in Bijlage 10.

7.2 Vooroverleg

In het kader van Vooroverleg heeft er afstemming plaatsgevonden met het waterschap en de eigenaren van omliggende agrarische en natuurgronden. Dit heeft geleid tot kleine planaanpassingen en vooral tekstuele wijzigingen in voorliggende motivering.

7.3 Bezwaar

Het TAM-omgevingsplan met alle bijlagen en stukken zal - na besluitvorming in het College van B en W - gedurende zes weken ter inzage worden gelegd. Een ieder belanghebbende is dan in de gelegenheid om bezwaar tegen het besluit aan te tekenen.

Hoofdstuk 8 Evenwichtige toedeling van functies aan locaties

In dit hoofdstuk wordt gemotiveerd of er sprake is van een evenwichtige toedeling van functies aan locaties. Een evenwichtige toedeling van functies aan locaties betekent dat er balans bestaat tussen het beschermen en benutten ten gevolge van de verschillende functies die locaties binnen een gebied kunnen vervullen. Het bevoegd gezag moet beoordelen of deze wijziging van het omgevingsplan sprake is van een evenwichtige toedeling van functies aan locaties. Om dit te kunnen beoordelen moeten alle voor de fysieke leefomgeving relevante aspecten zorgvuldig worden onderzocht en afgewogen. Dat is in de voorgaande hoofdstukken gebeurd.

Voor de beoordeling van de evenwichtige toedeling van functies aan locaties zijn alle voor de fysieke leefomgeving relevante aspecten, voor zover betrekking hebbend op deze wijziging van het omgevingsplan, nader onderzocht in deze motivering.

Afweging

Met de beoogde ontwikkeling wordt in de historische kern van Batenburg één nieuwe woning gefaciliteerd. Deze wijziging van het omgevingsplan is in overeenstemming met de relevante beleidsuitgangspunten / instructieregels op provinciaal en gemeentelijk niveau en veroorzaakt het geen conflicten met de instructieregels vanuit het Bkl.

In Hoofdstuk 4 is de beoogde ontwikkeling getoetst aan de geldende milieu wet- en regelgeving.

In de beoordeling is gebleken voor de beoogde ontwikkeling sprake is van een evenwichtige toedeling van functies aan locaties.